4jährige Fjord-Stute mit ES am Euter
Forumsregeln
Erfolgreiche Behandlungstagebücher werden hierher verschoben. Schön wäre es, wenn ihr diese ab und an mit einem Erfolgsbild aktualisieren würdet um zu berichten, ob das Pferd sarkoidfrei geblieben ist.
Bitte denkt immer daran, dass es Ziel des Forums ist, möglichst viele positive Behandlungsberichte zu sammeln, um anderen Usern Mut zusprechen.
Wir möchten uns hier für die aktive Teilnahme am Forum bedanken!
...das Team vom Sarkoidforum
Erfolgreiche Behandlungstagebücher werden hierher verschoben. Schön wäre es, wenn ihr diese ab und an mit einem Erfolgsbild aktualisieren würdet um zu berichten, ob das Pferd sarkoidfrei geblieben ist.
Bitte denkt immer daran, dass es Ziel des Forums ist, möglichst viele positive Behandlungsberichte zu sammeln, um anderen Usern Mut zusprechen.
Wir möchten uns hier für die aktive Teilnahme am Forum bedanken!

- Exilschwabe
- Beiträge: 96
- Registriert: Mittwoch 7. März 2018, 20:49
Re: 4jährige Fjord-Stute mit ES am Euter
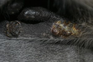
Unsere beiden Sarkoide haben nun beide eine geschlossene Kruste. Die Kruste erscheint mir deutlich größer als das ursprüngliche Sarkoid.
Sarkoid 1 am 29.03.2018: Sarkoid 2 am 29.03.2018: Sarkoid 1 am 30.03.2018: Sarkoid 2 am 30.03.2018: Nun warte ich darauf, dass die Kruste sich löst...
Sarkoid 1 am 29.03.2018: Sarkoid 2 am 29.03.2018: Sarkoid 1 am 30.03.2018: Sarkoid 2 am 30.03.2018: Nun warte ich darauf, dass die Kruste sich löst...
Re: 4jährige Fjord-Stute mit ES am Euter
Hi
Das die Kruste größer ist als das was man Anfangs als Sarkoid identiviziert ist normal. Du mußt dir das Sarkoid wie ein Pilzmyzel vorstellen.
Man sieht nur das was Oberflächlich zu Tage tritt aber drunter gibt es noch einiges an Verzweigungen die dann durch die Salbe hoch geholt werden.
Ich schmiere übrigens auch wieder seit gestern.
Auf in den Kampf wir schaffen das.
Das die Kruste größer ist als das was man Anfangs als Sarkoid identiviziert ist normal. Du mußt dir das Sarkoid wie ein Pilzmyzel vorstellen.

Ich schmiere übrigens auch wieder seit gestern.

Auf in den Kampf wir schaffen das.
- Exilschwabe
- Beiträge: 96
- Registriert: Mittwoch 7. März 2018, 20:49
Re: 4jährige Fjord-Stute mit ES am Euter
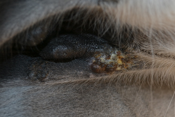
Bei Sarkoid Nr. 1 beginnt die Kruste, sich "abzuschälen".
Da, wo ich schon unter die Kruste "spicken" kann, schaut es nicht nach einer richtigen Wunde, sondern nach neuer Haut aus. Bei dem Mini-ES links von Sarkoid Nr. 1 ist die Kruste ab und es ist auch keine wirkliche Wunde, sondern irgendwie wie eine neue Haut. Das "große" Sarkoid, bei dem die Kruste erst beginnt, sich zu lösen, habe ich nicht geschmiert, der kleine Ableger links davon wurde heute wieder geschmiert.
Sarkoid Nr. 2 am Innenschenkel hat ebenfalls noch seine Kruste, die sich nun aber deutlicher abhebt, als in den letzten Tagen. Dieses Teil habe ich auch nicht geschmiert.
