Knapp dreijähriger Wallach, Sarkoid am Mähnenkamm- CompX

Erfolgreiche Behandlungstagebücher werden hierher verschoben. Schön wäre es, wenn ihr diese ab und an mit einem Erfolgsbild aktualisieren würdet um zu berichten, ob das Pferd sarkoidfrei geblieben ist.
Forumsregeln
Erfolgreiche Behandlungstagebücher werden hierher verschoben. Schön wäre es, wenn ihr diese ab und an mit einem Erfolgsbild aktualisieren würdet um zu berichten, ob das Pferd sarkoidfrei geblieben ist.

Bitte denkt immer daran, dass es Ziel des Forums ist, möglichst viele positive Behandlungsberichte zu sammeln, um anderen Usern Mut zusprechen.

Wir möchten uns hier für die aktive Teilnahme am Forum bedanken!

Bild...das Team vom Sarkoidforum
Antworten
Mary-Lou
Beiträge: 13
Registriert: Sonntag 24. März 2019, 11:50

Knapp dreijähriger Wallach, Sarkoid am Mähnenkamm- CompX

Beitrag von Mary-Lou »

Hallo zusammen,

als erstes möchte ich mich bedanken für die vielen hilfreichen Informationen und Erfahrungsberichte, die Ihr hier sammelt. Man fühlt sich gleich weniger alleingelassen und hilflos!

Ich habe mich (leider) aus aktuellem Anlass angemeldet:
Mein knapp dreijähriger, selbst gezogener WB-Wallach hat seit er knapp zweijährig ist schon mehrere Sarkoide gehabt. Ein großes am Hinterschenkeln hat der TA großflächig per OP entfernt, eins an der Brust, eins am Mähnenkamm und eins innen am Hinterbein haben wir dank CompX in den Griff bekommen.
Fotografiert habe ich damals (war letztes Jahr etwa um die gleiche Zeit) den Behandlungsverlauf des blöden Teils am Mähnenkamm, die Fotos stelle ich zur Dokumentation hier auch noch ein.

Der kleine Kerl ist Ende Januar in der Klinik kastriert worden und gestern habe ich dort, wo die OP-Narbe war, ein neues, rasant gewachsenes Sarkoid entdeckt. Es muss in maximal drei Wochen auf diese Größe gewachsen sein, denn vorher habe ich noch alle paar Tage die Stelle wg. der Kastrations-OP kontrolliert :-/

Natürlich werde ich wieder auf CompX setzen, nur steht der Kleine noch in der Aufzucht, 24 h draußen, keine Möglichkeit ihn zum Behandeln kurz in den Stall zu holen. Habe große Zweifel, dass er sich an dieser Stelle mehr als ein, zwei Mal behandeln lässt... aber ich werde es versuchen.

Natürlich werde ich auch noch ein Tagebuch eröffnen, um Freud und Leid sowie Erfahrungen zu teilen ;)
Mary-Lou
Beiträge: 13
Registriert: Sonntag 24. März 2019, 11:50

Re: Knapp dreijähriger "Neu-Wallach" mit aggressiven Sarkoiden

Beitrag von Mary-Lou »

Ups, anscheinend kann man Beiträge nicht nachträglich bearbeiten?

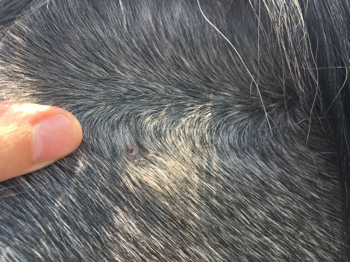
Dann hier die Fotos der letztjährigen Sarkoidbehandlung am Mähnenkamm, vom ersten bis zum letzten Bild liegen ziemlich genau 2 Monate dazwischen. Ich hoffe das klappt mit den Anhängen :oops:

Das neue Sarkoid am Hodensack sieht fast identisch aus, allerdings noch etwas größer und vor allem viel viel schneller gewachsen (das am Mähnenkamm hat gut 6 Monate gebraucht, so groß zu werden, das neue jetzt nur drei Wochen).
Der Dateianhang Sarkoid Mähnenkamm Beginn.jpg existiert nicht mehr.
Sarkoid zu Behandlungsbeginn
Sarkoid zu Behandlungsbeginn
Mary-Lou
Beiträge: 13
Registriert: Sonntag 24. März 2019, 11:50

Re: Knapp dreijähriger "Neu-Wallach" mit aggressiven Sarkoiden

Beitrag von Mary-Lou »

kurz vor Behandlungsende.jpg
Benutzeravatar
Eline
Site Admin
Beiträge: 4502
Registriert: Sonntag 17. Februar 2019, 14:58

Re: Knapp dreijähriger "Neu-Wallach" mit aggressiven Sarkoiden

Beitrag von Eline »

Huhu,
diesen Beitrag schiebe ich mal zu den Erfolgen, für das Sarkoid aus der Kastrationsnarbe gibt es ja ein eigene Tagebuch.

Wie hoch war der Verbrauch und die Dauer?
.....nur eine langweilige Frau hat einen perfekten Haushalt .....
Gruß Irene/ Eline Bild


__________________________________________________________________________
Die von mir und anderen Usern eingestellten Erfahrungen u. Berichte ersetzen keinen Tierarzt.
Ich übernehme keine Haftung für die Folgen von Selbstversuchen, garantiere nicht für die
Richtigkeit der Inhalte dieser Seite und gebe keine Heilungsversprechen.
Sprecht bitte immer vorher mit eurem Tierarzt.
Was bei dem einem Pferd hilft, muß einem anderen noch lange nicht wirken.
Antworten

Zurück zu „Erfolgsstories die Mut machen“