Viele Grüße
Sarkoid Bauch/ Haflinger 8 Jahre
Forumsregeln
Bereich für Mitglieder die Hilfe bei der Behandlung benötigen und diese von Anfang bis Ende inkl. Bildern für andere User dokumentieren möchten. Gute Qualität, Datumsangabe u. gleiche Perspektive der Bilder beachten.
Da unsere Moderatoren bemüht sind, hier Hilfe zu leisten, erwarten wir auch bei erfolgreicher Behandlung ein kurzes Abschlusspost mit Bild oder bei Beendigung einen kleinen Hinweis um das Tagebuch ins Archiv zu verschieben.
Im Titel bitte Usernamen, Behandlungsart, Tumorart und Tumorstelle angeben. Dies erleichtert die Suche!
Die von uns und anderen Usern gegebenen Tipps ersetzen keinen Tierarzt.
Wir übernehmen keine Haftung für die Folgen von Selbstversuchen, garantieren nicht für die
Richtigkeit der Inhalte dieser Seite und geben keine Heilungsversprechen.
Sprecht bitte immer vorher mit eurem Tierarzt.
Was bei dem einem Pferd hilft, muss bei einem anderen noch lange nicht wirken.
Wir freuen uns bereits auf Deine aktive Mitgliedschaft!
...das Team vom Sarkoidforum
Bereich für Mitglieder die Hilfe bei der Behandlung benötigen und diese von Anfang bis Ende inkl. Bildern für andere User dokumentieren möchten. Gute Qualität, Datumsangabe u. gleiche Perspektive der Bilder beachten.
Da unsere Moderatoren bemüht sind, hier Hilfe zu leisten, erwarten wir auch bei erfolgreicher Behandlung ein kurzes Abschlusspost mit Bild oder bei Beendigung einen kleinen Hinweis um das Tagebuch ins Archiv zu verschieben.
Im Titel bitte Usernamen, Behandlungsart, Tumorart und Tumorstelle angeben. Dies erleichtert die Suche!
Die von uns und anderen Usern gegebenen Tipps ersetzen keinen Tierarzt.
Wir übernehmen keine Haftung für die Folgen von Selbstversuchen, garantieren nicht für die
Richtigkeit der Inhalte dieser Seite und geben keine Heilungsversprechen.
Sprecht bitte immer vorher mit eurem Tierarzt.
Was bei dem einem Pferd hilft, muss bei einem anderen noch lange nicht wirken.
Wir freuen uns bereits auf Deine aktive Mitgliedschaft!
...das Team vom Sarkoidforum
Re: Sarkoid Bauch/ Haflinger 8 Jahre
Das sieht für dich wie gesunde empfindliche Haut aus, die reagiert hat?
Viele Grüße
Viele Grüße
Re: Sarkoid Bauch/ Haflinger 8 Jahre
Obwohl das Foto wirklich scharf ist, erkenne ich trotzdem wenig. Ist da ein Knötchen? Dann vielleicht doch Sarkoid?
Mach mal noch mehr Fotos. Bevorzugt mal mit Blitz, mal ohne, mal etwas weiter weg, damit ich zoomen kann. Ist so halt echt schwierig.
Kannst auch einfach noch ne Woche mit Vaseline abdecken und gucken, ob es verschwindet. Wenn nicht, ist es wohl doch was Anderes. Ausschlussverfahren. Sehr professionell...
Re: Sarkoid Bauch/ Haflinger 8 Jahre
Hallo, hier ein Update.
Das Grosse schmiere ich jetzt seit knapp 3 Wochen 1:1 und die kleinen 1:5.
Die Reaktion an der Schlauchtasche heilt langsam ab.
Viele Grüße
Das Grosse schmiere ich jetzt seit knapp 3 Wochen 1:1 und die kleinen 1:5.
Die Reaktion an der Schlauchtasche heilt langsam ab.
Viele Grüße
Re: Sarkoid Bauch/ Haflinger 8 Jahre
Super, weiter so
Re: Sarkoid Bauch/ Haflinger 8 Jahre
Update: die kleinen Sarkoide sind alle abgefallen. Die rosa Haut schmiere ich gerade alle 2 Tage 1:5, auf dem 3. Kleinen sitzt eine dicke Kruste. Das große schmiere ich nun seit 4 Wochen täglich 1:1 und ich warte , dass sich eine Kruste bildet.
Ich gebe mein Bestes, damit ich den Schlauch rechtzeitig mit Vaseline einschmieren kann und die Salbe nicht mit dem gesunden Gewebe reagiert… auch dafür wäre die Kruste langsam gut.
Ich gebe mein Bestes, damit ich den Schlauch rechtzeitig mit Vaseline einschmieren kann und die Salbe nicht mit dem gesunden Gewebe reagiert… auch dafür wäre die Kruste langsam gut.
Re: Sarkoid Bauch/ Haflinger 8 Jahre
gut so, immer weiter...
Re: Sarkoid Bauch/ Haflinger 8 Jahre
Hallöchen, hier mal wieder ein Update: ich schmiere immer noch 1:1 auf das große Sarkoid und bei den Kleinen 1:5 alle 2-3 Tage.
