Dressman - 14 Jahre, ES am Maul
Forumsregeln
Bereich für Mitglieder die Hilfe bei der Behandlung benötigen und diese von Anfang bis Ende inkl. Bildern für andere User dokumentieren möchten. Gute Qualität, Datumsangabe u. gleiche Perspektive der Bilder beachten.
Da unsere Moderatoren bemüht sind, hier Hilfe zu leisten, erwarten wir auch bei erfolgreicher Behandlung ein kurzes Abschlusspost mit Bild oder bei Beendigung einen kleinen Hinweis um das Tagebuch ins Archiv zu verschieben.
Im Titel bitte Usernamen, Behandlungsart, Tumorart und Tumorstelle angeben. Dies erleichtert die Suche!
Die von uns und anderen Usern gegebenen Tipps ersetzen keinen Tierarzt.
Wir übernehmen keine Haftung für die Folgen von Selbstversuchen, garantieren nicht für die
Richtigkeit der Inhalte dieser Seite und geben keine Heilungsversprechen.
Sprecht bitte immer vorher mit eurem Tierarzt.
Was bei dem einem Pferd hilft, muss bei einem anderen noch lange nicht wirken.
Wir freuen uns bereits auf Deine aktive Mitgliedschaft!
...das Team vom Sarkoidforum
Bereich für Mitglieder die Hilfe bei der Behandlung benötigen und diese von Anfang bis Ende inkl. Bildern für andere User dokumentieren möchten. Gute Qualität, Datumsangabe u. gleiche Perspektive der Bilder beachten.
Da unsere Moderatoren bemüht sind, hier Hilfe zu leisten, erwarten wir auch bei erfolgreicher Behandlung ein kurzes Abschlusspost mit Bild oder bei Beendigung einen kleinen Hinweis um das Tagebuch ins Archiv zu verschieben.
Im Titel bitte Usernamen, Behandlungsart, Tumorart und Tumorstelle angeben. Dies erleichtert die Suche!
Die von uns und anderen Usern gegebenen Tipps ersetzen keinen Tierarzt.
Wir übernehmen keine Haftung für die Folgen von Selbstversuchen, garantieren nicht für die
Richtigkeit der Inhalte dieser Seite und geben keine Heilungsversprechen.
Sprecht bitte immer vorher mit eurem Tierarzt.
Was bei dem einem Pferd hilft, muss bei einem anderen noch lange nicht wirken.
Wir freuen uns bereits auf Deine aktive Mitgliedschaft!
...das Team vom Sarkoidforum
Re: Dressman - 14 Jahre, ES am Maul
Leider kann ich keine Bilder hochladen...tiny pic wird nicht richtig geladen und über Anhänge funktioniert es auch nicht..?
Re: Dressman - 14 Jahre, ES am Maul
Sieht schon richtig gut aus, verbleib so ausser wenn es jetzt dann über 30 Grad warm wird mehr verdünnen
Re: Dressman - 14 Jahre, ES am Maul
Huhu,
wie schaut es bei euch aktuell aus? hast du vielleicht neue Bilder oder sogar ein Abschlussbild. Hier klappt wieder alles. Bilder kannst du über Dateianhänge hochladen, linnks unten neben dem Tab Optionen
wie schaut es bei euch aktuell aus? hast du vielleicht neue Bilder oder sogar ein Abschlussbild. Hier klappt wieder alles. Bilder kannst du über Dateianhänge hochladen, linnks unten neben dem Tab Optionen
.....nur eine langweilige Frau hat einen perfekten Haushalt .....
Gruß Irene/ Eline
__________________________________________________________________________
Die von mir und anderen Usern eingestellten Erfahrungen u. Berichte ersetzen keinen Tierarzt.
Ich übernehme keine Haftung für die Folgen von Selbstversuchen, garantiere nicht für die
Richtigkeit der Inhalte dieser Seite und gebe keine Heilungsversprechen.
Sprecht bitte immer vorher mit eurem Tierarzt.
Was bei dem einem Pferd hilft, muß einem anderen noch lange nicht wirken.
Gruß Irene/ Eline
__________________________________________________________________________
Die von mir und anderen Usern eingestellten Erfahrungen u. Berichte ersetzen keinen Tierarzt.
Ich übernehme keine Haftung für die Folgen von Selbstversuchen, garantiere nicht für die
Richtigkeit der Inhalte dieser Seite und gebe keine Heilungsversprechen.
Sprecht bitte immer vorher mit eurem Tierarzt.
Was bei dem einem Pferd hilft, muß einem anderen noch lange nicht wirken.
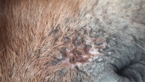
Re: Dressman - 14 Jahre, ES am Maul
Halli hallo,
nach langer Zeit ein Update:
Wir schmieren aktuell immer noch an der Stelle am Maul. Ich hatte im Herbst des letzten Jahres leider prüfungsbedingt wenig Zeit für mein Pferd, so dass ich das Schmieren leider ein wenig vernachlässigt habe. In der Zeit ist Fell über die Stelle gewachsen, aber das
Sarkoid war eigentlich noch nicht ganz raus. Ab Dezember hatte ich dann wieder mehr Zeit und hab fast täglich geschmiert, es sei denn, wir hatten dicke Krusten. Das Fell hat sich dementsprechend auch wieder verabschiedet und die Haut war zwischendrin wieder offen.
