Wallach, 3 Jahre, Sarkoid (?) im Brustbereich

Bitte Alter u. Rasse des Pferdes angeben. Krankengeschichte mit erstmaligen Auftreten, Haltung u. evt. erfolgte Behandlungen. Diagnosestellung des behandelnden Tierarztes.
Infos zum equinen Sarkoid http://www.equines-sarkoid.de/seite-2/seite-2a/
allgemeine Fragen zum equinen Sarkoid http://www.equines-sarkoid.de/seite-2/s ... seite-2aa/
Fachwissen rund ums equine Sarkoid http://www.equines-sarkoid.de/seite-2/s ... rtationen/
Forumsregeln
Bitte Alter u. Rasse des Pferdes angeben. Krankengeschichte mit erstmaligen Auftreten, Haltung u. evt. erfolgte Behandlungen. Diagnosestellung des behandelnden Tierarztes.
Infos zum equinen Sarkoid http://www.equines-sarkoid.de/seite-2/seite-2a/
allgemeine Fragen zum equinen Sarkoid http://www.equines-sarkoid.de/seite-2/s ... seite-2aa/
Fachwissen rund ums equine Sarkoid http://www.equines-sarkoid.de/seite-2/s ... rtationen/

Wir übernehmen keine Haftung für die Folgen von Selbstversuchen, garantieren nicht für die
Richtigkeit der Inhalte dieser Seite und geben keine Heilungsversprechen.
Sprecht bitte immer vorher mit eurem Tierarzt, wir sind hier lediglich ein Zusammenschluss von interessierten Usern, die sich das Thema Sarkoid zum Hobby gemacht haben und hier unentgeltlich ihre Freizeit einbringen.
Was bei dem einem Pferd hilft, muss bei einem anderen noch lange nicht wirken.

Wir freuen uns bereits auf Deine aktive Mitgliedschaft!

Bild...das Team vom Sarkoidforum
Murmel2018
Beiträge: 13
Registriert: Montag 30. September 2024, 21:01

Wallach, 3 Jahre, Sarkoid (?) im Brustbereich

Beitrag von Murmel2018 »