Leider habe ich ein weiteres ES direkt an der Bauchnaht gefunden :schreck: Auch dieses Teil wurde geschmiert. Auf in den Kampf :fooli096:
Da, wo ich schon unter die Kruste "spicken" kann, schaut es nicht nach einer richtigen Wunde, sondern nach neuer Haut aus. Bei dem Mini-ES links von Sarkoid Nr. 1 ist die Kruste ab und es ist auch keine wirkliche Wunde, sondern irgendwie wie eine neue Haut. Das "große" Sarkoid, bei dem die Kruste erst beginnt, sich zu lösen, habe ich nicht geschmiert, der kleine Ableger links davon wurde heute wieder geschmiert.
Sarkoid Nr. 2 am Innenschenkel hat ebenfalls noch seine Kruste, die sich nun aber deutlicher abhebt, als in den letzten Tagen. Dieses Teil habe ich auch nicht geschmiert.
Leider habe ich ein weiteres ES direkt an der Bauchnaht gefunden :schreck: Auch dieses Teil wurde geschmiert. Auf in den Kampf :fooli096:
- Exilschwabe
- Beiträge: 96
- Registriert: Mittwoch 7. März 2018, 20:49
Re: 4jährige Fjord-Stute mit ES am Euter
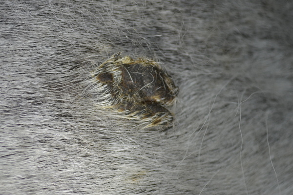
Heute hat sich wieder etwas Kruste von Sarkoid 1 gelöst. Die Kruste ist lederähnlich zäh. Wahrscheinlich ist sie relativ weich, da ich nur 1/4 CompX in 3/4 Vaseline habe, da das ES ja an einer empfindlichen Stelle sitzt.
Von Sarkoid 2 hat sich die Kruste komplett gelöst. Schaut in meinen Augen gut aus. Auch diese Stelle wurde wieder geschmiert
Sarkoid 3 hat bislang nicht auf die CompX reagiert. Vielleicht war es auch einfach eine schuppige Stelle an der Bauchnaht :applaus: . Ich habe es heute nochmals geschmiert und falls es sich tatsächlich als Nicht-Sarkoid erweisen sollte, ist mir das recht!
An der Stelle, an der sich die Kruste gelöst hat, habe ich heute wieder geschmiert.Von Sarkoid 2 hat sich die Kruste komplett gelöst. Schaut in meinen Augen gut aus. Auch diese Stelle wurde wieder geschmiert
Sarkoid 3 hat bislang nicht auf die CompX reagiert. Vielleicht war es auch einfach eine schuppige Stelle an der Bauchnaht :applaus: . Ich habe es heute nochmals geschmiert und falls es sich tatsächlich als Nicht-Sarkoid erweisen sollte, ist mir das recht!
- Exilschwabe
- Beiträge: 96
- Registriert: Mittwoch 7. März 2018, 20:49
Re: 4jährige Fjord-Stute mit ES am Euter
Heute ist die Kruste von Sarkoid 1 komplett abgegangen. Die letzten Tage hatte sich ja schon der Teil in Richtung Euter etwas abgelöst. Unter diesem abgelösten Teil habe ich gestern einmal geschmiert. Nun ist also "alles" ab und das ES wurde auch wieder geschmiert. Ich schmiere derzeit 3:1.
Sarkoid 1 am 08.04.2018 Sarkoid 2 bildet gerade wieder eine Kruste. Zu Beginn der Behandlung hatte ES 2 einen Durchmesser von ca. 5mm, inzwischen ist dreimal eine Kruste abgegangen und das Teil hat einen Durchmesser von 7mm. Wenn die Kruste abgeht, ist immer gleich eine "richtige" Haut vorhanden. Solange ich jedoch noch einen kleinen Knoten spüre, so lange wird geschmiert...
Sarkoid 2 am 08.04.2048 Die "schuppige Stelle" (ich sage hoffnungsvoll nicht mehr Sarkoid 3) hat auf drei Tage Schmieren noch nicht reagiert. Diese Stelle habe ich heute mal pur geschmiert. Ich hoffe trotzdem auf eine einfache "schuppige Stelle" ...
Sarkoid 1 am 08.04.2018 Sarkoid 2 bildet gerade wieder eine Kruste. Zu Beginn der Behandlung hatte ES 2 einen Durchmesser von ca. 5mm, inzwischen ist dreimal eine Kruste abgegangen und das Teil hat einen Durchmesser von 7mm. Wenn die Kruste abgeht, ist immer gleich eine "richtige" Haut vorhanden. Solange ich jedoch noch einen kleinen Knoten spüre, so lange wird geschmiert...