Im Anhang habe ich 2 Fotos eingefügt, die das große Sarkoid von der linken und der rechten Seite zeigen. Rot habe ich den Bereich markiert, wo das Sarkoid bzw. die compx manchmal den Schlauch berührt und auch reagiert. Es ist mittlerweile nicht mehr offen. Könnte sich das Sarkoid denn auch dorthin vermehren? Habt Ihr noch Tipps, wie und womit ich eine Heilung noch besser hinbekomme. Ein Blick von mir in die Region reicht schon und er zieht alles ein
ich versuche Bephanten und Vaseline drauf zu bekommen.
Reagiert das große Sarkoid ausreichend nach 5 Wochen dauerschmieren?
Im Anhang habe ich 2 Fotos eingefügt, die das große Sarkoid von der linken und der rechten Seite zeigen. Rot habe ich den Bereich markiert, wo das Sarkoid bzw. die compx manchmal den Schlauch berührt und auch reagiert. Es ist mittlerweile nicht mehr offen. Könnte sich das Sarkoid denn auch dorthin vermehren? Habt Ihr noch Tipps, wie und womit ich eine Heilung noch besser hinbekomme. Ein Blick von mir in die Region reicht schon und er zieht alles ein
Reagiert das große Sarkoid ausreichend nach 5 Wochen dauerschmieren?
Re: Sarkoid Bauch/ Haflinger 8 Jahre
Hallo zusammen, hier mal wieder ein Update. Leider ist die Qualität nicht so gut und das Winterfell gibt der Aufnahme den Rest 
Ich finde wir sind derzeit auf einem super Weg das Akid geht immer weiter zurück und wir schmieren derzeit immer noch eins zu eins und die letzten Knubbel fallen ab. Alle kleineren Sarkoide sind weg.
Ich finde wir sind derzeit auf einem super Weg das Akid geht immer weiter zurück und wir schmieren derzeit immer noch eins zu eins und die letzten Knubbel fallen ab. Alle kleineren Sarkoide sind weg.
Re: Sarkoid Bauch/ Haflinger 8 Jahre
Hallöchen und frohes neues Jahr 
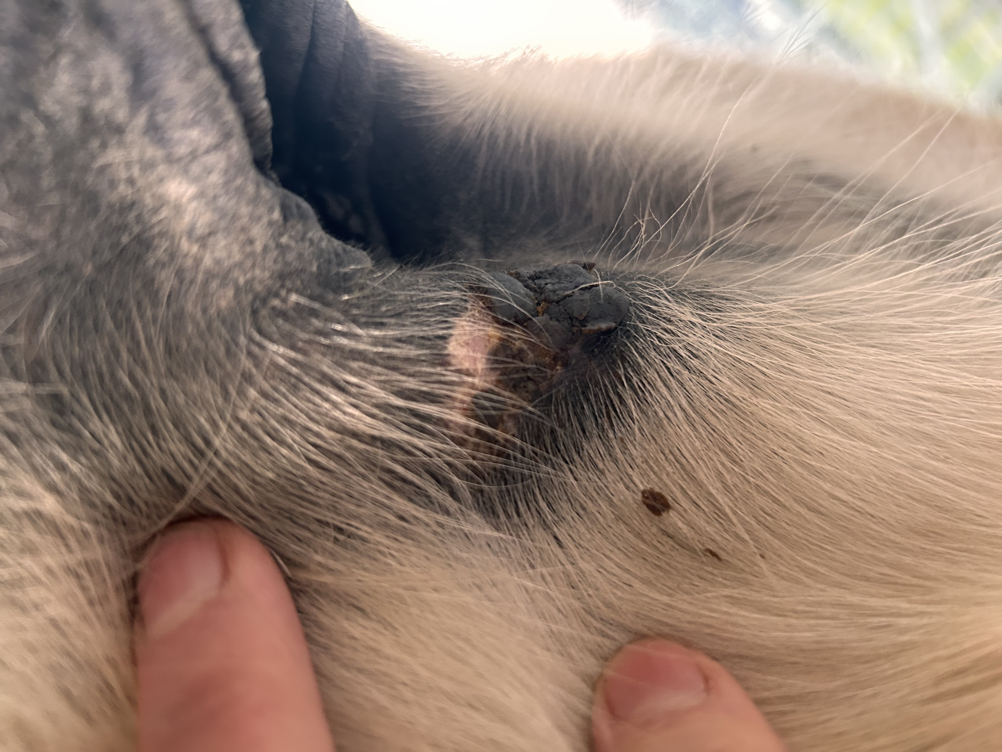
Hier nochmal ein Update von heute. Alle kleinen Sarkoide sind weg und werden 1:5 verdünnt geschmiert.
Das Große haben wir hoffentlich auch bald geschafft. Hier sieht man an den Rändern noch ein paar kleine Knubbel.
Viele Grüße
Hier nochmal ein Update von heute. Alle kleinen Sarkoide sind weg und werden 1:5 verdünnt geschmiert.
Das Große haben wir hoffentlich auch bald geschafft. Hier sieht man an den Rändern noch ein paar kleine Knubbel.
Viele Grüße