Spanier mit ES am Buggelenk
Forumsregeln
Bitte Alter u. Rasse des Pferdes angeben. Krankengeschichte mit erstmaligen Auftreten, Haltung u. evt. erfolgte Behandlungen. Diagnosestellung des behandelnden Tierarztes.
Infos zum equinen Sarkoid http://www.equines-sarkoid.de/seite-2/seite-2a/
allgemeine Fragen zum equinen Sarkoid http://www.equines-sarkoid.de/seite-2/s ... seite-2aa/
Fachwissen rund ums equine Sarkoid http://www.equines-sarkoid.de/seite-2/s ... rtationen/
Wir übernehmen keine Haftung für die Folgen von Selbstversuchen, garantieren nicht für die
Richtigkeit der Inhalte dieser Seite und geben keine Heilungsversprechen.
Sprecht bitte immer vorher mit eurem Tierarzt, wir sind hier lediglich ein Zusammenschluss von interessierten Usern, die sich das Thema Sarkoid zum Hobby gemacht haben und hier unentgeltlich ihre Freizeit einbringen.
Was bei dem einem Pferd hilft, muss bei einem anderen noch lange nicht wirken.
Wir freuen uns bereits auf Deine aktive Mitgliedschaft!
...das Team vom Sarkoidforum
Bitte Alter u. Rasse des Pferdes angeben. Krankengeschichte mit erstmaligen Auftreten, Haltung u. evt. erfolgte Behandlungen. Diagnosestellung des behandelnden Tierarztes.
Infos zum equinen Sarkoid http://www.equines-sarkoid.de/seite-2/seite-2a/
allgemeine Fragen zum equinen Sarkoid http://www.equines-sarkoid.de/seite-2/s ... seite-2aa/
Fachwissen rund ums equine Sarkoid http://www.equines-sarkoid.de/seite-2/s ... rtationen/
Wir übernehmen keine Haftung für die Folgen von Selbstversuchen, garantieren nicht für die
Richtigkeit der Inhalte dieser Seite und geben keine Heilungsversprechen.
Sprecht bitte immer vorher mit eurem Tierarzt, wir sind hier lediglich ein Zusammenschluss von interessierten Usern, die sich das Thema Sarkoid zum Hobby gemacht haben und hier unentgeltlich ihre Freizeit einbringen.
Was bei dem einem Pferd hilft, muss bei einem anderen noch lange nicht wirken.
Wir freuen uns bereits auf Deine aktive Mitgliedschaft!
...das Team vom Sarkoidforum
Spanier mit ES am Buggelenk
Hallo Zusammen!
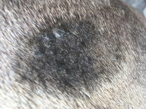
Bei meinem 11 jährigen Spanier hat sich vor ca 3,5 Jahren eine damals noch sehr kleine, flache, wie abgeschubbert oder verpilzte Stelle gebildet. Mein TA meinte damals, er tippt auf ES. Um es jedoch definitiv zu wissen wäre eine Biopsie nötig, von der er im jetzigen Stadium abraten würde, da das ES danach sehr wahrscheinlich stark zu mutieren anfängt. Also hab ich es dabei belassen, aber beobachtet.
Tatsächlich ist es in den Jahren nur seeeehr wenig gewachsen. Jetzt ist es zwar immer noch flach, hat aber eine Größe erreicht, die es mich nicht mehr tolerieren lässt. So habe ich CompX bestellt und es 1:1 mit Vaseline gemischt und heute das erste Mal aufgetragen. Ich bin wirklich sehr gespannt und hoffe sooo sehr darauf, dass es das ES, wenn es eins ist, "reparieren" kann.
Den Hufauskratzer habe ich daneben gehalten, damit man eine ungefähre Vorstellung von der Größe des ES hat.
Bei meinem 11 jährigen Spanier hat sich vor ca 3,5 Jahren eine damals noch sehr kleine, flache, wie abgeschubbert oder verpilzte Stelle gebildet. Mein TA meinte damals, er tippt auf ES. Um es jedoch definitiv zu wissen wäre eine Biopsie nötig, von der er im jetzigen Stadium abraten würde, da das ES danach sehr wahrscheinlich stark zu mutieren anfängt. Also hab ich es dabei belassen, aber beobachtet.
