Warze oder Equines Sarkoid
Forumsregeln
Bereich für Mitglieder die Hilfe bei der Behandlung benötigen und diese von Anfang bis Ende inkl. Bildern für andere User dokumentieren möchten. Gute Qualität, Datumsangabe u. gleiche Perspektive der Bilder beachten.
Da unsere Moderatoren bemüht sind, hier Hilfe zu leisten, erwarten wir auch bei erfolgreicher Behandlung ein kurzes Abschlusspost mit Bild oder bei Beendigung einen kleinen Hinweis um das Tagebuch ins Archiv zu verschieben.
Im Titel bitte Usernamen, Behandlungsart, Tumorart und Tumorstelle angeben. Dies erleichtert die Suche!
Die von uns und anderen Usern gegebenen Tipps ersetzen keinen Tierarzt.
Wir übernehmen keine Haftung für die Folgen von Selbstversuchen, garantieren nicht für die
Richtigkeit der Inhalte dieser Seite und geben keine Heilungsversprechen.
Sprecht bitte immer vorher mit eurem Tierarzt.
Was bei dem einem Pferd hilft, muss bei einem anderen noch lange nicht wirken.
Wir freuen uns bereits auf Deine aktive Mitgliedschaft!
...das Team vom Sarkoidforum
Bereich für Mitglieder die Hilfe bei der Behandlung benötigen und diese von Anfang bis Ende inkl. Bildern für andere User dokumentieren möchten. Gute Qualität, Datumsangabe u. gleiche Perspektive der Bilder beachten.
Da unsere Moderatoren bemüht sind, hier Hilfe zu leisten, erwarten wir auch bei erfolgreicher Behandlung ein kurzes Abschlusspost mit Bild oder bei Beendigung einen kleinen Hinweis um das Tagebuch ins Archiv zu verschieben.
Im Titel bitte Usernamen, Behandlungsart, Tumorart und Tumorstelle angeben. Dies erleichtert die Suche!
Die von uns und anderen Usern gegebenen Tipps ersetzen keinen Tierarzt.
Wir übernehmen keine Haftung für die Folgen von Selbstversuchen, garantieren nicht für die
Richtigkeit der Inhalte dieser Seite und geben keine Heilungsversprechen.
Sprecht bitte immer vorher mit eurem Tierarzt.
Was bei dem einem Pferd hilft, muss bei einem anderen noch lange nicht wirken.
Wir freuen uns bereits auf Deine aktive Mitgliedschaft!
...das Team vom Sarkoidforum
Re: Warze oder Equines Sarkoid
So inzwischen haben wir schon dreimal geschmiert verdünnt 1:1 mit Vaseline. Heute habe ich mal testweise pur geschmiert und prompt wollte sich Madam dort selbst kratzen. Sah sehr amüsant aus wie sie so versucht bei angehobenen Bein sich da mit den zähnen zu kratzen. Zum Glück ist nichts passiert und der Drang war auch bald weg. Aber zumindest weiss ich jetzt, dass die Creme was bewirkt. Morgen werde ich wieder lieber mit 1:1 schmieren.
Viel getan hat sich natürlich nach so kurzer Zeit nicht.
Viel getan hat sich natürlich nach so kurzer Zeit nicht.
Re: Warze oder Equines Sarkoid
Ja Geduld ist schwierig. Wenn sich bis nächste Woche nicht was tut, werde ich doch wieder pur schmieren. Nachdem das Ding ja Noch nie offen war, kommt halt auch wenig durch. Wie war der Spruch, ist das ES stur, dann eben pur 
Allerdings hab ich das Gefühl, dass das ganze etwas erhabener wird.
Allerdings hab ich das Gefühl, dass das ganze etwas erhabener wird.
Re: Warze oder Equines Sarkoid
Hallo Fenchurch,
Na, Du bist ja lustig. Schmierst seit 5 Tagen und scharrst schon mit den Hufen.
Dann werde ich Dir diesen Zahn jetzt mal gleich ziehen: die DURCHSCHNITTLICHE Behandlungsdauer mit CompX liegt bei rund 6 Monaten. Da es immer mal wieder ein paar "Wunder" gibt, wo der Spuk nach 6 Wochen vorbei ist, heißt das im Gegenzug, dass es für jeden kurzen Verlauf auch einen deutlich längeren Verlauf gibt.
