Lopi - ES an Nase und Bauchnaht

Erfolgreiche Behandlungstagebücher werden hierher verschoben. Schön wäre es, wenn ihr diese ab und an mit einem Erfolgsbild aktualisieren würdet um zu berichten, ob das Pferd sarkoidfrei geblieben ist.
Forumsregeln
Erfolgreiche Behandlungstagebücher werden hierher verschoben. Schön wäre es, wenn ihr diese ab und an mit einem Erfolgsbild aktualisieren würdet um zu berichten, ob das Pferd sarkoidfrei geblieben ist.

Bitte denkt immer daran, dass es Ziel des Forums ist, möglichst viele positive Behandlungsberichte zu sammeln, um anderen Usern Mut zusprechen.

Wir möchten uns hier für die aktive Teilnahme am Forum bedanken!

Bild...das Team vom Sarkoidforum
Fjordfan
Beiträge: 138
Registriert: Mittwoch 26. Juli 2017, 22:29

Re: Lopi - ES an Nase und Bauchnaht

Beitrag von Fjordfan »

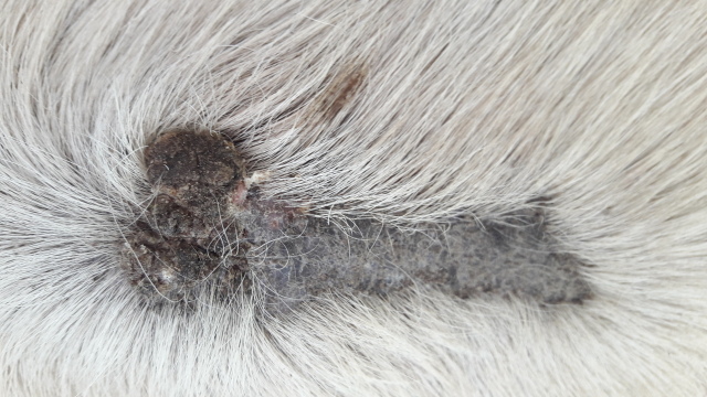
Bei dem Sarkoid an der Bauchnaht fallen immer mal wieder ein paar Schuppen, Ecken und Kanten in kleinem Maß ab. An der Nase ist es sehr... krustig ist nicht das richtige Wort, ich bleibe mal bei schuppig ;) Die alte Haut fällt beim eincremen - und ich creme ganz sanft - ganz bröselig leicht mit ab. Noch habe ich 1:1, habe mir 1:2 schon angemischt. Pony lässt es sich gut gefallen. Ich weiß nicht ob ich mit dem Verhältnis schon runter gehen soll. Reaktion ist ja da aber auch nichts das ich denke "oh Hilfe, das war zu heftig, lieber weniger"
Fjordfan
Beiträge: 138
Registriert: Mittwoch 26. Juli 2017, 22:29

Re: Lopi - ES an Nase und Bauchnaht

Beitrag von Fjordfan »

Kurze Meldung... Ich schmiere jeden Tag immer noch 1:1. Dabei werde ich wohl auch bleiben, hab ich mir jetzt so überlegt ;)

Aktuelle Fotos von heute vor dem Schmieren:
1.jpg
2.jpg
Kommt mir im Moment, nachdem wir ja so flott gestartet sind, etwas ruhiger vor, obwohl es auch sehr heiß war in den letzten zwei Tagen.

Beim Waschen habe ich gestern einen neuen Knubbel entdeckt. Ich warte mal ein paar Tage ab, ob es vllt. auch ein Stich ist, aber ich befürchte fast, das dem nicht so ist... Würdet ihr den gleich mit behandeln? Ist derzeit nicht ganz so groß wie ein 1 Centstück, aber komplett verschlossen unter der Haut. Wenn es denn eins ist. Ich habe die Stelle für das Foto nass gemacht, da man es sonst gar nicht gesehen hätte. Also da, wo das Fell ein bisschen absteht, ist es.
3.jpg
rj-hü
Beiträge: 2157
Registriert: Samstag 29. April 2017, 23:36

Re: Lopi - ES an Nase und Bauchnaht

Beitrag von rj-hü »

Dann würde ich persönlich noch ein paar Tage warten.