Hallo liebe Forenmitglieder,

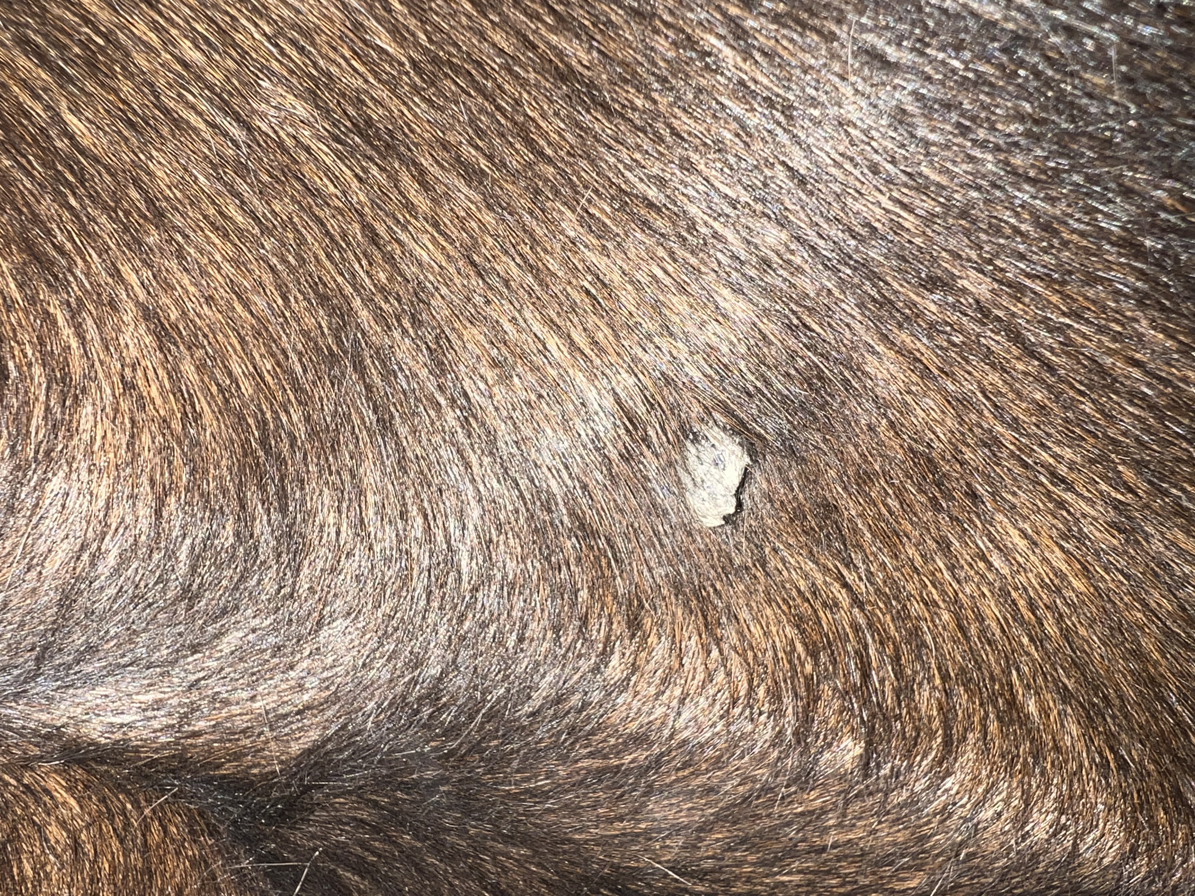
mein 3 jähriger Wallach hat im Brustbereich ein (vermutlich) kleines Sarkoid. Er hatte dies bereits beim Kauf vor 3 Monaten. Leider weiß ich nicht wann es ursprünglich aufgetreten ist, da er sich da noch nicht in meinem Besitz befand. Im Vergleich zu vielen anderen Sarkoiden ist dieses vermutlich ein "Witz", allerdings möchte ich nicht zu spät handeln, da ich keinerlei Erfahrungen mit Sarkoiden habe.
Behandelt habe ich bisher nichts (außer das Immunsystem zu "pushen"), da mich die Flut an Informationen erschlagen hat und ich irgendwann so verunsichert war, da ich keinesfalls schlafende Hunde (ähm Sarkoide) wecken möchte. Da allerdings das halbe Internet dieses Forum bei ES empfiehlt, dachte ich, ich melde mich hier an und wende mich an euch. :)
IMG_6587.jpeg
IMG_6584.jpeg
rj-hü
Beiträge: 2157
Registriert: Samstag 29. April 2017, 23:36

Re: Wallach, 3 Jahre, Sarkoid (?) im Brustbereich

Beitrag von rj-hü »

Hallo und herzlich willkommen hier im Forum.

Ist das wie eine trockene Stelle oder ist das warzig? Verändert sich das?
Wenn es einfach nur eine haarlose trockene Stelle ist, kann das alles und nichts sein. In der Vergrößerung sehe ich nur eine weiße Stelle und kann das nicht genauer erkennen.

Hast mal einen Tierarzt draufschauen lassen?

Wenn es ein Sarkoid ist, dann könntest du es beobachten solange es sich nicht verändert.
Spätestens wenn es sich verändert, dann solltest du aber handeln.

Ansonsten lassen sich Sarkoide (normalerweise) besser behandeln, je kleiner sie sind.

Lies dich mal hier quer durchs Forum und vergiss auch die Infoseiten nicht.

