Sarkoid Oberarm Woki - CompX

Bitte Alter u. Rasse des Pferdes angeben. Krankengeschichte mit erstmaligen Auftreten, Haltung u. evt. erfolgte Behandlungen. Diagnosestellung des behandelnden Tierarztes.
Infos zum equinen Sarkoid http://www.equines-sarkoid.de/seite-2/seite-2a/
allgemeine Fragen zum equinen Sarkoid http://www.equines-sarkoid.de/seite-2/s ... seite-2aa/
Fachwissen rund ums equine Sarkoid http://www.equines-sarkoid.de/seite-2/s ... rtationen/
Forumsregeln
Bitte Alter u. Rasse des Pferdes angeben. Krankengeschichte mit erstmaligen Auftreten, Haltung u. evt. erfolgte Behandlungen. Diagnosestellung des behandelnden Tierarztes.
Infos zum equinen Sarkoid http://www.equines-sarkoid.de/seite-2/seite-2a/
allgemeine Fragen zum equinen Sarkoid http://www.equines-sarkoid.de/seite-2/s ... seite-2aa/
Fachwissen rund ums equine Sarkoid http://www.equines-sarkoid.de/seite-2/s ... rtationen/

Wir übernehmen keine Haftung für die Folgen von Selbstversuchen, garantieren nicht für die
Richtigkeit der Inhalte dieser Seite und geben keine Heilungsversprechen.
Sprecht bitte immer vorher mit eurem Tierarzt, wir sind hier lediglich ein Zusammenschluss von interessierten Usern, die sich das Thema Sarkoid zum Hobby gemacht haben und hier unentgeltlich ihre Freizeit einbringen.
Was bei dem einem Pferd hilft, muss bei einem anderen noch lange nicht wirken.

Wir freuen uns bereits auf Deine aktive Mitgliedschaft!

Bild...das Team vom Sarkoidforum
Pharlap
Beiträge: 149
Registriert: Donnerstag 22. September 2022, 07:20

Re: Sarkoid Oberarm Woki

Beitrag von Pharlap »

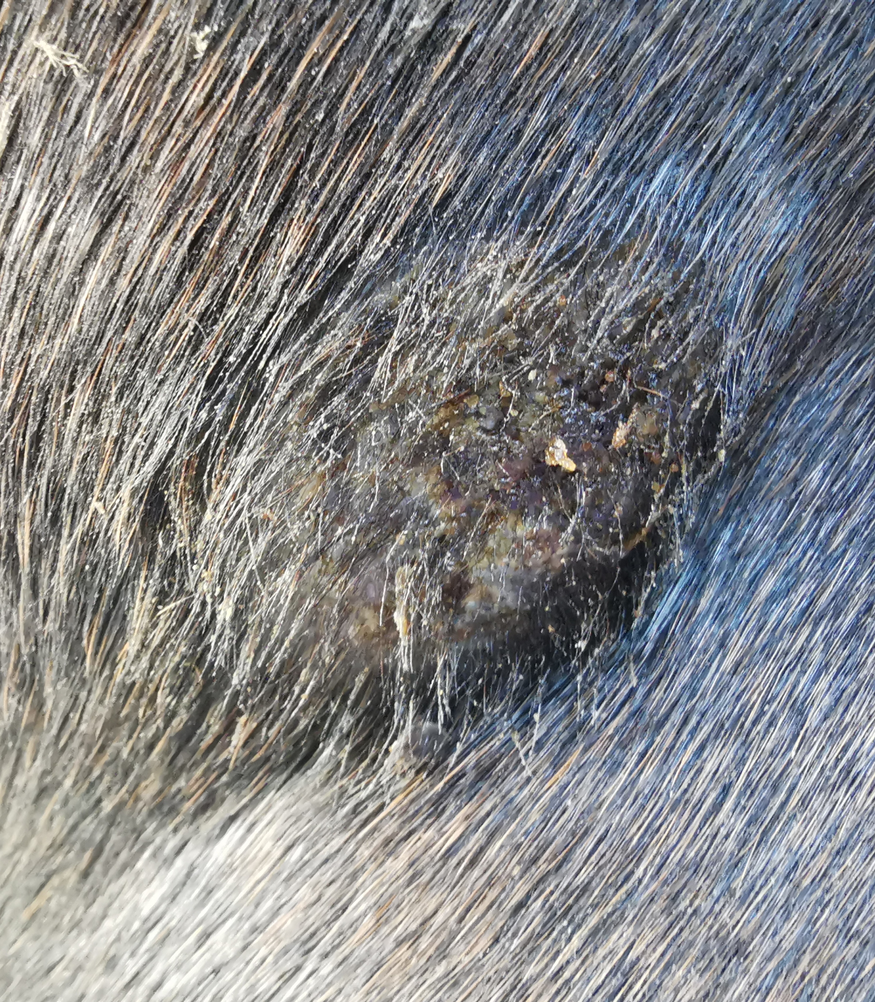
Hier sitzt das Sarkoid
Der Dateianhang IMG_20221011_121405.jpg existiert nicht mehr.
Heute Mittag
IMG_20221011_121405.jpg
Pharlap
Beiträge: 149
Registriert: Donnerstag 22. September 2022, 07:20

