ES in der Gurtlage-Compx
Forumsregeln
Erfolgreiche Behandlungstagebücher werden hierher verschoben. Schön wäre es, wenn ihr diese ab und an mit einem Erfolgsbild aktualisieren würdet um zu berichten, ob das Pferd sarkoidfrei geblieben ist.
Bitte denkt immer daran, dass es Ziel des Forums ist, möglichst viele positive Behandlungsberichte zu sammeln, um anderen Usern Mut zusprechen.
Wir möchten uns hier für die aktive Teilnahme am Forum bedanken!
...das Team vom Sarkoidforum
Erfolgreiche Behandlungstagebücher werden hierher verschoben. Schön wäre es, wenn ihr diese ab und an mit einem Erfolgsbild aktualisieren würdet um zu berichten, ob das Pferd sarkoidfrei geblieben ist.
Bitte denkt immer daran, dass es Ziel des Forums ist, möglichst viele positive Behandlungsberichte zu sammeln, um anderen Usern Mut zusprechen.
Wir möchten uns hier für die aktive Teilnahme am Forum bedanken!

ES in der Gurtlage-Compx
Hallo zusammen.
Ich möchte uns hier gerne vorstellen und euch einen Einblick in unsere bereits zwei Jahre andauernde Behandlungsgeschichte geben.
Die Behandlung bestimme ich aber erst seit Ende September 2017 selbst, da ich mein Pferd da erst von der Vorbesitzerin übernommen habe. Davor war ich bereits zwei Jahre lang seine RB.
Im November 2015, da war mein Hannoveraner-Wallach 6 Jahre alt, wurde bei ihm ein ES am Bauch knapp hinter der Gurtlage festgestellt. Es war damals sehr klein und geschlossen. Die TÄ wollte es wegschneiden, die damalige Besitzerin entschied sich aber dagegen.
Mein Pferd bekam drei Pilz-Spritzen dagegen, die leider nicht halfen.
Über den Winter 2015/2016 wuchs das ES, sodass wir bald weiter vorne satteln mussten, damit der Gurt nicht am ES reibt. Wir schmierten Thuja-Tinktur und gaben Thuja-Globuli. Es half ein bisschen, das ES wurde zeitweilig kleiner, stagnierte dann aber leider.
Im Frühjahr und Sommer 2016 versuchten wir es erst mit Aciclovir und dann mit Nehl's Warzen Puder. Beides half nicht.
Im Mai 2016 kam es zu allem Überfluss noch dazu, dass mein Pferd sich die Hufeisen so oft ausriss, dass er fortan barhuf laufen musste. Für die Regeneration des stark angegriffenen Horns verzichteten wir erstmal auf's Reiten. In dieser Zeit wuchs das ES aber weiter, sodass nach der Regeneration der Hufe leider kein Satteln mehr möglich war. Das ES war nun so groß, dass es mein Pferd störte. ER schlug danach, vor allem wenn Fliegen dran saßen.
Im Herbst 2016 lernt die Vorbesitzerin eine Tierheilpraktikerin kennen, die es im Herbst/Winter 2016/2017 mit Nosoden- und Magnetfeldtherapie versuchte. Ich zog mich in dieser Zeit zurück, denn damit konnte ich gar nichts anfangen. Beim ES tat sich nichts Gutes, es wuchs unentwegt weiter. Nach dem Absetzen der Nosoden-Therapie schmierten wir Aloe Vera gegen das ES und Heilerde gegen die Fliegen.
Im Mai 2017 war das ES nun so groß und schwer, dass es die Haut am Bauch dehnte. Meinem Pferd ging es in dieser Zeit gar nicht gut. Das ES störte ihn extrem, er lief nicht mehr schneller als im Schritt, da das Ding an seinem Bauch immer so arg baumelte und an der Haut zog.
Als ein Pferd aus der Herde meinem Wallach dann ein Stück des Sarkoid abgebissen hatte, konsultierte die Vorbesitzerin im August 2017 einen neuen Tierarzt. Dieser verkaufte ihr das Terra E.S. In den ersten Tagen reagierte das Gewebe extrem auf die Salbe. Der Bauch rund um das ES war extrem geschwollen und schmerzte meinen Wallach. Nachdem die erste Schwellung abgeklungen war, konnte man eine leichte, aber stetige Schrumpfung feststellen. Das ES bildete eine dünne Kruste und jedes Mal, wenn die Kruste abfiel, war das ES ein bisschen kleiner geworden. Leider veränderte sich das ES nach wenigen Wochen nicht mehr.
Ende September habe ich den jungen Wallach übernommen und mich dazu entschlossen, die Behandlung mit CompX fort zu führen. Der TA, der die Terra E.S. besorgt hatte, verwies darauf, dass man das auch mal probieren kann.
Bereits nach der ersten Anwendung bildete sich eine Kruste. Am dritten Tag war die Kruste abgefallen und das ES darunter war zum ersten Mal seit Langem trocken und nicht blutig. Ab jetzt bildete sich immer zuverlässig eine dicke, feste Kruste. Wenn sie abfiel, war das ES deutlich kleiner als zuvor. In den wenigen Wochen, die ich das CompX jetzt verwende, ist mein Optimismus extrem gestiegen. Geholfen hat in der letzten Zeit glaube ich auch vor allem der Stallwechsel nach dem Besitzerwechsel. Er hat in seiner neuen Herde super schnell Anschluss gefunden und es sieht so aus, als hilft seine neu gewonnene Lebensfreude bei der Heilung.
Es folgen noch Fotos vom bisherigen Verlauf der Behandlung. Ich bleibe auf jeden Fall dran und dokumentiere die Veränderungen fleißig weiter!
Ich möchte uns hier gerne vorstellen und euch einen Einblick in unsere bereits zwei Jahre andauernde Behandlungsgeschichte geben.
Die Behandlung bestimme ich aber erst seit Ende September 2017 selbst, da ich mein Pferd da erst von der Vorbesitzerin übernommen habe. Davor war ich bereits zwei Jahre lang seine RB.
Im November 2015, da war mein Hannoveraner-Wallach 6 Jahre alt, wurde bei ihm ein ES am Bauch knapp hinter der Gurtlage festgestellt. Es war damals sehr klein und geschlossen. Die TÄ wollte es wegschneiden, die damalige Besitzerin entschied sich aber dagegen.
Mein Pferd bekam drei Pilz-Spritzen dagegen, die leider nicht halfen.
Über den Winter 2015/2016 wuchs das ES, sodass wir bald weiter vorne satteln mussten, damit der Gurt nicht am ES reibt. Wir schmierten Thuja-Tinktur und gaben Thuja-Globuli. Es half ein bisschen, das ES wurde zeitweilig kleiner, stagnierte dann aber leider.
Im Frühjahr und Sommer 2016 versuchten wir es erst mit Aciclovir und dann mit Nehl's Warzen Puder. Beides half nicht.
Im Mai 2016 kam es zu allem Überfluss noch dazu, dass mein Pferd sich die Hufeisen so oft ausriss, dass er fortan barhuf laufen musste. Für die Regeneration des stark angegriffenen Horns verzichteten wir erstmal auf's Reiten. In dieser Zeit wuchs das ES aber weiter, sodass nach der Regeneration der Hufe leider kein Satteln mehr möglich war. Das ES war nun so groß, dass es mein Pferd störte. ER schlug danach, vor allem wenn Fliegen dran saßen.
Im Herbst 2016 lernt die Vorbesitzerin eine Tierheilpraktikerin kennen, die es im Herbst/Winter 2016/2017 mit Nosoden- und Magnetfeldtherapie versuchte. Ich zog mich in dieser Zeit zurück, denn damit konnte ich gar nichts anfangen. Beim ES tat sich nichts Gutes, es wuchs unentwegt weiter. Nach dem Absetzen der Nosoden-Therapie schmierten wir Aloe Vera gegen das ES und Heilerde gegen die Fliegen.
Im Mai 2017 war das ES nun so groß und schwer, dass es die Haut am Bauch dehnte. Meinem Pferd ging es in dieser Zeit gar nicht gut. Das ES störte ihn extrem, er lief nicht mehr schneller als im Schritt, da das Ding an seinem Bauch immer so arg baumelte und an der Haut zog.
Als ein Pferd aus der Herde meinem Wallach dann ein Stück des Sarkoid abgebissen hatte, konsultierte die Vorbesitzerin im August 2017 einen neuen Tierarzt. Dieser verkaufte ihr das Terra E.S. In den ersten Tagen reagierte das Gewebe extrem auf die Salbe. Der Bauch rund um das ES war extrem geschwollen und schmerzte meinen Wallach. Nachdem die erste Schwellung abgeklungen war, konnte man eine leichte, aber stetige Schrumpfung feststellen. Das ES bildete eine dünne Kruste und jedes Mal, wenn die Kruste abfiel, war das ES ein bisschen kleiner geworden. Leider veränderte sich das ES nach wenigen Wochen nicht mehr.
Ende September habe ich den jungen Wallach übernommen und mich dazu entschlossen, die Behandlung mit CompX fort zu führen. Der TA, der die Terra E.S. besorgt hatte, verwies darauf, dass man das auch mal probieren kann.
Bereits nach der ersten Anwendung bildete sich eine Kruste. Am dritten Tag war die Kruste abgefallen und das ES darunter war zum ersten Mal seit Langem trocken und nicht blutig. Ab jetzt bildete sich immer zuverlässig eine dicke, feste Kruste. Wenn sie abfiel, war das ES deutlich kleiner als zuvor. In den wenigen Wochen, die ich das CompX jetzt verwende, ist mein Optimismus extrem gestiegen. Geholfen hat in der letzten Zeit glaube ich auch vor allem der Stallwechsel nach dem Besitzerwechsel. Er hat in seiner neuen Herde super schnell Anschluss gefunden und es sieht so aus, als hilft seine neu gewonnene Lebensfreude bei der Heilung.
Es folgen noch Fotos vom bisherigen Verlauf der Behandlung. Ich bleibe auf jeden Fall dran und dokumentiere die Veränderungen fleißig weiter!
Re: ES in der Gurtlage
Das ES im Dezember 2016:
Das ES im Mai 2017 - so groß und schwer, dass es die Haut am Bauch dehnt...:
Das ES am 02. August 2017 - Behandlungsbeginn mit Terra E.S.:
Das ES am 06. August 2017 - Die Schwellung geht zurück:
Das ES am 31. August 2017:
Das ES am 24. September 2017 - Behandlungsbeginn mit CompX war am Vortag. Das erste Mal seit Langem ist das Sarkoid trocken:
Das ES am 22. Oktober 2017 - nach 4 Wochen mit CompX schon eine deutliche Veränderung:
Das ES am 24. Oktober 2017 - es wird immer kleiner!
Das ES am 31. Oktober 2017 - wieder ein Stück abgefallen:
Das ES am 02. November 2017:
Das ES am 06. November 2017:
Das ES am 07. November 2017 - es wird täglich kleiner:
Re: ES in der Gurtlage
Das ES am 08. November 2017 - wieder kleiner geworden!
Ich habe noch vergessen zu erwähnen, in welchem Mischungsverhältnis ich das CompX verwende:
In den ersten 4 Wochen im Verhältnis CompX : Vaseline = 1 : 1
Danach 2 Wochen lang im Verhältnis CompX : Vaseline = 3 : 2
Ab jetzt verdünne ich wieder auf CompX : Vaseline = 1 : 1
Bin gespannt wie es sich weiter entwickelt!
Ab jetzt muss ich es wohl von unten fotografieren, damit man die Veränderungen sehen kann:
Ich habe noch vergessen zu erwähnen, in welchem Mischungsverhältnis ich das CompX verwende:
In den ersten 4 Wochen im Verhältnis CompX : Vaseline = 1 : 1
Danach 2 Wochen lang im Verhältnis CompX : Vaseline = 3 : 2
Ab jetzt verdünne ich wieder auf CompX : Vaseline = 1 : 1
Bin gespannt wie es sich weiter entwickelt!
Re: ES in der Gurtlage
In den letzten vier Wochen seit Anfang November war es immer dasselbe. Es bildete sich eine feste Kruste, die nach ein paar Tagen von selbst abfiel. Unter dem Sarkoid war zuvor immer noch härteres Gewebe spürbar. Das verringerte sich merklich in dieser Zeit. Jetzt ist nur noch das sichtbare ES tastbar, darunter ist nichts mehr. Zudem nahm auch der Durchmesser des ES ab. Es ist jetzt nur noch so groß wie eine 2-Euro-Münze. Und außen herum bildet sich sogar schon neue Haut!
Das Sarkoid am 25.11.2017: Das Sarkoid am 01.12.2017: Das Sarkoid am 09.12.2017, neue Haut ist um das ES herum zu erkennen:
Das Sarkoid am 25.11.2017: Das Sarkoid am 01.12.2017: Das Sarkoid am 09.12.2017, neue Haut ist um das ES herum zu erkennen:
Re: ES in der Gurtlage
Liebe Admins.
Ich würde meine Vorstellung gerne als Tagebuch weiter führen. Wäre das möglich?
Der Titel kann gerne ergängzt werden durch "Behandlung mit CompX" oder so ähnlich.
Danke im Voraus
Eure lady_st
Ich würde meine Vorstellung gerne als Tagebuch weiter führen. Wäre das möglich?
Der Titel kann gerne ergängzt werden durch "Behandlung mit CompX" oder so ähnlich.
Danke im Voraus

Eure lady_st
Re: ES in der Gurtlage
Schreib Bitte hier einfach weiter, sobald Eline zurück ist wird sie das gerne in ein Tagebuch ändern
Re: ES in der Gurtlage
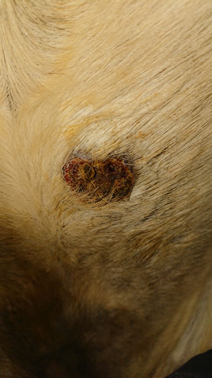
Das ES am 13. Dezember 2017:
Das ES am 15. Dezember 2017:
Das ES am 29. Dezember 2017 (immer noch die Kruste vom 15.12.):
Das ES am 30. Dezember 2017 (endlich ist die Kruste ab):
Re: ES in der Gurtlage
Hey, ja klar.
Habe sofort weiter geschmiert.
So sah es dann am nächsten Tag - am 31. Dezember 2017 - aus:
Habe sofort weiter geschmiert.
So sah es dann am nächsten Tag - am 31. Dezember 2017 - aus:
Re: ES in der Gurtlage
Und hier sind die ersten Fotos im neuen Jahr - es ist eine stetige Verbesserung zu sehen:
Das ES am 07. Januar 2018: Das ES am 12. Januar 2018: Das ES am 13. Januar 2018:
Das ES am 07. Januar 2018: Das ES am 12. Januar 2018: Das ES am 13. Januar 2018:
Re: ES in der Gurtlage

