4jährige Fjord-Stute mit ES am Euter
Forumsregeln
Erfolgreiche Behandlungstagebücher werden hierher verschoben. Schön wäre es, wenn ihr diese ab und an mit einem Erfolgsbild aktualisieren würdet um zu berichten, ob das Pferd sarkoidfrei geblieben ist.
Bitte denkt immer daran, dass es Ziel des Forums ist, möglichst viele positive Behandlungsberichte zu sammeln, um anderen Usern Mut zusprechen.
Wir möchten uns hier für die aktive Teilnahme am Forum bedanken!
...das Team vom Sarkoidforum
Erfolgreiche Behandlungstagebücher werden hierher verschoben. Schön wäre es, wenn ihr diese ab und an mit einem Erfolgsbild aktualisieren würdet um zu berichten, ob das Pferd sarkoidfrei geblieben ist.
Bitte denkt immer daran, dass es Ziel des Forums ist, möglichst viele positive Behandlungsberichte zu sammeln, um anderen Usern Mut zusprechen.
Wir möchten uns hier für die aktive Teilnahme am Forum bedanken!
...das Team vom Sarkoidforum
- Exilschwabe
- Beiträge: 96
- Registriert: Mittwoch 7. März 2018, 20:49
Re: 4jährige Fjord-Stute mit ES am Euter
Bei uns gibt es nichts Neues.
Das Schenkelsarkoid gibt Ruhe. Ich schmierte es die letzten zwei Wochen einmal wöchentlich einfach mit, falls noch etwas da sein sollte...
Aber zum Glück war da nichts.
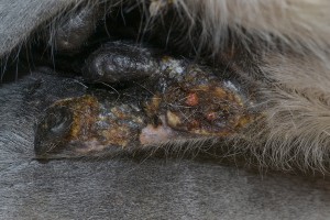
Das Zitzensarkoid reagiert zur Zeit nur wenig. Ich habe mal ein Foto von gestern:
Das Schenkelsarkoid gibt Ruhe. Ich schmierte es die letzten zwei Wochen einmal wöchentlich einfach mit, falls noch etwas da sein sollte...
Aber zum Glück war da nichts.
Das Zitzensarkoid reagiert zur Zeit nur wenig. Ich habe mal ein Foto von gestern:
Re: 4jährige Fjord-Stute mit ES am Euter
Trotzdem finde ich das sich auch an den Zitzen gut was getan hat. Und ich freue mich schon jetzt das ich dich bald in die Ecke mit den Erfolgen schieben kann 
- Exilschwabe
- Beiträge: 96
- Registriert: Mittwoch 7. März 2018, 20:49
Re: 4jährige Fjord-Stute mit ES am Euter
Heute zeigte die Kruste sichtbare Risse. Deshalb habe ich heute wieder geschmiert.
In ein bis zwei Tagen wird die Kruste abgefallen sein. Dann sieht man mehr...
- Exilschwabe
- Beiträge: 96
- Registriert: Mittwoch 7. März 2018, 20:49
Re: 4jährige Fjord-Stute mit ES am Euter
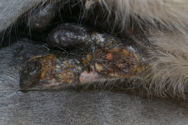
Ich habe mal wieder ein paar Fotos.
Das Zitzen-Sarkoid hat mal wieder seine Kruste verloren: Das (ehemalige) Schenkel-Sarkoid sieht zwar noch narbig aus, fühlt sich aber glatt an und gibt Ruhe. So kann es bleiben!
Das Zitzen-Sarkoid hat mal wieder seine Kruste verloren: Das (ehemalige) Schenkel-Sarkoid sieht zwar noch narbig aus, fühlt sich aber glatt an und gibt Ruhe. So kann es bleiben!
- Exilschwabe
- Beiträge: 96
- Registriert: Mittwoch 7. März 2018, 20:49
Re: 4jährige Fjord-Stute mit ES am Euter
Ich habe das Gefühl, dass das Teil größer wird
Und das, obwohl ich täglich kontrolliere und, falls die Kruste nicht geschlossen ist, schön brav schmiere.
Zudem hat sie am Maul eine schorfige Stelle. Ich hoffe, dass DAS kein ES ist.
Zudem hat sie am Maul eine schorfige Stelle. Ich hoffe, dass DAS kein ES ist.
- Exilschwabe
- Beiträge: 96
- Registriert: Mittwoch 7. März 2018, 20:49
Re: 4jährige Fjord-Stute mit ES am Euter
Neues Foto Zitzensarkoid:
Hier noch mal eine Detailaufnahme:
Die "schorfige" Stelle an der Nase war zum Glück nur eine Schramme.
Aber seitlich von der Zitze habe ich wieder eine "doofe Stelle" gefunden. Diese wird seit einer Woche geschmiert, es passiert aber bislang noch nichts.
Aber seitlich von der Zitze habe ich wieder eine "doofe Stelle" gefunden. Diese wird seit einer Woche geschmiert, es passiert aber bislang noch nichts.
- Exilschwabe
- Beiträge: 96
- Registriert: Mittwoch 7. März 2018, 20:49
Re: 4jährige Fjord-Stute mit ES am Euter
die "doofe Stelle" ist leider ein Sarkoid
.
Heute früh ist von dem Knubbelchen die Kruste abgefallen. Es ist mit ca. 3mm wirklich klein und ich hoffe, dass wir es bald los sind. Das Zitzen-Sarkoid hat sich deutlich verbessert. Es krustet zwar noch, ist aber schon deutlich flacher:
Heute früh ist von dem Knubbelchen die Kruste abgefallen. Es ist mit ca. 3mm wirklich klein und ich hoffe, dass wir es bald los sind. Das Zitzen-Sarkoid hat sich deutlich verbessert. Es krustet zwar noch, ist aber schon deutlich flacher:
Re: 4jährige Fjord-Stute mit ES am Euter
Das ist ja tatsächlich doof, mit dieser neuen Stelle.
