4-jährige Stute Sarkoid Achsel
Forumsregeln
Erfolgreiche Behandlungstagebücher werden hierher verschoben. Schön wäre es, wenn ihr diese ab und an mit einem Erfolgsbild aktualisieren würdet um zu berichten, ob das Pferd sarkoidfrei geblieben ist.
Bitte denkt immer daran, dass es Ziel des Forums ist, möglichst viele positive Behandlungsberichte zu sammeln, um anderen Usern Mut zusprechen.
Wir möchten uns hier für die aktive Teilnahme am Forum bedanken!
...das Team vom Sarkoidforum
Erfolgreiche Behandlungstagebücher werden hierher verschoben. Schön wäre es, wenn ihr diese ab und an mit einem Erfolgsbild aktualisieren würdet um zu berichten, ob das Pferd sarkoidfrei geblieben ist.
Bitte denkt immer daran, dass es Ziel des Forums ist, möglichst viele positive Behandlungsberichte zu sammeln, um anderen Usern Mut zusprechen.
Wir möchten uns hier für die aktive Teilnahme am Forum bedanken!
...das Team vom Sarkoidforum
Re: 4-jährige Stute Sarkoid Achsel
Ich finde auch, dass es insgesamt echt gut aussieht. Aber hartnäckig ist es trotzdem.
Ich würde den Pickel auch ab und an betupfen. Mit welcher Verdünnung schmierst Du zur Zeit?
Ich würde den Pickel auch ab und an betupfen. Mit welcher Verdünnung schmierst Du zur Zeit?
----‐----‐-----------------------------------------
Viele Grüße Nika
Viele Grüße Nika
Re: 4-jährige Stute Sarkoid Achsel
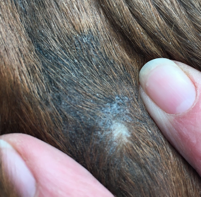
Hier mal wieder ein Update von uns.
Als ich heute kam, war die Kruste ab, die uns jetzt schon wieder seit mehr als 2 Wochen begleitet hat und extrem fest war.
Vorgestern hatte ich an die Kruste und an einer Seite unter die Kruste stark verdünnt geschmiert (ich habe es auf dem Finger gemischt, deshalb weiß ich das Verhältnis nicht, aber es war deutlich mehr Vaseline als XXT).
Ich musste mich schwer zusammen nehmen, um heute nicht gleich wieder zu schmieren.
Es fühlt sich nicht glatt an und was zum Vorschein kam ist nicht rosa, sondern weiß.
Ich frage mich, ob es aufgrund der Vaseline so weiß ist, dass die Haut quasi etwas aufgeweicht ist?
Oder ob es immer noch das ES ist?
Jedenfalls habe ich nach langem hin und her gedacht, ich warte jetzt ein paar Tage (bin sowieso erst Di. oder Mi. wieder am Stall) und schaue, wie sich die weißen Stellen bis dahin entwickeln.
Sind sie unverändert weiß, werde ich wohl nochmal draufschmieren. Verändern sie sich ins dunkle, werde ich wohl noch weiter beobachten.
Aber hier jetzt erstmal das Foto von heute:
Als ich heute kam, war die Kruste ab, die uns jetzt schon wieder seit mehr als 2 Wochen begleitet hat und extrem fest war.
Vorgestern hatte ich an die Kruste und an einer Seite unter die Kruste stark verdünnt geschmiert (ich habe es auf dem Finger gemischt, deshalb weiß ich das Verhältnis nicht, aber es war deutlich mehr Vaseline als XXT).
Ich musste mich schwer zusammen nehmen, um heute nicht gleich wieder zu schmieren.
Es fühlt sich nicht glatt an und was zum Vorschein kam ist nicht rosa, sondern weiß.
Ich frage mich, ob es aufgrund der Vaseline so weiß ist, dass die Haut quasi etwas aufgeweicht ist?
Oder ob es immer noch das ES ist?
Jedenfalls habe ich nach langem hin und her gedacht, ich warte jetzt ein paar Tage (bin sowieso erst Di. oder Mi. wieder am Stall) und schaue, wie sich die weißen Stellen bis dahin entwickeln.
Sind sie unverändert weiß, werde ich wohl nochmal draufschmieren. Verändern sie sich ins dunkle, werde ich wohl noch weiter beobachten.
Aber hier jetzt erstmal das Foto von heute:
~~~~~~~~~~~~
Viele Grüße, RJ
Viele Grüße, RJ
Re: 4-jährige Stute Sarkoid Achsel
Ich finde es prima, dass Du beobachtest. Vergrößere mal das Bild und schau genau hin, wo überall Haare sprießen. Gib der Ecke eine Chance. Da sind schon so viele Haare, das sieht für mich sehr gut aus. Bin gespannt, ob es sich bis Di/Mi verdunkelt, habe aber wirklich die Hoffnung, dass Ihr es bald habt. Ich drücke die Daumen!