Tatsächlich ist es in den Jahren nur seeeehr wenig gewachsen. Jetzt ist es zwar immer noch flach, hat aber eine Größe erreicht, die es mich nicht mehr tolerieren lässt. So habe ich CompX bestellt und es 1:1 mit Vaseline gemischt und heute das erste Mal aufgetragen. Ich bin wirklich sehr gespannt und hoffe sooo sehr darauf, dass es das ES, wenn es eins ist, "reparieren" kann.
Den Hufauskratzer habe ich daneben gehalten, damit man eine ungefähre Vorstellung von der Größe des ES hat.
Re: Spanier mit ES am Buggelenk
-Tag 2-
Hallo zusammen!
Ich war gestern beim Pferd und habe schon nach dem Tag der ersten Salbung eine Veränderung festgestellt. Unter dem einen Knubbel hat sich eine kleine, krustige Stelle gebildet. Dies, obwohl dort vorher noch gar kein Knubbel war. Dank dieses Forums (und dan dieser Stelle wirklich einen großen Dank dafür an das Team und den Ersteller dieses Forums) konnte ich mich jedoch etwas belesen und weiß, dass das nicht ungewöhnlich ist. Ein bisschen Angst habe ich ja davor, dass seine Stelle auch zu einer sehr hässlichen Baustelle wird. Aber gut, am Ende soll es ja gut werden.
Anbei das Foto von gestern.
LG, Elke
Hallo zusammen!
Ich war gestern beim Pferd und habe schon nach dem Tag der ersten Salbung eine Veränderung festgestellt. Unter dem einen Knubbel hat sich eine kleine, krustige Stelle gebildet. Dies, obwohl dort vorher noch gar kein Knubbel war. Dank dieses Forums (und dan dieser Stelle wirklich einen großen Dank dafür an das Team und den Ersteller dieses Forums) konnte ich mich jedoch etwas belesen und weiß, dass das nicht ungewöhnlich ist. Ein bisschen Angst habe ich ja davor, dass seine Stelle auch zu einer sehr hässlichen Baustelle wird. Aber gut, am Ende soll es ja gut werden.
LG, Elke
Re: Spanier mit ES am Buggelenk
Herzlich willkommen im Forum,
das sieht doch alles gut aus.
So wie ich es hier gesehen habe, sind diese ganz flachen, nur schuppigen Sarkoide recht leicht zu behandeln und oft schnell weg.
Es kann natürlich trotzdem immer anders kommen...
LG Michaela
das sieht doch alles gut aus.
So wie ich es hier gesehen habe, sind diese ganz flachen, nur schuppigen Sarkoide recht leicht zu behandeln und oft schnell weg.
Es kann natürlich trotzdem immer anders kommen...
LG Michaela
Re: Spanier mit ES am Buggelenk
Guten Morgen, hallo liebe Michaela!
Vielen Dank für deine Nachricht und die Hoffnung bringenden Worte. Ich hoffe, es wird wie du sagst...
Anbei das Bild von gestern, bevor ich wieder aufgetragen habe. Gestern sah es komischerweise so aus, als wäre nie etwas passiert und das Krüstchen vom Vortag ist wieder weg. Es kann aber auch daran liegen, dass ich etwas zu dünn aufgetragen habe... Nach dem Foto hab ich ein wenig dicker aufgetragen und es ist wie im Forum beschrieben, dass es ihn juckt. Mal sehen, wie es heute aussieht.
Viele Grüße und eine schöne Woche allen!
Vielen Dank für deine Nachricht und die Hoffnung bringenden Worte. Ich hoffe, es wird wie du sagst...
Anbei das Bild von gestern, bevor ich wieder aufgetragen habe. Gestern sah es komischerweise so aus, als wäre nie etwas passiert und das Krüstchen vom Vortag ist wieder weg. Es kann aber auch daran liegen, dass ich etwas zu dünn aufgetragen habe... Nach dem Foto hab ich ein wenig dicker aufgetragen und es ist wie im Forum beschrieben, dass es ihn juckt. Mal sehen, wie es heute aussieht.
Viele Grüße und eine schöne Woche allen!
Re: Spanier mit ES am Buggelenk
Guten Morgen, liebes Forum!
