(Neues) kugeliges Sarkoid bei dreijährigem WB-Wallach

Bereich für Mitglieder die Hilfe bei der Behandlung benötigen und diese von Anfang bis Ende inkl. Bildern für andere User dokumentieren möchten. Gute Qualität, Datumsangabe u. gleiche Perspektive der Bilder beachten.
Da unsere Moderatoren bemüht sind, hier Hilfe zu leisten, erwarten wir auch bei erfolgreicher Behandlung ein kurzes Abschlusspost mit Bild oder bei Beendigung einen kleinen Hinweis um das Tagebuch ins Archiv zu verschieben.
Im Titel bitte Usernamen, Behandlungsart, Tumorart und Tumorstelle angeben. Dies erleichtert die Suche!
Forumsregeln
Bereich für Mitglieder die Hilfe bei der Behandlung benötigen und diese von Anfang bis Ende inkl. Bildern für andere User dokumentieren möchten. Gute Qualität, Datumsangabe u. gleiche Perspektive der Bilder beachten.
Da unsere Moderatoren bemüht sind, hier Hilfe zu leisten, erwarten wir auch bei erfolgreicher Behandlung ein kurzes Abschlusspost mit Bild oder bei Beendigung einen kleinen Hinweis um das Tagebuch ins Archiv zu verschieben.
Im Titel bitte Usernamen, Behandlungsart, Tumorart und Tumorstelle angeben. Dies erleichtert die Suche!
Die von uns und anderen Usern gegebenen Tipps ersetzen keinen Tierarzt.
Wir übernehmen keine Haftung für die Folgen von Selbstversuchen, garantieren nicht für die
Richtigkeit der Inhalte dieser Seite und geben keine Heilungsversprechen.
Sprecht bitte immer vorher mit eurem Tierarzt.
Was bei dem einem Pferd hilft, muss bei einem anderen noch lange nicht wirken.

Wir freuen uns bereits auf Deine aktive Mitgliedschaft!

Bild...das Team vom Sarkoidforum
Mary-Lou
Beiträge: 13
Registriert: Sonntag 24. März 2019, 11:50

(Neues) kugeliges Sarkoid bei dreijährigem WB-Wallach

Beitrag von Mary-Lou »

Hallo zusammen,

den Grund warum ich hier bin habe ich schon in der Pferdevorstellung kurz geschildert:
Mein dreijähriges Schimmeltierchen hat seit er zwei Jahre alt ist immer wieder Sarkoide, ein großes wurde per OP entfernt und im Labor untersucht, die anderen konnten bisher mit CompX erfolgreich behandelt werden.

Nachdem er Ende Januar in der Klinik kastriert wurde, habe ich nun gestern ein neues, kugeliges Sarkoid am Hodensack entdeckt, genau da wo die Kastrationswunde war. Es muss innerhalb von drei Wochen entstanden und auf die Größe einer dicken Kirsche gewachsen sein, vorher hab ich die Stelle immer noch kontrolliert (wg. Kastration).

Ich hab echt Bedenken, ob er sich dort einschmieren lässt. Steht noch in der Aufzucht, 24 h draußen, ich hab keine Möglichkeit ihn zum Behandeln eben reinzuholen. Muss also erstmal mit einer starken Verdünnung anfangen zu schmieren, sobald es brennt wird es vorbei sein mit der Kooperationsbereitschaft, verständlicherweise. Und ohne hab ich da keine Chance.

In der Pferdevorstellung war ich mit dem Einfügen von Bildern nicht so erfolgreich, ich probiere es hier gleich einfach nochmal ;-)

VG,
Christina
Mary-Lou
Beiträge: 13
Registriert: Sonntag 24. März 2019, 11:50

Re: (Neues) kugeliges Sarkoid bei dreijährigem WB-Wallach

Beitrag von Mary-Lou »

So sah es beim Sarkoid am Mähnenkamm zu Beginn aus:
Der Dateianhang Sarkoid Mähnenkamm Beginn.jpg existiert nicht mehr.
Dateianhänge
Sarkoid Mähnenkamm Beginn.jpg
Mary-Lou
Beiträge: 13
Registriert: Sonntag 24. März 2019, 11:50

Re: (Neues) kugeliges Sarkoid bei dreijährigem WB-Wallach

Beitrag von Mary-Lou »

Zwei Monate später:
kurz vor Behandlungsende.jpg
Mary-Lou
Beiträge: 13
Registriert: Sonntag 24. März 2019, 11:50

Re: (Neues) kugeliges Sarkoid bei dreijährigem WB-Wallach

Beitrag von Mary-Lou »

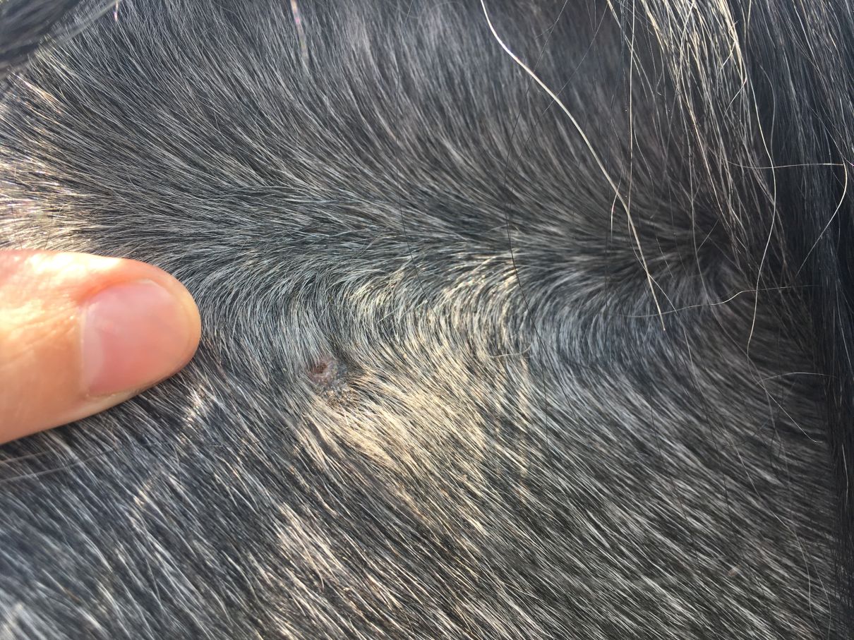
Das gestern frisch entdeckte Sarkoid am Hodensack ist jetzt schon größer als das am Hals nach 6 Monaten Wachstum :?
Auf dem Bild wirkt es kleiner als es ist...
sarkoid hodensack.jpg
Benutzeravatar
Eline
Site Admin
Beiträge: 4502
Registriert: Sonntag 17. Februar 2019, 14:58

Re: (Neues) kugeliges Sarkoid bei dreijährigem WB-Wallach

Beitrag von Eline »

oh, das ist echt heftig. Rudi bekam damals das Ding auch aus der Kastrationsnarbe. Denke da ist Gewebe infiziert und das wird dann gereizt und dann explodieren die. Würde auch mit stark verdünnt versuchen.
Wir haben damals mit Nasenbremse geschmiert, da er uns nach der Liverpool gar nicht mehr ran gelassen hat.

Kannst auch vorab Clickern üben. Denke das könnte klappen
.....nur eine langweilige Frau hat einen perfekten Haushalt .....
Gruß Irene/ Eline Bild


__________________________________________________________________________
Die von mir und anderen Usern eingestellten Erfahrungen u. Berichte ersetzen keinen Tierarzt.
Ich übernehme keine Haftung für die Folgen von Selbstversuchen, garantiere nicht für die
Richtigkeit der Inhalte dieser Seite und gebe keine Heilungsversprechen.
Sprecht bitte immer vorher mit eurem Tierarzt.
Was bei dem einem Pferd hilft, muß einem anderen noch lange nicht wirken.
Mary-Lou
Beiträge: 13
Registriert: Sonntag 24. März 2019, 11:50

Re: (Neues) kugeliges Sarkoid bei dreijährigem WB-Wallach

Beitrag von Mary-Lou »

Genau das vermute ich auch, Eline, durch die OP wird das latent vorhandene Sarkoid so richtig ausgebrochen sein.
An der Innenseite des Hinterbeins sind auch zwei verdächtige kleine Stellen, ich fürchte das zieht sich tentakelmäßig großflächig durch.

Zur Verdünnung habe ich noch eine Frage: Verdünnt Ihr üblicherweise nach Gewicht oder nach Volumen (ml)?

Ich hab jetzt erstmal eine Verdünnung (nach Gewicht) im Verhältnis 1:~2,5 gerührt, bin gespannt ob er sich längerfristig damit einschmieren lässt und es trotz der Verdünnung greift. Erstbehandlung gestern erwartungsgemäß problemlos, zum Glück fand er es schon immer toll, wenn man ihn unter dem Bauch und innen an den Hinterbeinen kräftig kratzt :D Lässt sich ja gut mit dem Schmieren verbinden als Belohnung und Ablenkung.

Bei dem fast identischen Sarkoid am Hals hab ich sehr nach Gefühl geschmiert, werde ich hier wohl ähnlich machen.
Bei dem Teil am Hinterbein durfte ich zwischendurch nicht mehr dran, das tat wohl höllisch weh, da hat es geholfen mal zwei Wochen nur Aloe Vera draufzutun.

Nasenbremse würde nicht klappen, kein Helfer vor Ort und der kleine Kerl ist clever, er bleibt im Zweifelsfall genau die paar cm auf Abstand, dass man weder ein Halfter noch irgendwas anderes ans Pferd kriegt. In der Jungs-Aufzuchtgruppe geht Halfter dranlassen leider gar nicht, Spielkinder eben ;)
Bin also auf volle Kooperation angewiesen, muss möglichst ohne Halfter/Festhalten klappen.
Mary-Lou
Beiträge: 13
Registriert: Sonntag 24. März 2019, 11:50

Re: (Neues) kugeliges Sarkoid bei dreijährigem WB-Wallach

Beitrag von Mary-Lou »

Noch zur Erläuterung, warum ich nach der Verdünnung Gewicht vs. Volumen frage:
Bei der letzten Behandlung hatte ich mehr oder weniger nach Augenmaß einfach nach Volumen verdünnt, also ungefähr gleiche Menge CompX und Vasline in ein Pöttchen, rühren, fertig.

Gestern hab ich erstmalig nach Gewicht verdünnt (5 g CompX auf 12 g Vaseline) und das ist ganz offensichtlich ein ganz anderes Ergebnis, der Wirkstoffanteil ist wesentlich geringer als bei der Volumenvariante. Für meinen aktuellen Bedarf sicher besser.

Jetzt frage ich mich aber, welche Variante eigentlich gemeint ist, wenn hier von Verdünnung geschrieben wird.
Mano
Beiträge: 2927
Registriert: Dienstag 15. Januar 2008, 19:12

Re: (Neues) kugeliges Sarkoid bei dreijährigem WB-Wallach

Beitrag von Mano »

Im Prinzip geht man immer von Gramm aus aber wenn man das ganze erst im Stall macht wird mehrheitlich nach Augenmass gemischt
Und was jetzt demnächst das ganze schwierige macht ist die jeweilige Temperatur
Benutzeravatar
esme
Beiträge: 258
Registriert: Dienstag 20. August 2013, 10:18

Re: (Neues) kugeliges Sarkoid bei dreijährigem WB-Wallach

Beitrag von esme »

Hi
ich mische zuhause nach Gramm ab. Meist 1:1 oder 1:2 oder auch mal 1:3 also 1 Teil CompX und dann demensprechend Mekfett. Ich habe dann immer noch ein Döschen Melkfett im Stall wo mit ich nach bedarf die Verdünnung runter schrauben kann. Aktuell habe ich 1:1 und wenn wir dann nachst so um die 8 -9 -10 grad haben 1:2 irgend wann wenns dann richtig Sommer ist nutze ich überwiegend 1:3 als Grundlage. Bei heiklen Stellen ( Auge etc ) habe ich auch schon mit einer Grundmischung 1:4 gearbeitet. Abmischen im Stall erfolgt nach Gefühl ;) Ob dir das nun hilft ?
Benutzeravatar
Petra
Beiträge: 1504
Registriert: Donnerstag 17. März 2016, 03:37

Re: (Neues) kugeliges Sarkoid bei dreijährigem WB-Wallach

Beitrag von Petra »

Ich habe irgendwann einfach nach Augenmaß gemischt. Alles andere war mir irgendwann zu anstrengend 😆
Mary-Lou
Beiträge: 13
Registriert: Sonntag 24. März 2019, 11:50

Re: (Neues) kugeliges Sarkoid bei dreijährigem WB-Wallach

Beitrag von Mary-Lou »

Super, lieben Dank für Eure Hilfe!

Ich handhabe es jetzt so wie von esme beschrieben, erst eine abgewogene Verdünnungsmischung zuhause herstellen und bei Bedarf am Stall dann nach Augenmaß nochmal verdünnen, damit hat man ja die Sicherheit, auf keinen Fall versehentlich mit einer zu intensiven Mischung zu arbeiten.
Das hab ich nämlich ganz offensichtlich bei den vorherigen Sarkoiden getan, weil ich nach Augenmaß = nach "optischen gleichen" Mengen gemischt habe, was sich jetzt beim Nachwiegen als deutlich zu wenig verdünnt herausgestellt hat :oops: Mein armes Pferd. Naja, er hat es überlegt, die Sarkoide bislang nicht. ;)

Wobei sich unser aktuelles Sarkoid sehr komisch verhält bzw. verhalten hat.
Ich hatte es drei Tage eingeschmiert, am vierten Tag war die gut kirschengroße Kugel nicht mehr zu finden. Zu fühlen war in den Hautfalten nur noch eine deutlich kleinere, höchstens kirschkerngroße Stelle. Das Teil muss abgefallen sein (nicht abgerissen, kein Blut, kein Siff, nix zu finden), obwohl es drei Tage vorher ja noch stark durchblutet und sehr lebendig war, siehe Fotos oben.

Die kleine Stelle habe ich dann noch eingeschmiert, danach hat mich Herr Pferd nicht mehr an die Stelle gelassen.
Hab ihn also erstmal in Ruhe gelassen, weil die Salbe sich in den warmen Hautfalten bestimmt ein, zwei Tage noch wirksam hält.
Beim wirklich gründlichen Nachfühlen gestern habe ich absolut gar nichts mehr fühlen können :shock: (gucken geht nicht, muss gleichzeitig ein Vorderbein hochhalten und das Sarkoid saß ja in den Hautfalten am Hodensack)

Ich lass jetzt erstmal eine Woche komplett die Finger davon und kontrolliere dann nochmal.

Bin echt irritiert, das war ganz sicher ein Sarkoid, im Aussehen und beim Anfassen identisch mit den früheren... kann also eigentlich nicht nach einer Woche verschwunden sein. Schön wäre es ja ...
Antworten

Zurück zu „Behandlungstagebuch CompX/xxTerra/Dermequin“