ES Schlauchtasche,9-jähriger PRE, CompX
Forumsregeln
Erfolgreiche Behandlungstagebücher werden hierher verschoben. Schön wäre es, wenn ihr diese ab und an mit einem Erfolgsbild aktualisieren würdet um zu berichten, ob das Pferd sarkoidfrei geblieben ist.
Bitte denkt immer daran, dass es Ziel des Forums ist, möglichst viele positive Behandlungsberichte zu sammeln, um anderen Usern Mut zusprechen.
Wir möchten uns hier für die aktive Teilnahme am Forum bedanken!
...das Team vom Sarkoidforum
Erfolgreiche Behandlungstagebücher werden hierher verschoben. Schön wäre es, wenn ihr diese ab und an mit einem Erfolgsbild aktualisieren würdet um zu berichten, ob das Pferd sarkoidfrei geblieben ist.
Bitte denkt immer daran, dass es Ziel des Forums ist, möglichst viele positive Behandlungsberichte zu sammeln, um anderen Usern Mut zusprechen.
Wir möchten uns hier für die aktive Teilnahme am Forum bedanken!
...das Team vom Sarkoidforum
-
Tinka_Grosse
- Beiträge: 85
- Registriert: Montag 9. September 2024, 16:11
Tag 53- Tag 62, Samstag 09.11.
Es gab immer mal wieder ein oder zwei Tage Pause.
Ansonsten durchgängig geschmiert.
Oberschenkel mit 2:1.
Schlauchtasche mit 1:3.
Heute habe ich nicht geschmiert, aber Bilder gemacht.
Dem Oberschenkel wollte ich etwas Ruhe geben und der Kruste Zeit.
Bei der Schlauchtasche wollte ich wissen, wie es morgen ohne schmieren aussieht. Aber es ist noch nicht ganz glatt. Denke also wir müssen noch mal ran.
Schlauchtasche Oberschenkel
Ansonsten durchgängig geschmiert.
Oberschenkel mit 2:1.
Schlauchtasche mit 1:3.
Heute habe ich nicht geschmiert, aber Bilder gemacht.
Dem Oberschenkel wollte ich etwas Ruhe geben und der Kruste Zeit.
