5jähriger Oldenburger Wallach

Bitte Alter u. Rasse des Pferdes angeben. Krankengeschichte mit erstmaligen Auftreten, Haltung u. evt. erfolgte Behandlungen. Diagnosestellung des behandelnden Tierarztes.
Infos zum equinen Sarkoid http://www.equines-sarkoid.de/seite-2/seite-2a/
allgemeine Fragen zum equinen Sarkoid http://www.equines-sarkoid.de/seite-2/s ... seite-2aa/
Fachwissen rund ums equine Sarkoid http://www.equines-sarkoid.de/seite-2/s ... rtationen/
Forumsregeln
Bitte Alter u. Rasse des Pferdes angeben. Krankengeschichte mit erstmaligen Auftreten, Haltung u. evt. erfolgte Behandlungen. Diagnosestellung des behandelnden Tierarztes.
Infos zum equinen Sarkoid http://www.equines-sarkoid.de/seite-2/seite-2a/
allgemeine Fragen zum equinen Sarkoid http://www.equines-sarkoid.de/seite-2/s ... seite-2aa/
Fachwissen rund ums equine Sarkoid http://www.equines-sarkoid.de/seite-2/s ... rtationen/

Wir übernehmen keine Haftung für die Folgen von Selbstversuchen, garantieren nicht für die
Richtigkeit der Inhalte dieser Seite und geben keine Heilungsversprechen.
Sprecht bitte immer vorher mit eurem Tierarzt, wir sind hier lediglich ein Zusammenschluss von interessierten Usern, die sich das Thema Sarkoid zum Hobby gemacht haben und hier unentgeltlich ihre Freizeit einbringen.
Was bei dem einem Pferd hilft, muss bei einem anderen noch lange nicht wirken.

Wir freuen uns bereits auf Deine aktive Mitgliedschaft!

Bild...das Team vom Sarkoidforum
Wiwi25
Beiträge: 15
Registriert: Sonntag 23. Februar 2025, 21:42

Re: 5jähriger Oldenburger Wallach

Beitrag von Wiwi25 »

Hallo,

ich hatte nochmal getupft mit Dermequin und am 01.06. ist die Kruste dann abgefallen. Bild hänge ich an. Heute sieht es mit Heilsalbe dann noch immer offen aus, 2. Bild. Es ist jetzt nicht wirklich erhaben, aber krustig. Ich glaube, irgendwie kommt er dran und es öffnet sich dann immer wieder etwas. Um die Wundstelle herum ist es rosa jetzt. Ich finde schon, dass es gaaaaanz langsam kleiner wird. Aber wirklich in Zeitlupe. Soll ich noch eine Runde drehen, oder es in Ruhe lassen?

Ist das normal, dass es sich so hinzieht am Ende? Bin wahrscheinlich zu ungeduldig :|

Dankeschön nochmal und liebe Grüße!
Dateianhänge
11.06. nach ein paar Tagen Heilsalbe
11.06. nach ein paar Tagen Heilsalbe
Kruste frisch abgefallen 01.06.
Kruste frisch abgefallen 01.06.
Andrea
Beiträge: 2796
Registriert: Sonntag 28. April 2019, 06:58

Re: 5jähriger Oldenburger Wallach

Beitrag von Andrea »

Eine Sicherheitsrunde würde ich noch einschieben. Und ja, manchmal ist das leider so. Schau mal bei RJ ins Tagebuch. Die hat an einem Stecknadelknöpfchen noch ca. 1 Jahr rumgefummelt und insgesamt 4 (!) Jahre (!!!)
Wiwi25
Beiträge: 15
Registriert: Sonntag 23. Februar 2025, 21:42

Re: 5jähriger Oldenburger Wallach

Beitrag von Wiwi25 »

Hallo,

also jetzt hab ich sicherheitshalber noch zwei kleine Runden mit zwei Tagen schmieren eingeschoben, mit jeweils seeehr langen Phasen mit Kruste. Jetzt ist sie schon seit einer Weile runter und ich habe es noch ein bisschen verheilen lassen. So ist jetzt der Stand. Was meint ihr? Noch ne Runde? Oder geschafft?? Es wächst Fell 8-)

Ganz liebe Grüße und vielen lieben Dank!
Dateianhänge
IMG_4050.jpg
IMG_4051.jpg
Andrea
Beiträge: 2796
Registriert: Sonntag 28. April 2019, 06:58

Re: 5jähriger Oldenburger Wallach

Beitrag von Andrea »

Guten Morgen, das sieht schon richtig gut aus. Du kannst mal noch etwas beobachten, ob das Pünktchen auch noch verschwindet oder eine Sicherheitsrunde drehen. Ganz nach Deinem Bauch.

Liebe Grüße

Andrea
Wiwi25
Beiträge: 15
Registriert: Sonntag 23. Februar 2025, 21:42

Re: 5jähriger Oldenburger Wallach

Beitrag von Wiwi25 »

Hallo,

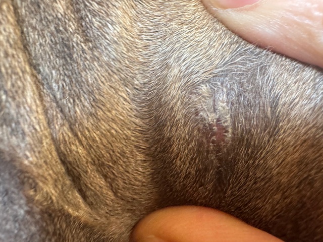
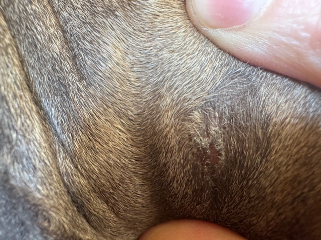
heute schicke ich nochmal Fotos, nachdem ich noch ein (hoffentlich letztes??!) Ründchen gedreht und dann seeeehr lange verheilen lassen habe. Es ist rundum gut Fell gewachsen, in der Mitte ist aber eine kleine Stelle, so wie eine Narbe. Soll ich noch warten, oder besser noch einmal schmieren? Wenn man nicht wüsste, dass da mal was war, würde man es kaum bemerken. Trotzdem aber nicht ganz glatt, sondern minimal fest und erhaben an der Stelle. Ist es normal, dass eine kleine Narbe bleibt, oder wächst normalerweise Fell auch über die letzte Stelle?

Dankeschön im Voraus für eine weitere Einschätzung und ganz liebe Grüße!!!
Dateianhänge
IMG_4347.jpg
IMG_4346.jpg
IMG_4345.jpg
IMG_4344.jpg
Andrea
Beiträge: 2796
Registriert: Sonntag 28. April 2019, 06:58

Re: 5jähriger Oldenburger Wallach

Beitrag von Andrea »

Bei mir ist auch alles narbig gebildet. Schau in mein Tagebuch, ich dokumentiere immer wieder, weil man bei uns alle Stellen noch sieht. Sie sind aber seit 6 Jahren unverändert so. Ich würde sagen, dass das fertig ist. Und Du guckst ja eh regelmäßig nach.
Wiwi25
Beiträge: 15
Registriert: Sonntag 23. Februar 2025, 21:42

Re: 5jähriger Oldenburger Wallach

Beitrag von Wiwi25 »

Hui, vielen lieben Dank!!! Wahnsinn, dass das wirklich so super funktioniert hat. Gerne möchte ich mich erkenntlich zeigen für euer großzügiges Engagement in Sachen Sarkoidbekämpfung - wo finde ich ein passendes Konto auf eurer Seite?

Herzliche Grüße und nochmals DANKE!!
Antworten

Zurück zu „Vorstellung der Pferde mit Sarkoid“