Lopi - ES an Nase und Bauchnaht
Forumsregeln
Erfolgreiche Behandlungstagebücher werden hierher verschoben. Schön wäre es, wenn ihr diese ab und an mit einem Erfolgsbild aktualisieren würdet um zu berichten, ob das Pferd sarkoidfrei geblieben ist.
Bitte denkt immer daran, dass es Ziel des Forums ist, möglichst viele positive Behandlungsberichte zu sammeln, um anderen Usern Mut zusprechen.
Wir möchten uns hier für die aktive Teilnahme am Forum bedanken!
...das Team vom Sarkoidforum
Erfolgreiche Behandlungstagebücher werden hierher verschoben. Schön wäre es, wenn ihr diese ab und an mit einem Erfolgsbild aktualisieren würdet um zu berichten, ob das Pferd sarkoidfrei geblieben ist.
Bitte denkt immer daran, dass es Ziel des Forums ist, möglichst viele positive Behandlungsberichte zu sammeln, um anderen Usern Mut zusprechen.
Wir möchten uns hier für die aktive Teilnahme am Forum bedanken!
...das Team vom Sarkoidforum
- Exilschwabe
- Beiträge: 96
- Registriert: Mittwoch 7. März 2018, 20:49
Re: Lopi - ES an Nase und Bauchnaht
Wahnsinn, wie sich das ES an der Nase gewandelt hat.
:glückwunsch:
:glückwunsch:
Re: Lopi - ES an Nase und Bauchnaht
Ja, es überrascht mich aber ehrlich gesagt auch. Habe da gerade nicht mit gerechnet und hoffe, dass ich mich nicht zu früh freue... bleibt immer ein kleiner Anteil Skepsis
aber ich freue mich!
Re: Lopi - ES an Nase und Bauchnaht
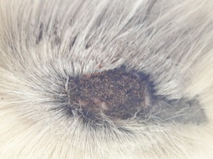
Die Nase kann ich im Moment gut mit 1:2 schmieren ohne dass er scheuert. Schmiere alles ein, den ganzen schwarzen Rand und die Kugeln. Die hatte ich auch mal einzeln stärker geschmiert, aber dann scheuerte er doch. Daher alles zusammen in eins... Das geht gut
Re: Lopi - ES an Nase und Bauchnaht
Sieht doch hervorragend aus, versuch noch ein wenig mehr das Fell einzukürzen damit nicht zuviel Salbe benötigts
Weiter so
Weiter so
Re: Lopi - ES an Nase und Bauchnaht
Das könnte bei der Nüster/Nase sofern es nicht zu kalt wird ein Weihnachtsgeschenk werden
Und die zwei andern machen auch Spass anzusehen
Und die zwei andern machen auch Spass anzusehen
Re: Lopi - ES an Nase und Bauchnaht
Das an der Nase sieht super aus.
Ich freue mich für dich!
Ich freue mich für dich!
~~~~~~~~~~~~
Viele Grüße, RJ
Viele Grüße, RJ
Re: Lopi - ES an Nase und Bauchnaht
Im Moment geht es recht ruhig voran, aber das ist ok. Meistens schmiere ich alle mit 1:1. Wir hatten auf allen auch gute Krusten. Bei dem an der Nase krusten die ex-Kugeln mit. Das am Bauch wird auch kleiner. Leider bin ich immer im Dunkeln am Stall. Deshalb nur schlechte Fotos...
Re: Lopi - ES an Nase und Bauchnaht
Dann halt eben nächstes Jahr im Endspurt aber zufrieden darfst trotzdem sein
Wünsche schöne Feiertage
Wünsche schöne Feiertage
Re: Lopi - ES an Nase und Bauchnaht
Danke, das wünsche ich dir auch
Meine Tierärztin, die das Nasensarkoid zuletzt in voller Blüte im Sommer gesehen hat, war auch total begeistert von der Entwicklung. Sie schmiert mittlerweile bei ihrem eigenen Pferd auch mit compx
Meine Tierärztin, die das Nasensarkoid zuletzt in voller Blüte im Sommer gesehen hat, war auch total begeistert von der Entwicklung. Sie schmiert mittlerweile bei ihrem eigenen Pferd auch mit compx
- Exilschwabe
- Beiträge: 96
- Registriert: Mittwoch 7. März 2018, 20:49
Re: Lopi - ES an Nase und Bauchnaht
Wahnsinn, wie das im Herbst reagiert hat, nachdem im Sommer kaum etwas ging...
:glückwunsch:
:glückwunsch: