2-jährige Stute mit Sarkoiden in Gurtlage, Achsel u.a.Brust - Aciclovir jetzt CompX

Erfolgreiche Behandlungstagebücher werden hierher verschoben. Schön wäre es, wenn ihr diese ab und an mit einem Erfolgsbild aktualisieren würdet um zu berichten, ob das Pferd sarkoidfrei geblieben ist.
Forumsregeln
Erfolgreiche Behandlungstagebücher werden hierher verschoben. Schön wäre es, wenn ihr diese ab und an mit einem Erfolgsbild aktualisieren würdet um zu berichten, ob das Pferd sarkoidfrei geblieben ist.

Bitte denkt immer daran, dass es Ziel des Forums ist, möglichst viele positive Behandlungsberichte zu sammeln, um anderen Usern Mut zusprechen.

Wir möchten uns hier für die aktive Teilnahme am Forum bedanken!

Bild...das Team vom Sarkoidforum
Andrea
Beiträge: 2798
Registriert: Sonntag 28. April 2019, 06:58

2-jährige Stute mit Sarkoiden in Gurtlage, Achsel u.a.Brust - Aciclovir jetzt CompX

Beitrag von Andrea »

Hallo RJ, genau die Stellen meine ich auch. Drum schmiere ich derzeit den gesamten blau umkringelten Bereich. Gelb markiert ist nur die Lage der ursprünglichen Sarkoide. Aber wie ich zwischendurch schon geschrieben habe: ich gehe nicht davon aus, dass das nicht zwei voneinander unabhängige Sarkoide waren, sondern ein großes Sarkoidgeflecht. Drum schmiere ich brav weiter und aktuell so großflächig wie nie, um auch wirklich sicher alles zu erwischen. Aktuelle Fotos kommen gleich.
Zuletzt geändert von Andrea am Montag 12. August 2019, 21:16, insgesamt 1-mal geändert.
Andrea
Beiträge: 2798
Registriert: Sonntag 28. April 2019, 06:58

2-jährige Stute mit Sarkoiden in Gurtlage, Achsel u.a.Brust - Aciclovir jetzt CompX

Beitrag von Andrea »

Achsel:
20190811_113517.jpg
Gurtlage:
20190810_085028.jpg
Brustnaht:
20190811_183230.jpg
3er-Pack:
20190811_183218.jpg
(Diesmal alles einzeln, damit Ihr in Originalgröße reinzoomen könnt).
Andrea
Beiträge: 2798
Registriert: Sonntag 28. April 2019, 06:58

2-jährige Stute mit Sarkoiden in Gurtlage, Achsel u.a.Brust - Aciclovir jetzt CompX

Beitrag von Andrea »

... die "Pickelchen" an der Achsel sind optisch erst mal weg, dafür ist jetzt ganz weit weg nochmal so ne "komische Stelle". Ich krieg echt noch die Motten mit dem Zeug, bin aber mindestens ebenso stur wie die Sarkoide und habe fest vor, den Sieg davonzutragen.
rj-hü
Beiträge: 2157
Registriert: Samstag 29. April 2017, 23:36

Re: 2-jährige Stute mit Sarkoiden in Gurtlage, Achsel u.a.Brust - Aciclovir jetzt CompX

Beitrag von rj-hü »