Re: Sarkoid Oberarm Woki

Beitrag von Pharlap »

Hier sitzt das Sarkoid
IMG_20221011_121405.jpg
Pharlap
Beiträge: 149
Registriert: Donnerstag 22. September 2022, 07:20

Re: Sarkoid Oberarm Woki

Beitrag von Pharlap »

11.10.22 Mittag
IMG_20221011_121531.jpg
rj-hü
Beiträge: 2157
Registriert: Samstag 29. April 2017, 23:36

Re: Sarkoid Oberarm Woki - CompX

Beitrag von rj-hü »

Pharlap hat geschrieben: Dienstag 11. Oktober 2022, 07:07 Morgen zusammen,

heute früh 11.10.22. Verdünnung 1:4
Das glatte unterhalb hab ich ausgespart
IMG_20221011_070514.jpg
👍
~~~~~~~~~~~~
Viele Grüße, RJ
Pharlap
Beiträge: 149
Registriert: Donnerstag 22. September 2022, 07:20

Re: Sarkoid Oberarm Woki - CompX

Beitrag von Pharlap »

Heute Abend
IMG_20221011_174113.jpg
Pharlap
Beiträge: 149
Registriert: Donnerstag 22. September 2022, 07:20

Re: Sarkoid Oberarm Woki - CompX

Beitrag von Pharlap »

Huhu

12.10.22
Heute früh 1:1 verdünnt

Heute Mittag
IMG_20221012_125616.jpg
Pharlap
Beiträge: 149
Registriert: Donnerstag 22. September 2022, 07:20

Re: Sarkoid Oberarm Woki - CompX

Beitrag von Pharlap »

Heute Abend
Dateianhänge
IMG_20221012_174905.jpg
Pharlap
Beiträge: 149
Registriert: Donnerstag 22. September 2022, 07:20

Re: Sarkoid Oberarm Woki - CompX

Beitrag von Pharlap »

Huhu
Heute Mittag 13.10.22
Früh 1:1 verdünnt
IMG_20221013_124111.jpg
Pharlap
Beiträge: 149
Registriert: Donnerstag 22. September 2022, 07:20

Re: Sarkoid Oberarm Woki - CompX

Beitrag von Pharlap »

Huhu
Heute nachmittag 14.10.22
Früh 1:1 verdünnt
IMG_20221014_164742.jpg
Pharlap
Beiträge: 149
Registriert: Donnerstag 22. September 2022, 07:20

Re: Sarkoid Oberarm Woki - CompX

Beitrag von Pharlap »

15.10.22 mittag
Früh 1:1 verdünnt
IMG_20221015_190401.jpg
Pharlap
Beiträge: 149
Registriert: Donnerstag 22. September 2022, 07:20

Re: Sarkoid Oberarm Woki - CompX

Beitrag von Pharlap »

Huhu
Heute 16.10.22
Früh 1:1 verdünnt

Foto vor Comp X
IMG_20221016_114353.jpg
Antworten

Zurück zu „Vorstellung der Pferde mit Sarkoid“