Was hat sich innerhalb der letzten Woche getan?
Was hat sich innerhalb der letzten Woche getan?
~~~~~~~~~~~~
Viele Grüße, RJ
Viele Grüße, RJ
- Exilschwabe
- Beiträge: 96
- Registriert: Mittwoch 7. März 2018, 20:49
Re: 4jährige Fjord-Stute mit ES am Euter
Ich glaube, wir haben unser "großes" Sarkoid besiegt
… Oder wir stehen kurz vor unserem Sieg. Ich warte vorsichtshalber noch zwei Wochen, dann stell ich eine Fotostory über das Euter-Sarkoid zusammen.
Das (neue) kleine Teil versteckt sich noch unter einer Kruste, die sich aber langsam anhebt.
Das letzte Mini-Sarkoid war ja auch so ein zwei-mal-krusten-und-verschwinden-Teil. Von daher stört mich das kleine Sarkoid nicht wirklich. Hautsache das große Sarkoid am Euter ist Geschichte! Das Kleine wird auch noch besiegt!!!
… Oder wir stehen kurz vor unserem Sieg. Ich warte vorsichtshalber noch zwei Wochen, dann stell ich eine Fotostory über das Euter-Sarkoid zusammen.
Das (neue) kleine Teil versteckt sich noch unter einer Kruste, die sich aber langsam anhebt.
Das letzte Mini-Sarkoid war ja auch so ein zwei-mal-krusten-und-verschwinden-Teil. Von daher stört mich das kleine Sarkoid nicht wirklich. Hautsache das große Sarkoid am Euter ist Geschichte! Das Kleine wird auch noch besiegt!!!
- Exilschwabe
- Beiträge: 96
- Registriert: Mittwoch 7. März 2018, 20:49
Re: 4jährige Fjord-Stute mit ES am Euter
Ich habe neue Fotos:
Das Zitzen-Sarkoid (ES #1) gibt zum Glück Ruhe. Seit gut zwei Wochen schuppt vielleicht es etwas, krustet aber nicht mehr.
Das Schenkel-Sarkoid (ES #2) ist auch ruhig. Es wird schon lange sporadisch geschmiert ("Finger abwischen"), aber es reagiert nicht mehr. Die kleine Narbe wird wohl bleiben, stört aber das Pony offensichtlich nicht. Pony bewegt sich auf beiden Händen gleich gut, von daher wird die Narbe nicht zwicken.
Das kleine neue ES hat sich nach zweimal Krusten ebenfalls verabschiedet. Ich werde es vorsichtshalber 1-2 Mal die Woche noch schmieren, aber gestern hatten wir eine schöne geschlossene Haut darüber.
Von daher hoffe ich, dass wir mit dem Thema Equines Sarkoid nun durch sind!!!
Das Schenkel-Sarkoid (ES #2) ist auch ruhig. Es wird schon lange sporadisch geschmiert ("Finger abwischen"), aber es reagiert nicht mehr. Die kleine Narbe wird wohl bleiben, stört aber das Pony offensichtlich nicht. Pony bewegt sich auf beiden Händen gleich gut, von daher wird die Narbe nicht zwicken.
Das kleine neue ES hat sich nach zweimal Krusten ebenfalls verabschiedet. Ich werde es vorsichtshalber 1-2 Mal die Woche noch schmieren, aber gestern hatten wir eine schöne geschlossene Haut darüber.
Von daher hoffe ich, dass wir mit dem Thema Equines Sarkoid nun durch sind!!!
- Exilschwabe
- Beiträge: 96
- Registriert: Mittwoch 7. März 2018, 20:49
Re: 4jährige Fjord-Stute mit ES am Euter
Ich habe nun auch für das Zitzen-Sarkoid den Behandlungsverlauf dokumentiert.
Das Teil war "zäh" und es dauerte fast anderthalb Jahre, bis es verschwunden war. Ich denke auch, dass es eigentlich aus zwei Sarkoiden bestand (neben der Zitze und vor der Zitze)
Kurz nach der Entdeckung März 2018 Mai 2018 Juli 2018 September 2018 November 2018 Nun kam für uns eine Behandlungspause, da meine Mutter einen Schlaganfall hatte und ich nicht regelmäßig zum Pony kam. Da sie zu dieser Zeit manchmal recht zickig auf die Behandlung reagierte, wollte ich die Schmiererei keinem zumuten...
März 2019 Mai 2019 Juli 2019 August 2019 Ich hoffe, dass nun nichts mehr nachkommt und wir nun zu den "Erfolgen" zählen dürfen!
Das Teil war "zäh" und es dauerte fast anderthalb Jahre, bis es verschwunden war. Ich denke auch, dass es eigentlich aus zwei Sarkoiden bestand (neben der Zitze und vor der Zitze)
Kurz nach der Entdeckung März 2018 Mai 2018 Juli 2018 September 2018 November 2018 Nun kam für uns eine Behandlungspause, da meine Mutter einen Schlaganfall hatte und ich nicht regelmäßig zum Pony kam. Da sie zu dieser Zeit manchmal recht zickig auf die Behandlung reagierte, wollte ich die Schmiererei keinem zumuten...
März 2019 Mai 2019 Juli 2019 August 2019 Ich hoffe, dass nun nichts mehr nachkommt und wir nun zu den "Erfolgen" zählen dürfen!