Soll heißen: Du wirst aller Voraussicht nach noch eine ganze Weile ein kooperatives Pferd brauchen. Verscherze es Dir nicht gleich in Woche 2.
Richtig ist zwar schon "auf stur gibt's pur", aber nach 5 Tagen ist ein Sarkoid noch nicht stur. Glaub mir.
Und dass es weiter rauskommt, ist recht typisch.
Du kannst mal in mein Tagebuch schauen, unsere Gurtlage war auch so ähnlich.
Also: viel Erfolg und übe Dich in Geduld
LG, Andrea
Na, Du bist ja lustig. Schmierst seit 5 Tagen und scharrst schon mit den Hufen.
Dann werde ich Dir diesen Zahn jetzt mal gleich ziehen: die DURCHSCHNITTLICHE Behandlungsdauer mit CompX liegt bei rund 6 Monaten. Da es immer mal wieder ein paar "Wunder" gibt, wo der Spuk nach 6 Wochen vorbei ist, heißt das im Gegenzug, dass es für jeden kurzen Verlauf auch einen deutlich längeren Verlauf gibt.
Soll heißen: Du wirst aller Voraussicht nach noch eine ganze Weile ein kooperatives Pferd brauchen. Verscherze es Dir nicht gleich in Woche 2.
Richtig ist zwar schon "auf stur gibt's pur", aber nach 5 Tagen ist ein Sarkoid noch nicht stur. Glaub mir.
Und dass es weiter rauskommt, ist recht typisch.
Du kannst mal in mein Tagebuch schauen, unsere Gurtlage war auch so ähnlich.
Also: viel Erfolg und übe Dich in Geduld
LG, Andrea
Re: Warze oder Equines Sarkoid
Ich möchte ja auch nicht gleich pur schmieren sondern “erst” in einer Woche und ausserdem sind es schon sieben Tage
Ist schon klar, dass es Monate dauern wird
ich meinte ja auch nicht, dass es schon weg sein soll, sondern dass es ja erst mal reagieren muss.
Ich hab eben nur bei vielen die Empfehlung gelesen, die auch so eine geschlossenes hatten, dass zum “Wecken” am Anfang eben ein paar Mal pur geschmiert werden soll.
Mit dem ”Erhaben werden“ wollte ich nur sagen, dass ich ja vielleicht doch schon eine Reaktion sehe, nicht dass ich mir deswegen Sorgen mache.
Irgendwie schon dämlich, dass man sich eine Kruste, Eiter und Blut wünscht 
Ist schon klar, dass es Monate dauern wird
Ich hab eben nur bei vielen die Empfehlung gelesen, die auch so eine geschlossenes hatten, dass zum “Wecken” am Anfang eben ein paar Mal pur geschmiert werden soll.
Mit dem ”Erhaben werden“ wollte ich nur sagen, dass ich ja vielleicht doch schon eine Reaktion sehe, nicht dass ich mir deswegen Sorgen mache.
Re: Warze oder Equines Sarkoid
kommt alles noch, keine Sorge
Und kannst Du ja probieren. Wenn es dick wird oder Dein Pferd abwehrend reagiert, musst Du es halt wieder lassen. Es ist viel Bauchgefühl und wir können hier auch nur mitschauen und vermuten. DU stehst täglich davor und hast mit Sicherheit den besten Eindruck.
Schöne Ostern!
Und kannst Du ja probieren. Wenn es dick wird oder Dein Pferd abwehrend reagiert, musst Du es halt wieder lassen. Es ist viel Bauchgefühl und wir können hier auch nur mitschauen und vermuten. DU stehst täglich davor und hast mit Sicherheit den besten Eindruck.
Schöne Ostern!
Re: Warze oder Equines Sarkoid
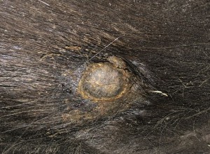
So rein äußerlich scheint sich ja bisher noch nicht viel getan zu haben, deswegen habe ich gestern mal pur geschmiert.
Heute habe dann mal die Hautfalte in die Finger genommen um es mir genauer anzuschauen. Dabei konnte ich etwas in den Spalt schauen und darunter war es richtig eitrig. Da scheint sich ja wohl doch einiges drunter zu tun.