Re: 4-jährige Stute Sarkoid Achsel
Hier ein Foto von heute.
Die Stelle hat sich bisher noch nicht wieder dunkel gefärbt, ich habe aber trotzdem seither nicht geschmiert.
Es ist nach wie vor nicht glatt, aber man fühlt es nur wenig.
Im Laufe der Woche werde ich aber wohl noch mal verdünnt drüber gehen. So zumindest mein Plan. Schauen wir mal.
Die Stelle hat sich bisher noch nicht wieder dunkel gefärbt, ich habe aber trotzdem seither nicht geschmiert.
Es ist nach wie vor nicht glatt, aber man fühlt es nur wenig.
Im Laufe der Woche werde ich aber wohl noch mal verdünnt drüber gehen. So zumindest mein Plan. Schauen wir mal.
~~~~~~~~~~~~
Viele Grüße, RJ
Viele Grüße, RJ
Re: 4-jährige Stute Sarkoid Achsel
Update-Bild von heute.
Nach 16 Tagen Schmierpause ist wieder etwas deutlicher ein kleiner Pickel zu sehen.
Ich habe drüber geschmiert. Mal sehen, was es wohl ist.
Nach 16 Tagen Schmierpause ist wieder etwas deutlicher ein kleiner Pickel zu sehen.
Ich habe drüber geschmiert. Mal sehen, was es wohl ist.
~~~~~~~~~~~~
Viele Grüße, RJ
Viele Grüße, RJ
Re: 4-jährige Stute Sarkoid Achsel
Hallo RJ!
Hmm, bin gespannt, was dein Pickelchen in den nächsten Tagen macht... Vielleicht täuscht das Foto auch ein wenig, aber ich meine im Vergleich zum Foto vorher zu erkennen, daß sich die unbehaarte Haut aussen herum (gerade am oberen Ende) von aussen nach innen wieder weiter dunkel pigmentiert? Das finde sehr positiv!
Hmm, bin gespannt, was dein Pickelchen in den nächsten Tagen macht... Vielleicht täuscht das Foto auch ein wenig, aber ich meine im Vergleich zum Foto vorher zu erkennen, daß sich die unbehaarte Haut aussen herum (gerade am oberen Ende) von aussen nach innen wieder weiter dunkel pigmentiert? Das finde sehr positiv!
----‐----‐-----------------------------------------
Viele Grüße Nika
Viele Grüße Nika
Re: 4-jährige Stute Sarkoid Achsel
Hier mal wieder ein Update von uns.
Vorgestern ist die aktuelle Kruste abgefallen und hat den Pickel mit abgetragen bzw. ist er mit rausgefallen.
Auf dem Bild kann man das leider nicht erkennen, aber es ist ein kleines (aber nicht sehr tiefes) Loch entstanden.
Die Fläche sieht jetzt zwar wieder etwas größer aus, dafür fühlt es sich aber echt unauffällig und relativ glatt an.
Das erste Bild ist direkt nachdem die Kruste abgefallen ist und den Pickel mitgenommen hat, das zweite Bild ist von heute und sieht wie ein ganz normale kleine Wundkruste aus.
Vorgestern ist die aktuelle Kruste abgefallen und hat den Pickel mit abgetragen bzw. ist er mit rausgefallen.
Auf dem Bild kann man das leider nicht erkennen, aber es ist ein kleines (aber nicht sehr tiefes) Loch entstanden.
Die Fläche sieht jetzt zwar wieder etwas größer aus, dafür fühlt es sich aber echt unauffällig und relativ glatt an.
Das erste Bild ist direkt nachdem die Kruste abgefallen ist und den Pickel mitgenommen hat, das zweite Bild ist von heute und sieht wie ein ganz normale kleine Wundkruste aus.
~~~~~~~~~~~~
Viele Grüße, RJ
Viele Grüße, RJ
Re: 4-jährige Stute Sarkoid Achsel
gefällt mir, was ich sehe! Wartest Du vorerst weiter ab?
Re: 4-jährige Stute Sarkoid Achsel
Ja, im Moment mache ich nichts. Auch weil es sich so unauffällig anfühlt.
Das letzte Mal habe ich vor 7 Tagen geschmiert.
Es wird aber natürlich argwöhnisch beobachtet...
Das letzte Mal habe ich vor 7 Tagen geschmiert.
Es wird aber natürlich argwöhnisch beobachtet...
~~~~~~~~~~~~
Viele Grüße, RJ
Viele Grüße, RJ
Re: 4-jährige Stute Sarkoid Achsel
ich drücke die Daumen!