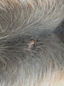
Hei, nach wie vor ist was winziges da, bilde mir aber ein, dass es noch kleiner ist als vorher und eine Minikruste abgegangen ist. Fotos sind schwierig, muss immer schnell sein und so sind sie meist Schrott. Weil der Rest so klein ist, kann man nix erkennen, ich hänge das aktuellste trotzdem mal an

.
Ich schmiere, wenn ich dran komme, so alle 2-3 Tage, mit 1:1. Wäre schon schön wenn sich das auch noch auflösen würde. Die Wange ist auch durch, da wächst leider kein Fell (mehr), Scarface

...