(Neues) kugeliges Sarkoid bei dreijährigem WB-Wallach
Forumsregeln
Bereich für Mitglieder die Hilfe bei der Behandlung benötigen und diese von Anfang bis Ende inkl. Bildern für andere User dokumentieren möchten. Gute Qualität, Datumsangabe u. gleiche Perspektive der Bilder beachten.
Da unsere Moderatoren bemüht sind, hier Hilfe zu leisten, erwarten wir auch bei erfolgreicher Behandlung ein kurzes Abschlusspost mit Bild oder bei Beendigung einen kleinen Hinweis um das Tagebuch ins Archiv zu verschieben.
Im Titel bitte Usernamen, Behandlungsart, Tumorart und Tumorstelle angeben. Dies erleichtert die Suche!
Die von uns und anderen Usern gegebenen Tipps ersetzen keinen Tierarzt.
Wir übernehmen keine Haftung für die Folgen von Selbstversuchen, garantieren nicht für die
Richtigkeit der Inhalte dieser Seite und geben keine Heilungsversprechen.
Sprecht bitte immer vorher mit eurem Tierarzt.
Was bei dem einem Pferd hilft, muss bei einem anderen noch lange nicht wirken.
Wir freuen uns bereits auf Deine aktive Mitgliedschaft!
...das Team vom Sarkoidforum
Bereich für Mitglieder die Hilfe bei der Behandlung benötigen und diese von Anfang bis Ende inkl. Bildern für andere User dokumentieren möchten. Gute Qualität, Datumsangabe u. gleiche Perspektive der Bilder beachten.
Da unsere Moderatoren bemüht sind, hier Hilfe zu leisten, erwarten wir auch bei erfolgreicher Behandlung ein kurzes Abschlusspost mit Bild oder bei Beendigung einen kleinen Hinweis um das Tagebuch ins Archiv zu verschieben.
Im Titel bitte Usernamen, Behandlungsart, Tumorart und Tumorstelle angeben. Dies erleichtert die Suche!
Die von uns und anderen Usern gegebenen Tipps ersetzen keinen Tierarzt.
Wir übernehmen keine Haftung für die Folgen von Selbstversuchen, garantieren nicht für die
Richtigkeit der Inhalte dieser Seite und geben keine Heilungsversprechen.
Sprecht bitte immer vorher mit eurem Tierarzt.
Was bei dem einem Pferd hilft, muss bei einem anderen noch lange nicht wirken.
Wir freuen uns bereits auf Deine aktive Mitgliedschaft!
...das Team vom Sarkoidforum
Re: (Neues) kugeliges Sarkoid bei dreijährigem WB-Wallach
Im Prinzip war es bei uns auch so. Wir hatten so ein kugeliges Ding. Den "Golfball". Der platzte irgendwann auf und heraus fiel eine richtige Kugel. Als das Ding abgefallen war konnte ich auch erst nicht schmieren. Ich denke die Stelle ist einfach auf und daher sehr sehr empfindlich. Ein/zwei Tage würde ich da dann auch Ruhe einkehren lassen, dann würde ich aber auch weiter machen wollen. Es war ja relativ schnell an der Stelle gewachsen bei deinem Pferd. Und solange du noch etwas fühlst ist der Spuk sicher noch nicht vorbei. Den Verlauf kann ich mir aber gut vorstellen. Es gab auch schon Tagebücher, da fiel das Ding ab und war weg. Auch das gibt es. Man muss nur Glück haben 
Re: (Neues) kugeliges Sarkoid bei dreijährigem WB-Wallach
Das ein Teil abfällt und darunter dann der zu behandelnde „Stiel“ bleibt kenne ich von den anderen Sarkoiden auch.
Das seltsame hier ist, dass ich ja gerade NICHTS mehr ertasten kann. Und an der Stelle großflächig einfach blind auf Verdacht schmieren mach ich lieber nicht. Ist mir zu riskant, ggf nur gesunde Haut zu reizen.
Wird jetzt täglich nachgefühlt, solange nichts zu ertasten ist, bleibt die Salbendose erstmal zu
Ich berichte weiter!
Das seltsame hier ist, dass ich ja gerade NICHTS mehr ertasten kann. Und an der Stelle großflächig einfach blind auf Verdacht schmieren mach ich lieber nicht. Ist mir zu riskant, ggf nur gesunde Haut zu reizen.
Wird jetzt täglich nachgefühlt, solange nichts zu ertasten ist, bleibt die Salbendose erstmal zu
Ich berichte weiter!
