Huhu zusammen
Heute:
Brust hab ich gelassen. Achsel ist etwas blutig seit heute. Da ging Kruste „auf“. Würde ich drüber gehen an der Stelle..?!
Hab vor 2 Tagen geschmiert xxterra. Soll ich abwechseln & mit compx?
Sarkoid Araber 9 Jahre seit Juli compx
Forumsregeln
Bereich für Mitglieder die Hilfe bei der Behandlung benötigen und diese von Anfang bis Ende inkl. Bildern für andere User dokumentieren möchten. Gute Qualität, Datumsangabe u. gleiche Perspektive der Bilder beachten.
Da unsere Moderatoren bemüht sind, hier Hilfe zu leisten, erwarten wir auch bei erfolgreicher Behandlung ein kurzes Abschlusspost mit Bild oder bei Beendigung einen kleinen Hinweis um das Tagebuch ins Archiv zu verschieben.
Im Titel bitte Usernamen, Behandlungsart, Tumorart und Tumorstelle angeben. Dies erleichtert die Suche!
Die von uns und anderen Usern gegebenen Tipps ersetzen keinen Tierarzt.
Wir übernehmen keine Haftung für die Folgen von Selbstversuchen, garantieren nicht für die
Richtigkeit der Inhalte dieser Seite und geben keine Heilungsversprechen.
Sprecht bitte immer vorher mit eurem Tierarzt.
Was bei dem einem Pferd hilft, muss bei einem anderen noch lange nicht wirken.
Wir freuen uns bereits auf Deine aktive Mitgliedschaft!
...das Team vom Sarkoidforum
Bereich für Mitglieder die Hilfe bei der Behandlung benötigen und diese von Anfang bis Ende inkl. Bildern für andere User dokumentieren möchten. Gute Qualität, Datumsangabe u. gleiche Perspektive der Bilder beachten.
Da unsere Moderatoren bemüht sind, hier Hilfe zu leisten, erwarten wir auch bei erfolgreicher Behandlung ein kurzes Abschlusspost mit Bild oder bei Beendigung einen kleinen Hinweis um das Tagebuch ins Archiv zu verschieben.
Im Titel bitte Usernamen, Behandlungsart, Tumorart und Tumorstelle angeben. Dies erleichtert die Suche!
Die von uns und anderen Usern gegebenen Tipps ersetzen keinen Tierarzt.
Wir übernehmen keine Haftung für die Folgen von Selbstversuchen, garantieren nicht für die
Richtigkeit der Inhalte dieser Seite und geben keine Heilungsversprechen.
Sprecht bitte immer vorher mit eurem Tierarzt.
Was bei dem einem Pferd hilft, muss bei einem anderen noch lange nicht wirken.
Wir freuen uns bereits auf Deine aktive Mitgliedschaft!
...das Team vom Sarkoidforum
Re: Sarkoid Araber 9 Jahre seit Juli compx
Hi Andrea,
Bitte nicht abwechseln. Und bei XXT hältst Du Dich ganz konsequent und 100% stur an eine Rhythmus. Typisch ist 4 Tage schmieren, 4 Tage Pause. Damit kannst Du Dein Hirn quasi komplett abgeben, das wird genau so gemacht- egal, was kommt. Außer maximaler Schwellung, aber das zeigst Du her, dann entscheiden wir gemeinsam.
Also legst Du erstmal genau so los und machst mal ein paar solche Zyklen. Gerne immer herzeigen, aber vermutlich wird an der Taktik nichts geändert.
Du hast ja bewusst auf die XXT umgeschwenkt, dann geben wir ihr mal ne Chance.
Liebe Grüße, Andrea
Bitte nicht abwechseln. Und bei XXT hältst Du Dich ganz konsequent und 100% stur an eine Rhythmus. Typisch ist 4 Tage schmieren, 4 Tage Pause. Damit kannst Du Dein Hirn quasi komplett abgeben, das wird genau so gemacht- egal, was kommt. Außer maximaler Schwellung, aber das zeigst Du her, dann entscheiden wir gemeinsam.
Also legst Du erstmal genau so los und machst mal ein paar solche Zyklen. Gerne immer herzeigen, aber vermutlich wird an der Taktik nichts geändert.
Du hast ja bewusst auf die XXT umgeschwenkt, dann geben wir ihr mal ne Chance.
Liebe Grüße, Andrea
Re: Sarkoid Araber 9 Jahre seit Juli compx
Hallo, Andrea. Auch Andrea
Ich hätte beides da. Hatte Idee, da es nicht vorab ging. Hab aber wohl selbst falsch angewendet. Ich las von verschiedenen Intervallen - oft längeren Pausen bei xxterra & das man sie abwechseln könne. Aber ich versuche es mal
Heute, dickere Kruste ging teilweise nun auf / ab (Brust). Achsel auch einseitig Kruste ab. Schmiere dann nur auf die Stellen ohne Kruste. Heute Tag 1 des schmierens (Bilder vorab). Schaut denn der Weg besser aus? Ich bin auch offen wieder umzuschwenken auf Compx.
Ich hätte beides da. Hatte Idee, da es nicht vorab ging. Hab aber wohl selbst falsch angewendet. Ich las von verschiedenen Intervallen - oft längeren Pausen bei xxterra & das man sie abwechseln könne. Aber ich versuche es mal
Heute, dickere Kruste ging teilweise nun auf / ab (Brust). Achsel auch einseitig Kruste ab. Schmiere dann nur auf die Stellen ohne Kruste. Heute Tag 1 des schmierens (Bilder vorab). Schaut denn der Weg besser aus? Ich bin auch offen wieder umzuschwenken auf Compx.
Re: Sarkoid Araber 9 Jahre seit Juli compx
Hi Andrea,
ja, gefällt mir eigentlich schon recht gut so. Mach mal so weiter. 4 Tage XXT, dann 4 Tage Pause und herzeigen, bevor Du wieder loslegst.
Vielleicht machen wir auch noch einen Tag länger Pause. Je nachdem, ob Kruste drauf ist oder fällt.
Liebe Grüße
Andrea
ja, gefällt mir eigentlich schon recht gut so. Mach mal so weiter. 4 Tage XXT, dann 4 Tage Pause und herzeigen, bevor Du wieder loslegst.
Vielleicht machen wir auch noch einen Tag länger Pause. Je nachdem, ob Kruste drauf ist oder fällt.
Liebe Grüße
Andrea
Re: Sarkoid Araber 9 Jahre seit Juli compx
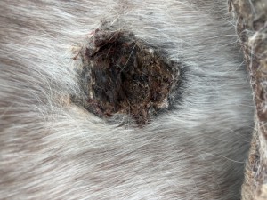
Hallo Andrea, 4. Tag Pause:
Kruste sitzt fest, es sifft nichts oder bricht auf.
Kruste sitzt fest, es sifft nichts oder bricht auf.
Re: Sarkoid Araber 9 Jahre seit Juli compx
Hi Du,
dann mach mal noch Pause, das sieht so fest und trocken aus und am Rand insbesondere an der Brust trocken. Warte mal noch. Zeig gerne her, ich kommentiere dann schon.
Warte mal bis sich die Kruste löst.
LG, Andrea
dann mach mal noch Pause, das sieht so fest und trocken aus und am Rand insbesondere an der Brust trocken. Warte mal noch. Zeig gerne her, ich kommentiere dann schon.
Warte mal bis sich die Kruste löst.
LG, Andrea
Re: Sarkoid Araber 9 Jahre seit Juli compx
Ok! Dacht ich mir schon irgendwie. Ellbogen heut Kruste weg. Da neuen Intervall mit cremen beginnen?