Ich kann es heute ganz kurz machen...
-> Keine Veränderung.
Habe somit gestern ein kleines bisschen dicker geschmiert. Mal schauen wie es heute Abend ist.
LG, Elli
Stand: 15.08.23
Ich kann es heute ganz kurz machen...
-> Keine Veränderung.
Habe somit gestern ein kleines bisschen dicker geschmiert. Mal schauen wie es heute Abend ist.
LG, Elli
Stand: 15.08.23
Re: Spanier mit ES am Buggelenk
Hallihallo!
Soo, heute Abend ohne Bild. Hab's vergessen, vor dem Schmieren zu machen und danach sieht man nix vernünftig. Allerdings war auch nix zu sehen, da sich eine optische Veränderung auch nach gestern nicht eingestellt hat. Allerdings habe ich beim Schmieren bemerkt, dass es sich etwas anders anfühlt. Ich glaube nämlich, die Haut ist rauer geworden. Fühlt sich irgendwie an, wie ich mir Elefantenhaut vorstellen würde. Angefasst habe ich nämlich noch keinen...
Ich bin morgen Abend wieder da und werde berichten. Ich hoffe nur, ich mache alles richtig!
Gute Nacht zusammen...
Soo, heute Abend ohne Bild. Hab's vergessen, vor dem Schmieren zu machen und danach sieht man nix vernünftig. Allerdings war auch nix zu sehen, da sich eine optische Veränderung auch nach gestern nicht eingestellt hat. Allerdings habe ich beim Schmieren bemerkt, dass es sich etwas anders anfühlt. Ich glaube nämlich, die Haut ist rauer geworden. Fühlt sich irgendwie an, wie ich mir Elefantenhaut vorstellen würde. Angefasst habe ich nämlich noch keinen...
Ich bin morgen Abend wieder da und werde berichten. Ich hoffe nur, ich mache alles richtig!
Gute Nacht zusammen...
Re: Spanier mit ES am Buggelenk
Hallo und Guten Morgen!
Gestern Abend war Tag 5 des Schmier-Odyssee und es tut sich etwas. Die Stelle ist insgesamt nun doch deutlich rauer und das gesamte ES hebt sich. Nun bin ich unschlüssig, ob das Gewebe darunter einfach nur anschwillt oder sich auch die erhoffte Kruste bildet. Es fühlt sich jedenfalls fest an und schwabbelt nicht. Gestern war da ständig eine penetrante Fliege drauf, die sich nach dem schmieren aber da nicht mehr hinsetzen wollte. Ich schmiere heute Nachmittag wieder und werde weiter berichten. Es scheint Ihm jedenfalls nicht weh zu tun, er lässt das Schmieren über sich ergehen, auch wenn es ihm ohne dies lieber wäre.
Viele Grüße und ein schönes Wochenende!
Die Oberfläche ist etwas rauer Hier sieht man, dass es dicker geworden ist
Gestern Abend war Tag 5 des Schmier-Odyssee und es tut sich etwas. Die Stelle ist insgesamt nun doch deutlich rauer und das gesamte ES hebt sich. Nun bin ich unschlüssig, ob das Gewebe darunter einfach nur anschwillt oder sich auch die erhoffte Kruste bildet. Es fühlt sich jedenfalls fest an und schwabbelt nicht. Gestern war da ständig eine penetrante Fliege drauf, die sich nach dem schmieren aber da nicht mehr hinsetzen wollte. Ich schmiere heute Nachmittag wieder und werde weiter berichten. Es scheint Ihm jedenfalls nicht weh zu tun, er lässt das Schmieren über sich ergehen, auch wenn es ihm ohne dies lieber wäre.
Viele Grüße und ein schönes Wochenende!
Die Oberfläche ist etwas rauer Hier sieht man, dass es dicker geworden ist
Re: Spanier mit ES am Buggelenk
Hallo Zusammen!!