Bei der Schlauchtasche wollte ich wissen, wie es morgen ohne schmieren aussieht. Aber es ist noch nicht ganz glatt. Denke also wir müssen noch mal ran.
Schlauchtasche Oberschenkel
-
Tinka_Grosse
- Beiträge: 85
- Registriert: Montag 9. September 2024, 16:11
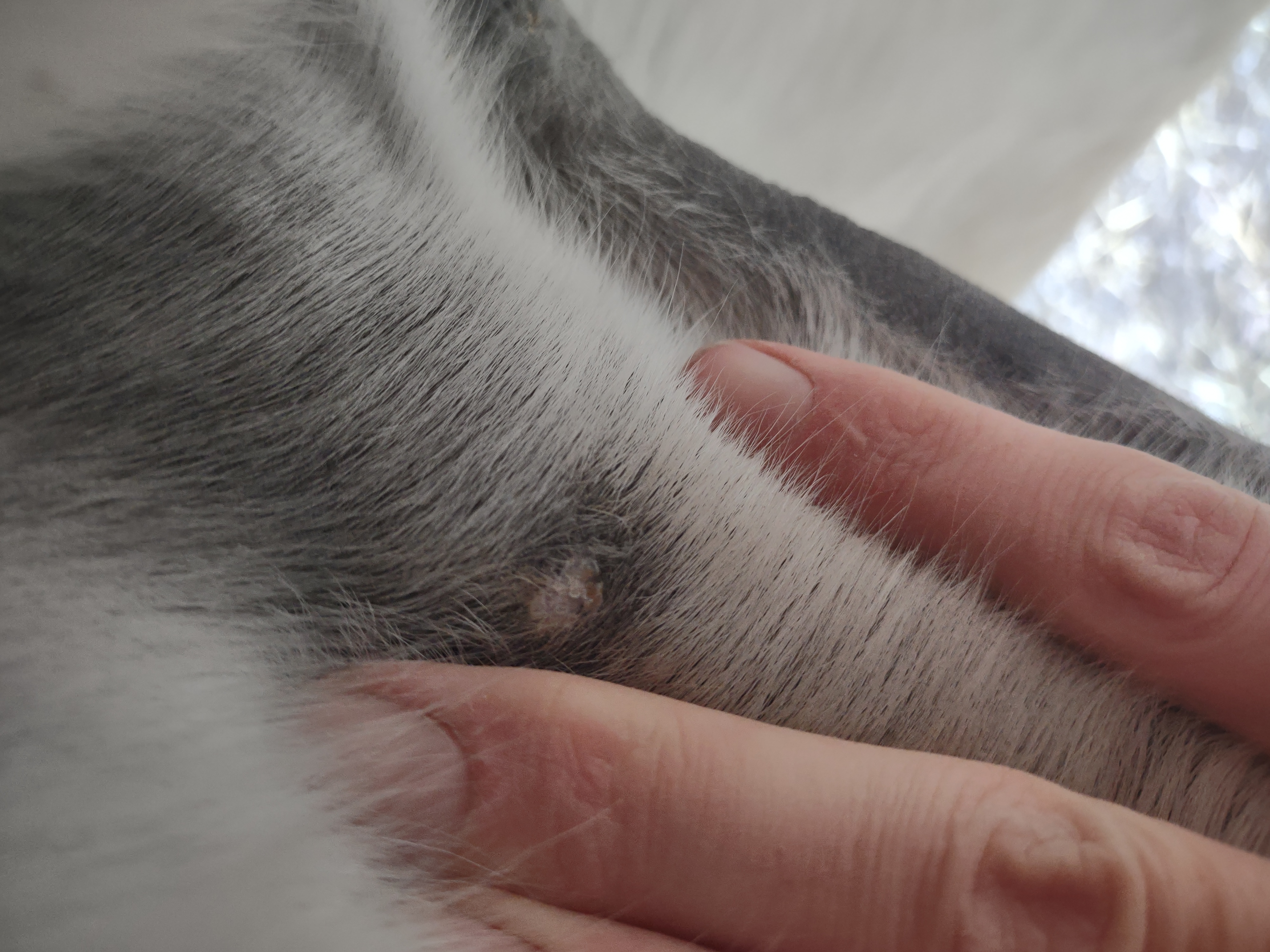
Tag 63, Sonntag 10.11.
Schlauchtasche
In der Mitte ist noch ein Hubbel und roter Punkt.
1:3 geschmiert Oberschenkel
Wirkt mMn schlaffer und kleiner.
Da er gestern etwas gehandelt hat beim Gucken, heute nur 1:2 geschmiert. (Gestern war Pause, davor unter 2:1 gute Kruste die jetzt ab war.)
In der Mitte ist noch ein Hubbel und roter Punkt.
1:3 geschmiert Oberschenkel
Wirkt mMn schlaffer und kleiner.
Da er gestern etwas gehandelt hat beim Gucken, heute nur 1:2 geschmiert. (Gestern war Pause, davor unter 2:1 gute Kruste die jetzt ab war.)
-
Tinka_Grosse
- Beiträge: 85
- Registriert: Montag 9. September 2024, 16:11
Tag 64-66, Mittwoch 13.11.
Oberschenkel
Montag und Mittwoch mit 1:2, weil er ein bisschen zappelig war.
Dienstag Pause.
Heute habe ich deacht man sieht dass das Ding kleiner wird. Es wird gar nicht so viel nach außen abgetragen, aber es fällt in sich zusammen.
Schlauchtasche
Montag und Mittwoch nur mit dem Salbenrest kurz getupft. Es hat tatsächlich noch mal geleistet ganz in der Mitte, eines knubbelig war. Leider war das Foto heute schwer mit Fell und Licht.
LG
Tinka
Montag und Mittwoch mit 1:2, weil er ein bisschen zappelig war.
Dienstag Pause.
Heute habe ich deacht man sieht dass das Ding kleiner wird. Es wird gar nicht so viel nach außen abgetragen, aber es fällt in sich zusammen.
Schlauchtasche
Montag und Mittwoch nur mit dem Salbenrest kurz getupft. Es hat tatsächlich noch mal geleistet ganz in der Mitte, eines knubbelig war. Leider war das Foto heute schwer mit Fell und Licht.