Re: (Neues) kugeliges Sarkoid bei dreijährigem WB-Wallach
Mach mal 
Und wenn du ein Foto zur Hand hast und es bleibt weg schiebe ich dich dann ganz schnell zu den Erfolgen.
Ich finde es klasse und freue mich für dich!
Und wenn du ein Foto zur Hand hast und es bleibt weg schiebe ich dich dann ganz schnell zu den Erfolgen.
Ich finde es klasse und freue mich für dich!
Re: (Neues) kugeliges Sarkoid bei dreijährigem WB-Wallach
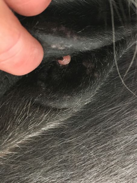
So, wieder ein Update von uns:
Am Dienstag war wieder quasi von jetzt auf sofort "Nachwuchs" zu fühlen und auch zu sehen.
Herr Pferd kann mittlerweile gut unterscheiden, dass keine Salbengefahr für ihn droht, wenn ich mit dem Smartphone in der Hand unter seinen Bauch krieche und hat mich daher in Ruhe fotografieren lassen.
Das nachgewachsene Knubbelchen war erst gut stecknadelkopfgroß.
Heute, nach drei Tagen salben, ist es beim Salbe auftragen direkt wieder abgefallen. Es reagiert offensichtlich extrem gut auf die CompX!
Morgen mache ich einen Tag Ruhephase, danach wird wieder hauchfein gecremt.
So sah es Anfang der Woche aus:
Am Dienstag war wieder quasi von jetzt auf sofort "Nachwuchs" zu fühlen und auch zu sehen.
Herr Pferd kann mittlerweile gut unterscheiden, dass keine Salbengefahr für ihn droht, wenn ich mit dem Smartphone in der Hand unter seinen Bauch krieche und hat mich daher in Ruhe fotografieren lassen.
Das nachgewachsene Knubbelchen war erst gut stecknadelkopfgroß.
Heute, nach drei Tagen salben, ist es beim Salbe auftragen direkt wieder abgefallen. Es reagiert offensichtlich extrem gut auf die CompX!
Morgen mache ich einen Tag Ruhephase, danach wird wieder hauchfein gecremt.
So sah es Anfang der Woche aus:
Re: (Neues) kugeliges Sarkoid bei dreijährigem WB-Wallach
Eine Frage habe ich mal wieder.
Bei meinem Jungpferd sind die Sarkoide bislang alle einheitlich kugelförmig gewesen und "verhielten" sich auch gleich, wuchsen schnell, waren zwischendurch komplett blutig wie auf den Bildern zu sehen ist etc.
Andere Formen habe ich live noch nicht gesehen.
Nun kam mir heute erstmals der Gedanke, die unerklärliche Hautveränderung bei der Stute eines Freundes könnte auch ein Sarkoid sein.
Sie hat das seit gut einem Jahr, die Stelle scheint langsam größer zu werden und vor allem rauher/borkiger.
Leider hampelt das Tier so, dass ich kein scharfes Foto hinbekommen habe, aber eventuell habt Ihr ja auch so schon eine grobe Einschätzung, ob es ein Sarkoid sein könnte (ist oben am Hals, Handbreit hinter dem Genick).
Bei meinem Jungpferd sind die Sarkoide bislang alle einheitlich kugelförmig gewesen und "verhielten" sich auch gleich, wuchsen schnell, waren zwischendurch komplett blutig wie auf den Bildern zu sehen ist etc.
Andere Formen habe ich live noch nicht gesehen.
Nun kam mir heute erstmals der Gedanke, die unerklärliche Hautveränderung bei der Stute eines Freundes könnte auch ein Sarkoid sein.
Sie hat das seit gut einem Jahr, die Stelle scheint langsam größer zu werden und vor allem rauher/borkiger.
Leider hampelt das Tier so, dass ich kein scharfes Foto hinbekommen habe, aber eventuell habt Ihr ja auch so schon eine grobe Einschätzung, ob es ein Sarkoid sein könnte (ist oben am Hals, Handbreit hinter dem Genick).
Re: (Neues) kugeliges Sarkoid bei dreijährigem WB-Wallach
Hier im Forum hat es schon die verschiedensten Arten von Sarkoiden gegeben. Klar könnte es sich vom aussehen her auch um ein Sarkoid handeln. Ich würde hierzu auf jeden Fall mal einen Tierarzt befragen. Zumal es wächst wie du sagst.....Da würde ich auf keinen Fall warten bis es noch größer wird.