Gestern war Tag 6 und es tut sich etwas. Zum Einen interessieren sich leider inzwischen einige Fliegen für die Stelle, zum Anderen fängst das Ganze an trocken und rissig zu werden. Ich bin nun von Tag zu Tag gespannter, allerdings auch ängstlicher. Wenn man die ganzen Bilder so sieht, wird einem schon irgendwie komisch. Ich wünsche mir zwar so sehr, dass es einen guten Verlauf nimmt. Doch jetzt, wo es sich tatsächlich so entwickelt wie vorhergesagt, gruselt es mich ein wenig. Ich habe irgendwie Angst davor etwas falsch zu machen und ihm wehzutun...
Ein schönes Wochenende euch allen und bis morgen.
Zustand vom 18.08. 18.08. von oben fotografiert
Gestern war Tag 6 und es tut sich etwas. Zum Einen interessieren sich leider inzwischen einige Fliegen für die Stelle, zum Anderen fängst das Ganze an trocken und rissig zu werden. Ich bin nun von Tag zu Tag gespannter, allerdings auch ängstlicher. Wenn man die ganzen Bilder so sieht, wird einem schon irgendwie komisch. Ich wünsche mir zwar so sehr, dass es einen guten Verlauf nimmt. Doch jetzt, wo es sich tatsächlich so entwickelt wie vorhergesagt, gruselt es mich ein wenig. Ich habe irgendwie Angst davor etwas falsch zu machen und ihm wehzutun...
Ein schönes Wochenende euch allen und bis morgen.
Zustand vom 18.08. 18.08. von oben fotografiert
Re: Spanier mit ES am Buggelenk
Hallooo!
Heute ist Tag 7 und die Stelle ist aufgeplatzt. Jedoch finden sich keine rohen, gelben oder eitrige Stellen. Ich glaube auch, er hat es sich selbst aufgemacht oder halte es für wahrscheinlich. Als ich zur Koppel ging, hat er mit der Schnute immer die Fliegen verscheucht, die sich darauf nun mit wachsender Begeisterung niederlassen. Evtl. ist es auch dadurch offen.
Ich habe jedenfalls wieder geschmiert, bin mir aber nun sehr unsicher, ob ich das jetzt weiter tun soll. Leider ist nämlich nicht so gut zu erkennen, ob da nun etwas abgestoßen und tumorig ist. Was würdet ihr tun? Wie gesagt, ich habe heute noch mal geschmiert, nachdem ich das Foto gemacht habe...
Tag 7 LG und ein schönes Restwochenende
Heute ist Tag 7 und die Stelle ist aufgeplatzt. Jedoch finden sich keine rohen, gelben oder eitrige Stellen. Ich glaube auch, er hat es sich selbst aufgemacht oder halte es für wahrscheinlich. Als ich zur Koppel ging, hat er mit der Schnute immer die Fliegen verscheucht, die sich darauf nun mit wachsender Begeisterung niederlassen. Evtl. ist es auch dadurch offen.
Ich habe jedenfalls wieder geschmiert, bin mir aber nun sehr unsicher, ob ich das jetzt weiter tun soll. Leider ist nämlich nicht so gut zu erkennen, ob da nun etwas abgestoßen und tumorig ist. Was würdet ihr tun? Wie gesagt, ich habe heute noch mal geschmiert, nachdem ich das Foto gemacht habe...
Tag 7 LG und ein schönes Restwochenende
Re: Spanier mit ES am Buggelenk
Schmier mal weiter.
Ich versuche heute Abend nochmal hier reinzuschauen.
Ich versuche heute Abend nochmal hier reinzuschauen.
~~~~~~~~~~~~
Viele Grüße, RJ
Viele Grüße, RJ
Re: Spanier mit ES am Buggelenk
Also ich würde mal weitermachen.
Und ich würde auch erstmal 1:1 weitermachen.
Falls du meinst, dass eine Schwellung entsteht, dann mach mal 1-2 Tage Pause.
Um die Fliegen würde ich mir erstmal noch keine Sorgen machen.
Und eine Odyssee ist es nach 5-7 Tagen noch nicht
Und ich würde auch erstmal 1:1 weitermachen.
Falls du meinst, dass eine Schwellung entsteht, dann mach mal 1-2 Tage Pause.
Um die Fliegen würde ich mir erstmal noch keine Sorgen machen.
Und eine Odyssee ist es nach 5-7 Tagen noch nicht
~~~~~~~~~~~~
Viele Grüße, RJ
Viele Grüße, RJ