Sarkoid 2 am 08.04.2048 Die "schuppige Stelle" (ich sage hoffnungsvoll nicht mehr Sarkoid 3) hat auf drei Tage Schmieren noch nicht reagiert. Diese Stelle habe ich heute mal pur geschmiert. Ich hoffe trotzdem auf eine einfache "schuppige Stelle" ...
Re: 4jährige Fjord-Stute mit ES am Euter
Gut so, hoffe das es nun bald besser voran geht sobald es ein wenig wärmer wird
- Exilschwabe
- Beiträge: 96
- Registriert: Mittwoch 7. März 2018, 20:49
Re: 4jährige Fjord-Stute mit ES am Euter
Die letzte Woche in Bildern...
Erstmal das Sarkoid Nr. 1 (samt dem links von der Zitze liegenden Teil)
11.04.2018: 12.04.2018: 15.04.2018: 16.04.2018: Nun das Sarkoid Nr. 2 (das Kleine am Innenschenkel)
11.04.2018: 12.04.2018: 16.04.2018: und hier noch mal mit meiner Pfote, damit ihr die Größe abschätzen könnt. Es ist deutlich kleiner geworden :girlfreu:
Erstmal das Sarkoid Nr. 1 (samt dem links von der Zitze liegenden Teil)
11.04.2018: 12.04.2018: 15.04.2018: 16.04.2018: Nun das Sarkoid Nr. 2 (das Kleine am Innenschenkel)
11.04.2018: 12.04.2018: 16.04.2018: und hier noch mal mit meiner Pfote, damit ihr die Größe abschätzen könnt. Es ist deutlich kleiner geworden :girlfreu:
Re: 4jährige Fjord-Stute mit ES am Euter
das sieht doch wirklich vielversprechend aus und macht Hoffnung 

- Exilschwabe
- Beiträge: 96
- Registriert: Mittwoch 7. März 2018, 20:49
Re: 4jährige Fjord-Stute mit ES am Euter
Gestern war die Kruste an Sarkoid Nr. 1 weg. Leider war mein Akku alle...
Dafür gibt es heute wieder Fotos....
Sarkoid Nr. 1 (samt "Ausleger") zum Größenvergleich mal mit meiner ungewaschenen Pfote: Bei Sarkoid Nr. 2 hat sich seit gestern schon wieder eine Kruste gebildet. Diese ist aber deutlich kleiner als bisher und nochmal mit meiner Pfote zum Größenvergleich:
Dafür gibt es heute wieder Fotos....
Sarkoid Nr. 1 (samt "Ausleger") zum Größenvergleich mal mit meiner ungewaschenen Pfote: Bei Sarkoid Nr. 2 hat sich seit gestern schon wieder eine Kruste gebildet. Diese ist aber deutlich kleiner als bisher und nochmal mit meiner Pfote zum Größenvergleich:
- Exilschwabe
- Beiträge: 96
- Registriert: Mittwoch 7. März 2018, 20:49
Re: 4jährige Fjord-Stute mit ES am Euter
Norka bekam am Freitag (20.04.2018) eine Pilz-Impfung, da sie am linken Vorderbein eine kahle Stelle hat.
Ansonsten schmieren wir wie gewohnt weiter... auch wenn wegen der Umstände (Pilzimpfung und sommerliche Wärme im Frühjahr) die Sarkoide fast "explodieren".
Sarkoid 1 am 22.04.2018: Sarkoid 2 am 22.04.2018: Hier schaut es zwar nach geschlossener Kruste aus, aber nach unten "sifft" das Sarkoid etwas.
Ansonsten schmieren wir wie gewohnt weiter... auch wenn wegen der Umstände (Pilzimpfung und sommerliche Wärme im Frühjahr) die Sarkoide fast "explodieren".
Sarkoid 1 am 22.04.2018: Sarkoid 2 am 22.04.2018: Hier schaut es zwar nach geschlossener Kruste aus, aber nach unten "sifft" das Sarkoid etwas.