Chester 5-jähriger Wallach mit vermeintlichen mehreren Sarkoiden
Forumsregeln
Bitte Alter u. Rasse des Pferdes angeben. Krankengeschichte mit erstmaligen Auftreten, Haltung u. evt. erfolgte Behandlungen. Diagnosestellung des behandelnden Tierarztes.
Infos zum equinen Sarkoid http://www.equines-sarkoid.de/seite-2/seite-2a/
allgemeine Fragen zum equinen Sarkoid http://www.equines-sarkoid.de/seite-2/s ... seite-2aa/
Fachwissen rund ums equine Sarkoid http://www.equines-sarkoid.de/seite-2/s ... rtationen/
Wir übernehmen keine Haftung für die Folgen von Selbstversuchen, garantieren nicht für die
Richtigkeit der Inhalte dieser Seite und geben keine Heilungsversprechen.
Sprecht bitte immer vorher mit eurem Tierarzt, wir sind hier lediglich ein Zusammenschluss von interessierten Usern, die sich das Thema Sarkoid zum Hobby gemacht haben und hier unentgeltlich ihre Freizeit einbringen.
Was bei dem einem Pferd hilft, muss bei einem anderen noch lange nicht wirken.
Wir freuen uns bereits auf Deine aktive Mitgliedschaft!
...das Team vom Sarkoidforum
Bitte Alter u. Rasse des Pferdes angeben. Krankengeschichte mit erstmaligen Auftreten, Haltung u. evt. erfolgte Behandlungen. Diagnosestellung des behandelnden Tierarztes.
Infos zum equinen Sarkoid http://www.equines-sarkoid.de/seite-2/seite-2a/
allgemeine Fragen zum equinen Sarkoid http://www.equines-sarkoid.de/seite-2/s ... seite-2aa/
Fachwissen rund ums equine Sarkoid http://www.equines-sarkoid.de/seite-2/s ... rtationen/
Wir übernehmen keine Haftung für die Folgen von Selbstversuchen, garantieren nicht für die
Richtigkeit der Inhalte dieser Seite und geben keine Heilungsversprechen.
Sprecht bitte immer vorher mit eurem Tierarzt, wir sind hier lediglich ein Zusammenschluss von interessierten Usern, die sich das Thema Sarkoid zum Hobby gemacht haben und hier unentgeltlich ihre Freizeit einbringen.
Was bei dem einem Pferd hilft, muss bei einem anderen noch lange nicht wirken.
Wir freuen uns bereits auf Deine aktive Mitgliedschaft!
...das Team vom Sarkoidforum
Re: Chester 5-jähriger Wallach mit vermeintlichen mehreren Sarkoiden
Vielleicht stellst Du all diese Fragen lieber Deinem Tierarzt. Der ist da der Fachmann, der Dich in diesem speziellen Fall begleiten sollte. Da bin ich völlig überfragt. 
Re: Chester 5-jähriger Wallach mit vermeintlichen mehreren Sarkoiden
Ja, ich schließe mich an, frag auf jeden Fall deinen Tierarzt.
Mit so riesigen Entzündungen haben wir hier keine Erfahrung und können dir natürlich auch nichts raten, wir sind hier alle keine Tierärzte.
Lass dir genau erklären, wie die nächsten Schritte sind und verändere den Plan dann am besten nur in Absprache.
Mit so riesigen Entzündungen haben wir hier keine Erfahrung und können dir natürlich auch nichts raten, wir sind hier alle keine Tierärzte.
Lass dir genau erklären, wie die nächsten Schritte sind und verändere den Plan dann am besten nur in Absprache.
~~~~~~~~~~~~
Viele Grüße, RJ
Viele Grüße, RJ
Re: Chester 5-jähriger Wallach mit vermeintlichen mehreren Sarkoiden
Hallo Laurinde,
was hat sich denn bei Euch getan? Wie war die weitere Entwicklung? Habt Ihr die Entzündungen in den Griff bekommen? Wie schmierst Du jetzt?
Lg,
Andrea
was hat sich denn bei Euch getan? Wie war die weitere Entwicklung? Habt Ihr die Entzündungen in den Griff bekommen? Wie schmierst Du jetzt?
Lg,
Andrea
Re: Chester 5-jähriger Wallach mit vermeintlichen mehreren Sarkoiden
Hallo zusammen,
ich melde mich nun auch mal wieder.
Ich habe zwei Monate pausiert und die Wunden, also die am der Nase und an der Achsel mit Wundpflege behandelt. Die Wunden haben sich während dieser Zeit nicht geschlossen. Seit gut einer Woche behandel ich wieder. An Nase und Achsel haben sich wieder Krusten gebildet, aber diesmal ohne Schwellung. Ich werde heute Nachmittag mal Bilder machen und dann hier hoch laden. Ich glaube allerdings, dass die Behandlung sich noch ziehen kann.
Liebe Grüße Laura
ich melde mich nun auch mal wieder.
Ich habe zwei Monate pausiert und die Wunden, also die am der Nase und an der Achsel mit Wundpflege behandelt. Die Wunden haben sich während dieser Zeit nicht geschlossen. Seit gut einer Woche behandel ich wieder. An Nase und Achsel haben sich wieder Krusten gebildet, aber diesmal ohne Schwellung. Ich werde heute Nachmittag mal Bilder machen und dann hier hoch laden. Ich glaube allerdings, dass die Behandlung sich noch ziehen kann.