Gerade jetzt mit zunehmenden Temperaturen reagiert das sarkoid sehr stark auf das compx. Ich schmiere eigentlich immer in Verdünnung 3:1. Zwischendrin scheinen richtige Krater zu entstehen, aber mein Pferd ist sehr tapfer und zeigt da wenig bis gar keine Empfindlichkeit. Deswegen habe ich ihn bislang auch immer weiterhin mit einem Gebiss geritten. Um die Stelle vor Abrieb zu schonen, nutze ich allerdings diese Gebissringe aus Gel. Die sind schön weich und klären sich nicht drehen und damit auch weniger scheuern.
Die zweite Stelle am Bein reagiert auch ziemlich blutig. Es war zu Anfang eine ganz unscheinbare Stelle, die aussah, als ob mein Pferd trockene Haus und Schuppen hat. Ein Plattensarkoid?
Mittlerweile habe ich Mitte Februar ein drittes sarkoid gefunden. Unten an der Brust. Es sah dem zweiten sarkoid sehr ähnlich, war aber bedeutend kleiner. Ich war mir nicht einmal sicher, ob es wirklich ein sarkoid ist und hab nur vorsorglich geschmiert. (Das mache ich bei Stellen die ich nicht eindeutig zuordnen kann, mittlerweile immer)... und es hat reagiert.
Ich bringe es mit den halbjährlichen Impfungen in einem Zusammenhang. Jedes mal finde ich einige Zeit nach dem Impfungen ein weiteres sarkoid. Für mich nur logisch, da in dieser Zeit das Immunsystem ja noch mehr Arbeit zu leisten hat und wahrscheinlich geschwächt ist.
Mein Plan ist zunächst weiter zu schmieren. Sobald ich aus dem Urlaub zurück bin, mache ich eine komplette Gladiator plus Kur inkl. dieser Zusatzkur für den Säure- Basen Haushalt. Danach möchte ich das Gladiator plus in der Erhaltungsfütterung weiter verabreichen.
Ich erhoffe mir davon, dem Körper meines Pferdes auch innerlich helfen zu können und im Sommer nach der nächsten Impfung kein viertes sarkoid zu finden.
Ganz liebe Grüße
nach langer Zeit ein Update:
Wir schmieren aktuell immer noch an der Stelle am Maul. Ich hatte im Herbst des letzten Jahres leider prüfungsbedingt wenig Zeit für mein Pferd, so dass ich das Schmieren leider ein wenig vernachlässigt habe. In der Zeit ist Fell über die Stelle gewachsen, aber das
Sarkoid war eigentlich noch nicht ganz raus. Ab Dezember hatte ich dann wieder mehr Zeit und hab fast täglich geschmiert, es sei denn, wir hatten dicke Krusten. Das Fell hat sich dementsprechend auch wieder verabschiedet und die Haut war zwischendrin wieder offen.
Gerade jetzt mit zunehmenden Temperaturen reagiert das sarkoid sehr stark auf das compx. Ich schmiere eigentlich immer in Verdünnung 3:1. Zwischendrin scheinen richtige Krater zu entstehen, aber mein Pferd ist sehr tapfer und zeigt da wenig bis gar keine Empfindlichkeit. Deswegen habe ich ihn bislang auch immer weiterhin mit einem Gebiss geritten. Um die Stelle vor Abrieb zu schonen, nutze ich allerdings diese Gebissringe aus Gel. Die sind schön weich und klären sich nicht drehen und damit auch weniger scheuern.
Die zweite Stelle am Bein reagiert auch ziemlich blutig. Es war zu Anfang eine ganz unscheinbare Stelle, die aussah, als ob mein Pferd trockene Haus und Schuppen hat. Ein Plattensarkoid?
Mittlerweile habe ich Mitte Februar ein drittes sarkoid gefunden. Unten an der Brust. Es sah dem zweiten sarkoid sehr ähnlich, war aber bedeutend kleiner. Ich war mir nicht einmal sicher, ob es wirklich ein sarkoid ist und hab nur vorsorglich geschmiert. (Das mache ich bei Stellen die ich nicht eindeutig zuordnen kann, mittlerweile immer)... und es hat reagiert.
Ich bringe es mit den halbjährlichen Impfungen in einem Zusammenhang. Jedes mal finde ich einige Zeit nach dem Impfungen ein weiteres sarkoid. Für mich nur logisch, da in dieser Zeit das Immunsystem ja noch mehr Arbeit zu leisten hat und wahrscheinlich geschwächt ist.
Mein Plan ist zunächst weiter zu schmieren. Sobald ich aus dem Urlaub zurück bin, mache ich eine komplette Gladiator plus Kur inkl. dieser Zusatzkur für den Säure- Basen Haushalt. Danach möchte ich das Gladiator plus in der Erhaltungsfütterung weiter verabreichen.
Ich erhoffe mir davon, dem Körper meines Pferdes auch innerlich helfen zu können und im Sommer nach der nächsten Impfung kein viertes sarkoid zu finden.
Ganz liebe Grüße