Nach dem Reiten hab ich nochmal geguckt und dabei ist dann ein bisschen abgegangen von der Sichel und darunter war rosa Haut. Ich hab mich super gefreut (hab aber leider Foto vergessen. Der Hauptteil wird zwar sicher nicht so Problemlos sein, aber das macht trotzdem schon mal richtig Mut.
Heute habe dann mal die Hautfalte in die Finger genommen um es mir genauer anzuschauen. Dabei konnte ich etwas in den Spalt schauen und darunter war es richtig eitrig. Da scheint sich ja wohl doch einiges drunter zu tun.
Nach dem Reiten hab ich nochmal geguckt und dabei ist dann ein bisschen abgegangen von der Sichel und darunter war rosa Haut. Ich hab mich super gefreut (hab aber leider Foto vergessen. Der Hauptteil wird zwar sicher nicht so Problemlos sein, aber das macht trotzdem schon mal richtig Mut.
Re: Warze oder Equines Sarkoid
Nun ein Foto von heute, da sieht man schön die Stelle wo das Zeug abgegangen ist. Heute war es schon an den meisten Stellen grau bis auf ein paar rose Punkte. Die nächsten Tage werde ich das vorher eincremen und dann nur die Reste vom Schmierfinger daran abstreichen. Mal schauen, ob es darauf reagiert.
Re: Warze oder Equines Sarkoid
Sorry, ich verstehe Deinen Eintrag nicht. Was war an den meisten Stellen grau? Die Kruste? Das Sarkoid?
Und womit willst Du was vorher eincremen? Und wo kommen die Reste vom Schmierfinger hin?
Bin verwirrt!
Und womit willst Du was vorher eincremen? Und wo kommen die Reste vom Schmierfinger hin?
Bin verwirrt!
Re: Warze oder Equines Sarkoid
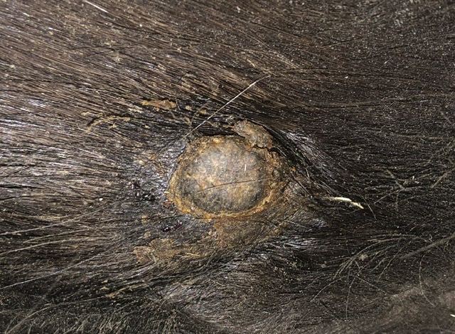
An den Stellen wo am Tag vorher das Zeug/Kruste abgegangen ist, war die Haut zunächst rosig, gestern dann schon grau. Diese Stellen, will ich nur noch verdünnt einschmieren, indem ich sie erst mit Vaseline einschmiere und dann nur noch die Reste drauf verteile.
Ich hoffe das ist jetzt klarer
Ich habs mal ungefähr markiert wo was abgegangen ist
Ich hoffe das ist jetzt klarer
Ich habs mal ungefähr markiert wo was abgegangen ist
Re: Warze oder Equines Sarkoid
Heute ist der Rest der Sichel abgegangen. Diesmal ist drunter eine kleine Kruste geblieben, aber insgesamt ist die Entwicklung sehr erfreulich. Ich hoffe es bleibt so.
Allerdings hBe ich bei genauerem Abtasten bzw. Fotografieren noch zwei verdächtige Stellen gefunden, die wirklich blöd liegen. Zum einen innen an den Zitzen und zum anderen innen an der Hautfalte zwischen Bauch und Innenschenkel.
Beide lässt sie sich in letzter Zeit sehr ungern anfassen und hinsehen kann man gar nicht. Was meint ihr, könnten das auch Sarkoide im Anfangsstadium sein? Im Moment scheint es nicht mehr als raue Haut zu sein.
Allerdings hBe ich bei genauerem Abtasten bzw. Fotografieren noch zwei verdächtige Stellen gefunden, die wirklich blöd liegen. Zum einen innen an den Zitzen und zum anderen innen an der Hautfalte zwischen Bauch und Innenschenkel.
Beide lässt sie sich in letzter Zeit sehr ungern anfassen und hinsehen kann man gar nicht. Was meint ihr, könnten das auch Sarkoide im Anfangsstadium sein? Im Moment scheint es nicht mehr als raue Haut zu sein.