Liebe Grüße Laura
Re: Chester 5-jähriger Wallach mit vermeintlichen mehreren Sarkoiden
Hallo zusammen,
jetzt habe ich es geschafft Bilder zu machen. Dort erkennt man das Sarkoid an der Achsel. Es hat sich eine ordentliche Kruste gebildet.
Liebe Grüße Laura
jetzt habe ich es geschafft Bilder zu machen. Dort erkennt man das Sarkoid an der Achsel. Es hat sich eine ordentliche Kruste gebildet.
Liebe Grüße Laura
Re: Chester 5-jähriger Wallach mit vermeintlichen mehreren Sarkoiden
na, das sieht doch ganz gut aus. Bei dem größeren sieht man einen hellen Wundrand. Richtige Richtung!
Re: Chester 5-jähriger Wallach mit vermeintlichen mehreren Sarkoiden
hallo Laura, ja bei mit hat es sich auch vergrößter als ich geschmiert habe. aber das an den achsel sieht ja jetzt wieder sehr gut aus. die Schwellungen waren schon sehr heftig. alles gute euch ncoh
Silke
Re: Chester 5-jähriger Wallach mit vermeintlichen mehreren Sarkoiden
Guten Morgen. Na? Wie sieht es aus bei Euch?
Lg, Andrea
Lg, Andrea
Re: Chester 5-jähriger Wallach mit vermeintlichen mehreren Sarkoiden
Hallo Laura, ich bin neugierig. Wie ist es Euch inzwischen ergangen? Alles erledigt?
Liebe Grüße
Andrea
Liebe Grüße
Andrea
Re: Chester 5-jähriger Wallach mit vermeintlichen mehreren Sarkoiden
Hallo zusammen,
die Sarkoide haben sich an sich alle zurückgebildet und es sieht gut aus. Seid heute habe ich eine Schwellung an den Stellen entdeckt, wo die Sarkoide mal waren. Ich hoffe, es kommt durch das warme Wetter oder die Kribbelmücken. Nächste Woche kommt aber nochmal der TA und schaut es sich an. Morgen werde ich nochmal Bilder machen von dem Erfolg.
Liebe Grüße Laura
die Sarkoide haben sich an sich alle zurückgebildet und es sieht gut aus. Seid heute habe ich eine Schwellung an den Stellen entdeckt, wo die Sarkoide mal waren. Ich hoffe, es kommt durch das warme Wetter oder die Kribbelmücken. Nächste Woche kommt aber nochmal der TA und schaut es sich an. Morgen werde ich nochmal Bilder machen von dem Erfolg.
Liebe Grüße Laura
Re: Chester 5-jähriger Wallach mit vermeintlichen mehreren Sarkoiden
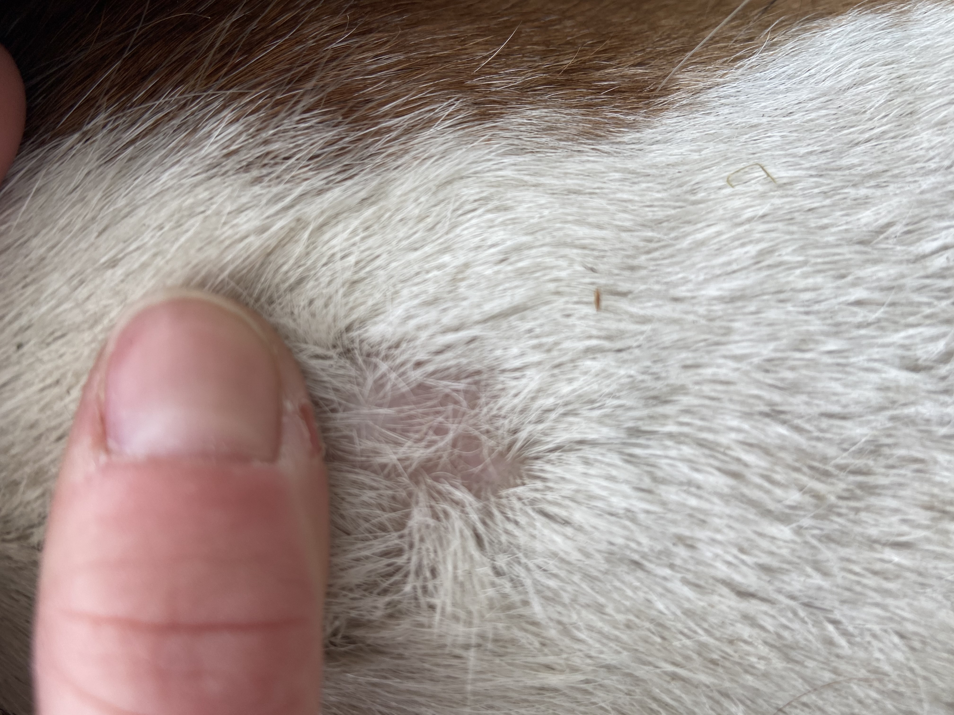
Hallo zusammen,
anbei habe ich Bilder der Nase, der Achsel und der Brust mitgeschickt. Darauf erkennt man wie gut es mittlerweile geworden ist.
Liebe Grüße Laura
anbei habe ich Bilder der Nase, der Achsel und der Brust mitgeschickt. Darauf erkennt man wie gut es mittlerweile geworden ist.
Liebe Grüße Laura