Wenn du dann Fragen hast oder Hilfestellung brauchst oder einfach weiteren Austausch suchst, dann immer gerne.
~~~~~~~~~~~~
Viele Grüße, RJ
Murmel2018
Beiträge: 13
Registriert: Montag 30. September 2024, 21:01

Re: Wallach, 3 Jahre, Sarkoid (?) im Brustbereich

Beitrag von Murmel2018 »

Ich hole das mal aus der Versenkung… Ich hatte meine Zugangsdaten verlegt und dann ist das Forum in Vergessenheit geraten :?

Ein TA hat sich es angeschaut und es als Sarkoid diagnostiziert, es ist „warzenartig“.
In der Zwischenzeit habe ich an der Schlauchtasche ein weiteres kleines Sarkoid entdeckt gehabt (Stecknadelkopfgröße), dieses ist aber inzwischen einfach wieder verschwunden.

Das obere Sarkoid habe ich mit Thuja Tinktur behandelt, woraufhin es etwas „rausgekommen“ ist, allerdings nicht in die Breite gewachsen. Durch den ganzen Winterpelz hat man das nicht so gut erkennen können und ich habe eine Pause eingelegt seitdem. Es hat sich nicht verändert und sieht aus wie eine trockene Warze.

Nun bin ich am überlegen eine weitere Runde Thuja zu schmieren.

Ich mache heute Abend ein besseres Foto vom aktuellen Zustand!
Stand 06.05 bei dem Warzenartigen
Stand 06.05 bei dem Warzenartigen
____________________

Da mein anderes Pferd auch ein Sarkoid entwickelt hat… würde ich das auch hier einstellen? Falls nicht eröffne ich ein weiteres Tagebuch. Am liebsten würde ich aber 2 in 1 machen wenn das geht.
Er hat ein ganz flaches in der Gurtlage, welches mir erst als haarlose Stelle aufgefallen ist.
Ich habe dann Calendula hingeschmiert (weil ich es nicht als Sarkoid erkannt habe), woraufhin sich Krusten gebildet haben. (Die Bilder vom Fuchs)
06.05
06.05
06.05
06.05
Ich habe dann weitergeschmiert mit Calendula
Zwischenstand 08.05
Zwischenstand 08.05
Und aktuell sieht es so aus:
Ich bin auf Silbersalbe umgestiegen, ich spüre allerdings so kleine Erhebungen mit dem Finger, man sieht sie auf dem Foto dank Blitz allerdings besser als in echt.
09.05.
09.05.
Wie soll ich bei diesem weiter verfahren?
Die Lage ist einfach richtig doof…
Murmel2018
Beiträge: 13
Registriert: Montag 30. September 2024, 21:01

Re: Wallach, 3 Jahre, Sarkoid (?) im Brustbereich

Beitrag von Murmel2018 »

Und bevor ich es vergesse: Mein anderes Pferd ist 12 Jahre alt, hatte bisher nie etwas in diese Richtung, ist aber mit Haut schon immer empfindlicher (Liegestellen etc.).

Haltungsform ist bei beiden gleich: Tagsüber draußen zusammen im Offenstall mit Koppel und nachts Box.
Beides normale WB.

Wie schon geschrieben, hatte mein Junger das bereits beim Kauf und mein 12 jähriger erst seit ca. 2 Monaten schätze ich mal.
Davor wäre mir nichts aufgefallen, erst mit dem Fellwechsel kam da die Hautproblematik mit dieser kahlen Stelle.
Murmel2018
Beiträge: 13
Registriert: Montag 30. September 2024, 21:01

Re: Wallach, 3 Jahre, Sarkoid (?) im Brustbereich

Beitrag von Murmel2018 »

IMG_2232.jpeg
IMG_2230.jpeg
Stand gestern. Ich würde einfach nochmal wie bereits geschrieben eine Runde Thuja Tinktur einlegen und das dann ggf. hier dokumentieren.
Oder macht bei diesem Terra oder CompX schon Sinn?
IMG_2246.jpeg
Leider habe ich beim anderen kein so gutes Foto hinbekommen gestern.
Allerdings habe ich den Eindruck, dass es „rauskommt“ bzw. schichtweise abgetragen wird.
Ich beobachte es weiterhin akribisch und hoffe das er es „so“ packt, nachdem er vorher noch nie ein Thema damit hatte.
Murmel2018
Beiträge: 13
Registriert: Montag 30. September 2024, 21:01

Re: Wallach, 3 Jahre, Sarkoid (?) im Brustbereich

Beitrag von Murmel2018 »

Da ich das ganze gerne nachhaltig loswerden möchte, habe ich die CompX bestellt.
Schmiere diese seit 2 Tagen 1:1 1x täglich bei beiden Sarkoiden.