Man sagt aber ja, dass die CompX mit gesunder Haut nicht reagiert, von daher könntest du wohl auch probeschmieren und sehen, ob was reagiert, aber ich hatte "unendlich viele verdächtige Stellen", von denen sich bis auf zwei (und bei einer davon bin ich bis jetzt noch nicht sicher) keine bewahrheitet hat. Es waren alles Stiche o.ä.. *toitoitoi*
~~~~~~~~~~~~
Viele Grüße, RJ
Fjordfan
Beiträge: 138
Registriert: Mittwoch 26. Juli 2017, 22:29

Re: Lopi - ES an Nase und Bauchnaht

Beitrag von Fjordfan »

Danke für den Tipp ri-hü! Ich werde ein paar Tage warten und dann mal schauen ob ich Probe schmiere...

Ich muss übrigens zurück nehmen, dass es bei uns ruhiger geworden ist. Als ich heute zum Stall kam, war das Sarkoid an der Nase etwas rissig und da drunter blutig, bisschen mehr als gestern und für mich kein Foto wert. Hab geschmiert, bin geritten und nach dem reiten sah es so aus
1.jpg
Wahnsinn... damit habe ich nicht gerechnet. Ich wollte jetzt nicht innerhalb von zwei Stunden zweimal schmieren, aber alles was ich geschmiert habe ist mehr oder weniger abgefallen. Hätte ich die neue Haut einschmieren können oder wäre das zu kurz hintereinander gewesen? Nur das ich es fürs nächste mal weiß. Hab mich eben nicht getraut :)
Mano
Beiträge: 2927
Registriert: Dienstag 15. Januar 2008, 19:12

Re: Lopi - ES an Nase und Bauchnaht

Beitrag von Mano »

Wenn alles weg war hättest ruhig nachschmieren können ohne Probleme zu bekommen
Fjordfan
Beiträge: 138
Registriert: Mittwoch 26. Juli 2017, 22:29

Re: Lopi - ES an Nase und Bauchnaht

Beitrag von Fjordfan »

Danke Mano :)

Anbei ein paar aktuelle Bilder
1.jpg
2.jpg
Fjordfan
Beiträge: 138
Registriert: Mittwoch 26. Juli 2017, 22:29

Re: Lopi - ES an Nase und Bauchnaht

Beitrag von Fjordfan »

Ich hab auch mal wieder neue Bilder gemacht. Wir schmieren nach wie vor konsequent jeden Tag 1:1. Die letzte Dose war nicht gut gemischt, sodass es mal mehr mal weniger stark verdünnt war. Im Moment habe ich sogar ein paar Tage pur geschmiert, weil sich nichts mehr getan hat... mal abwarten
1.jpg
2.jpg
Mano
Beiträge: 2927
Registriert: Dienstag 15. Januar 2008, 19:12

Re: Lopi - ES an Nase und Bauchnaht

Beitrag von Mano »

Topp
Fjordfan
Beiträge: 138
Registriert: Mittwoch 26. Juli 2017, 22:29

Re: Lopi - ES an Nase und Bauchnaht

Beitrag von Fjordfan »

Danke Mano :) die Bestätigung habe ich gebraucht. War mir schon ein bisschen unsicher...
Vllt kann ein Mod das Thema noch zu Tagebücher verschieben? Dann geht es hier nicht so unter
Fjordfan
Beiträge: 138
Registriert: Mittwoch 26. Juli 2017, 22:29

Re: Lopi - ES an Nase und Bauchnaht

Beitrag von Fjordfan »

Mal wieder ein kurzes Update. Diesmal ohne Bilder, irgendwie geht das gerade nicht.

Ich hatte ja ein paar Tage pur geschmiert. Auf dem sarkoid an der Bauchnaht hat sich eine richtig schöne Kruste gebildet und mittlerweile ist das Sarkoid nur noch halb so dick, viel flacher geworden!! Da ist ordentlich was abgefallen :applaus: unter der Haut kann ich auch nicht mehr so viel "umgreifen".bin jetzt wieder bei 1:1

Bei dem Sarkoid an der Nase bin ich auf 1:2 runter gegangen, weil es im Moment recht wund ist, viel sifft und teils auch geblutet hat. Pony fand es auch nicht mehr sooo witzig, deswegen habe ich die verdünnung erhöht. Vllt gehe ich noch weiter runter, mal sehen. Insgesamt habe ich nicht den Eindruck dass es besonders kleiner geworden ist. Es wirkt eher so ein bisschen als hätte sich die Salbe in die Tiefe "gefressen", also mehr so nach innen, vllt ein bisschen zusammen gezogen.
Mano
Beiträge: 2927
Registriert: Dienstag 15. Januar 2008, 19:12

Re: Lopi - ES an Nase und Bauchnaht

Beitrag von Mano »

Jetzt kommt leider die schwierige Jahreszeit, da musst immer ein wenig abschätzen wie viel du verdünnen musst/kannst das die Salbe doch noch wirkt
Antworten

Zurück zu „Erfolgsstories die Mut machen“