Hier, oder?
20190811_113517.jpg
20190811_113517.jpg (35.92 KiB) 3680 mal betrachtet
Aber die Achsel sieht doch wirklich schon super aus!
Ich freue mich mit dir. Und deine Einstellung ist genau richtig!
~~~~~~~~~~~~
Viele Grüße, RJ
Andrea
Beiträge: 2798
Registriert: Sonntag 28. April 2019, 06:58

2-jährige Stute mit Sarkoiden in Gurtlage, Achsel u.a.Brust - Aciclovir jetzt CompX

Beitrag von Andrea »

Ja, ganz genau das meine ich. Eindrücke von heute - die fragliche Stelle ist unterhalb des Fragezeichen.
20190813_210358.jpg
20190813_210458.jpg
Finde, es macht sich alles ganz gut. Richtige Richtung. Wenn ich ein paar Seiten zurückblättere, dann haben wir schon einiges geschafft. Vor genau einem Monat sah alles doch deutlich wilder aus.
Danke, RJ, dass Du so fleißig mitliest. Wie sieht es bei Euch aus?
Andrea
Beiträge: 2798
Registriert: Sonntag 28. April 2019, 06:58

2-jährige Stute mit Sarkoiden in Gurtlage, Achsel u.a.Brust - Aciclovir jetzt CompX

Beitrag von Andrea »

Stand heute: ich glaube, die Pickelchen auf zwei Uhr sind falscher Alarm. Oder etwas, was sich zumindest nicht groß wehrt.
20190814_211106.jpg
Brust heute und im direkten Vergleich zu vor einem Monat. :D
20190814_211241.jpg
2019081421433900.jpg
Andrea
Beiträge: 2798
Registriert: Sonntag 28. April 2019, 06:58

2-jährige Stute mit Sarkoiden in Gurtlage, Achsel u.a.Brust - Aciclovir jetzt CompX

Beitrag von Andrea »

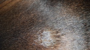
So, jetzt muss ich doch mal in die Runde fragen: die Sarkoide in Achsel und Gurtlage sehen täglich besser aus, aber unter dem Achselsarkoid und neu (?) auch hinter der Gurtlage sind so helle Stellen (grün eingekästelt). Hatte so was schon mal jemand? An der Achsel ist mir das schon länger aufgefallen, an der Gurtlage so richtig eigentlich erst heute. Was denkt Ihr, was das ist? Kennt das jemand?
20190816_211651.jpg
Vielleicht ist es ja ganz harmlos und eine Pigmentstörung, die man halt jetzt sieht, weil das Fell wegen der Schmiererei dünner ist. Keine Ahnung, ist mir nur aufgefallen. Was denkt Ihr?
rj-hü
Beiträge: 2157
Registriert: Samstag 29. April 2017, 23:36

Re: 2-jährige Stute mit Sarkoiden in Gurtlage, Achsel u.a.Brust - Aciclovir jetzt CompX

Beitrag von rj-hü »

Keine Ahnung. Wenn es glatt ist, dann würde ich erstmal von was Harmlosen ausgehen.
~~~~~~~~~~~~
Viele Grüße, RJ
Andrea
Beiträge: 2798
Registriert: Sonntag 28. April 2019, 06:58

2-jährige Stute mit Sarkoiden in Gurtlage, Achsel u.a.Brust - Aciclovir jetzt CompX

Beitrag von Andrea »

Hallo RJ, ja, ist glatt und auch behaart.
Der Rest nervt mich im Moment, überall wieder Krusten. Dabei hatte es schon so gut ausgesehen. In der Gurtlage krustet es jetzt an anderer Stelle als da, wo das ursprüngliche Sarkoid war. Ein Spaß, ich sag's Euch! :roll: Aber wem erzähle ich das?!
LG, Andrea
20190822_133155.jpg
20190822_133111.jpg
Andrea
Beiträge: 2798
Registriert: Sonntag 28. April 2019, 06:58

2-jährige Stute mit Sarkoiden in Gurtlage, Achsel u.a.Brust - Aciclovir jetzt CompX

Beitrag von Andrea »

So, die Krusten haben sich gestern mal wieder gelöst (die an der Brustnaht auch nach dem Schmieren, aber da war das Foto schon gemacht). Ich bin verhalten optimistisch. Überall sprießen langsam Haare (auch im 3er-Pack l.u.), aber ich schmiere weiter (verdünnt und nur noch 2x pro Woche bzw. nach Gefühl) und beobachte argwöhnisch. Besonders freut mich die Achsel, denn gerade bei dem Riesending (siehe Foto vor 6 Wochen zum Größenvergleich) scheint es größtenteils gegessen zu sein (der kleine Punkt oben drüber ist weg und auch die ferne 14-Uhr-Stelle ist nichts Neues). Beim Doppelpack ist nur noch eins erkennbar, das "mittendrin" und "kleiner Scheißer" sind schon länger nicht mehr auffindbar, sprich: Fell drüber, Haut weich, keine Rückstände.
20190829_063129.jpg
20190829_063350.jpg
20190828_200958.jpg
trinchen
Beiträge: 55
Registriert: Montag 9. April 2018, 13:22

Re: 2-jährige Stute mit Sarkoiden in Gurtlage, Achsel u.a.Brust - Aciclovir jetzt CompX

Beitrag von trinchen »

Hallo Andrea,
deine Baustellen entwickeln sich doch super. Schön rosa Haut nach dem Krustenabfall. Nur an der Brustnaht scheint es noch etwas tiefer zu sitzen. Dort habe ich ja auch meine Grossbaustelle....

Weiter so, ich finde es sieht schon richtig gut aus
Antworten

Zurück zu „Erfolgsstories die Mut machen“