LG
Tinka
Re: ES Schlauchtasche,9-jähriger PRE, CompX
Hallo Tinka,
immer weiter machen, auch wenn wir nichts sagen.
In sich zusammenfallen ist auch erstmal gut.
immer weiter machen, auch wenn wir nichts sagen.
In sich zusammenfallen ist auch erstmal gut.
~~~~~~~~~~~~
Viele Grüße, RJ
Viele Grüße, RJ
-
Tinka_Grosse
- Beiträge: 85
- Registriert: Montag 9. September 2024, 16:11
Tag 67-69
Oberschenkel
Am 15. nur fotografiert nicht geschmiert. Sonst 2:1.
Heute ist unten ein großes Stück Kruste ab gewesen und es war ein richtiges Loch
Schlauchtasche
Heute hatte ich den Eindruck es kommt schon schwarze Haut zurück in rosa Kreis. Daher lasse ich es ein paar Tage in Ruhe und gucke.
Am 15. nur fotografiert nicht geschmiert. Sonst 2:1.
Heute ist unten ein großes Stück Kruste ab gewesen und es war ein richtiges Loch
Schlauchtasche
Heute hatte ich den Eindruck es kommt schon schwarze Haut zurück in rosa Kreis. Daher lasse ich es ein paar Tage in Ruhe und gucke.
-
Tinka_Grosse
- Beiträge: 85
- Registriert: Montag 9. September 2024, 16:11
-
Tinka_Grosse
- Beiträge: 85
- Registriert: Montag 9. September 2024, 16:11
Tag 70 & 71, Montag 18.11.
Sonntag Pause
Oberechenkel Mit 2:1 geschmiert
Schlauch Salbenrest draufgetupft. Mal sehen, ob da noch was reagiert.
Sehe einen sehr kleinen braunen Punkt in der Mitte.
Oberechenkel Mit 2:1 geschmiert
Schlauch Salbenrest draufgetupft. Mal sehen, ob da noch was reagiert.
Sehe einen sehr kleinen braunen Punkt in der Mitte.
Re: ES Schlauchtasche,9-jähriger PRE, CompX
Versuch mal, ob du ein schärferes Foto vom Schlauch hinbekommst, bitte. 
~~~~~~~~~~~~
Viele Grüße, RJ
Viele Grüße, RJ
-
Tinka_Grosse
- Beiträge: 85
- Registriert: Montag 9. September 2024, 16:11
Re: ES Schlauchtasche,9-jähriger PRE, CompX
Spätestens am Wochenende mit Tageslicht 
-
Tinka_Grosse
- Beiträge: 85
- Registriert: Montag 9. September 2024, 16:11
Tag 72 & 73, Mittwoch 20.11.
Dienstag Pause.
Nur Foto vom Oberschenkel. Mit 2:1 geschmiert.
Schlauchtasche sieht unauffällig aus. Es gab keine Reaktion auf die Salbe.
Nur Foto vom Oberschenkel. Mit 2:1 geschmiert.
Schlauchtasche sieht unauffällig aus. Es gab keine Reaktion auf die Salbe.
-
Tinka_Grosse
- Beiträge: 85
- Registriert: Montag 9. September 2024, 16:11
Tag 74 & 75, Freitag 22.11.
Donnerstag Pause.
Oberschenkel
Es hat sehr an "Inhalt" verloren. Habe heute 1:2 geschmiert, weil teilweise noch dicke Krusten drauf waren. Ich Versuche morgen mal ein gutes Foto zu machen wo man den weniger Inhalt sieht. Schlauchtasche
Foto leider auch nicht besonders scharf. Heute nichts gemacht. Es sieht gut aus. Auf dem Foto sehe ich unten zwei braune Knubbel, die habe ichive nicht gesehen. Checke es morgen.
Oberschenkel
Es hat sehr an "Inhalt" verloren. Habe heute 1:2 geschmiert, weil teilweise noch dicke Krusten drauf waren. Ich Versuche morgen mal ein gutes Foto zu machen wo man den weniger Inhalt sieht. Schlauchtasche
Foto leider auch nicht besonders scharf. Heute nichts gemacht. Es sieht gut aus. Auf dem Foto sehe ich unten zwei braune Knubbel, die habe ichive nicht gesehen. Checke es morgen.