Heute morgen, habe den Eindruck das es „rauskommt“
Heute morgen, habe den Eindruck das es „rauskommt“

Auch von heute Morgen, das arbeitet weniger habe ich den Eindruck
Auch von heute Morgen, das arbeitet weniger habe ich den Eindruck
Murmel2018
Beiträge: 13
Registriert: Montag 30. September 2024, 21:01

Re: Wallach, 3 Jahre, Sarkoid (?) im Brustbereich

Beitrag von Murmel2018 »

Heute Morgen
Heute Morgen
Gestern Abend
Gestern Abend
Beide Sarkoide sind am Arbeiten, das kleine an der Brust juckt ziemlich, soll ich da anders mischen? Falls ja wie? Er kratzt sich das leider schon leicht auf…

Das andere Sarkoid unten am Bauch, ist recht warm, soll das so sein? Passt die 1:1 Mischung?

Würde mich sehr über eine Antwort freuen, weil ich mich mit der Thematik teilweise leicht überfordert fühle :)
Andrea
Beiträge: 2863
Registriert: Sonntag 28. April 2019, 06:58

Re: Wallach, 3 Jahre, Sarkoid (?) im Brustbereich

Beitrag von Andrea »

Nachdem Du erst seit 2 Tagen schmierst, erst mal so weiter. Wenn es weiterhin so juckt oder warm/dick wird, kannst Du verdünnen.
Murmel2018
Beiträge: 13
Registriert: Montag 30. September 2024, 21:01

Re: Wallach, 3 Jahre, Sarkoid (?) im Brustbereich

Beitrag von Murmel2018 »

So ein kurzes Update :)

Der Kleine hat leider bei der sich lösenden Kruste nachgeholfen und es sich abgekratzt.
So sieht es heute aus
So sieht es heute aus
Stand Dienstag vor dem Abkratzen
Stand Dienstag vor dem Abkratzen
Stand Donnerstag nach dem Abkratzen
Stand Donnerstag nach dem Abkratzen
Ich schmiere weiterhin 1x täglich 1:1

Beim Anderen tut sich nicht so viel, hier schmiere ich auch täglich 1:1.
Gestern
Gestern
Stand Donnerstag
Stand Donnerstag
Andrea
Beiträge: 2863
Registriert: Sonntag 28. April 2019, 06:58

Re: Wallach, 3 Jahre, Sarkoid (?) im Brustbereich

Beitrag von Andrea »

Hallöchen,

dass sich da innerhalb kurzer Zeit noch nicht so viel tut, ist nicht ungewöhnlich. Mach erst mal gemütlich weiter so und zeig regelmäßig her. Wir gucken mit drauf (auch wenn ich nicht immer sofort antworte). Solange ich mich NICHT melde, ist alles bestens und einfach weiter. Wenn ich was Fieses sehe, krähe ich sicher.

LG
Andrea
Murmel2018
Beiträge: 13
Registriert: Montag 30. September 2024, 21:01

Re: Wallach, 3 Jahre, Sarkoid (?) im Brustbereich

Beitrag von Murmel2018 »

So ich dachte ich gebe mal wieder ein Update :)

Das an der Brust „sarkoidet“ schön vor sich, bildet immer wieder Krusten, die dann abfallen und so weiter.
Ein aktuelles Foto von dem von der Brust
Ein aktuelles Foto von dem von der Brust
Das andere löst ein paar Fragezeichen in mir aus.
Hatte hier tatsächlich zwischenzeitlich den TA da, weil ich mir unsicher war ob Sarkoid oder vllt doch Pilz?
TA war sich auch nicht sicher und hat ihn Pilz geimpft. Ich habe eine Studie gelesen, dass Pilzimpfungen bei Sarkoiden helfen können, deswegen dachte ich okay es ist einen Versuch werd, verschlimmern wird es das nicht.

Habe dann auf Anweisung des TA ein paar Tage Schmierpause gemacht, was auch gut war weil die Haut sehr gereizt war.
Habe vorgestern dann wieder geschmiert, gestern hat es Stellenweise geblutet und die Haut war wieder sehr gerötet. Habe dann einmal eine Heilsalbe drauf und heute etwas verdünnter geschmiert. Seltsamerweise bilden sich Haare, aber so seltsame „Blasen“ sind noch da.
Das war 3 Tage nach der Pilzimpfung inkl. Schmierpause (Sonntag)
Das war 3 Tage nach der Pilzimpfung inkl. Schmierpause (Sonntag)
Montag
Montag
Gestern nachdem ich Montag dann geschmiert habe
Gestern nachdem ich Montag dann geschmiert habe
Heute
Heute
Antworten

Zurück zu „Vorstellung der Pferde mit Sarkoid“