9jährige Cheval de Selle Stute mit ES Nähe Euter
Forumsregeln
Erfolgreiche Behandlungstagebücher werden hierher verschoben. Schön wäre es, wenn ihr diese ab und an mit einem Erfolgsbild aktualisieren würdet um zu berichten, ob das Pferd sarkoidfrei geblieben ist.
Bitte denkt immer daran, dass es Ziel des Forums ist, möglichst viele positive Behandlungsberichte zu sammeln, um anderen Usern Mut zusprechen.
Wir möchten uns hier für die aktive Teilnahme am Forum bedanken!
...das Team vom Sarkoidforum
Erfolgreiche Behandlungstagebücher werden hierher verschoben. Schön wäre es, wenn ihr diese ab und an mit einem Erfolgsbild aktualisieren würdet um zu berichten, ob das Pferd sarkoidfrei geblieben ist.
Bitte denkt immer daran, dass es Ziel des Forums ist, möglichst viele positive Behandlungsberichte zu sammeln, um anderen Usern Mut zusprechen.
Wir möchten uns hier für die aktive Teilnahme am Forum bedanken!
...das Team vom Sarkoidforum
-
Paddington
- Beiträge: 23
- Registriert: Donnerstag 14. Februar 2019, 18:00
- Wohnort: RLP
9jährige Cheval de Selle Stute mit ES Nähe Euter
Hallo,
mein Name ist Claudia. Bei meiner Stute wurde vom TA ES diagnostiziert. Die Stelle liegt unter dem Bauch in der Nähe des Euters (ca. eine Handbreit daneben). Die Tierärztin hat mir eine Behandlung mit Bloodrootsalbe empfohlen. Ich möchte es gerne mit CompX probieren. Blutbild ist erstellt, bis auf Selenmangel alles ok. Gegen den Selenmangel habe ich etwas zum zufüttern bekommen, möchte aber auch noch was zur Unterstützung des Immunsystems machen, da habe ich an Gladiator Plus gedacht.
Den Verlauf der Behandlung möchte ich gerne dokumentieren und hoffe natürlich, dass die Behandlung anschlägt.
Da die Stelle in der Nähe des Euters liegt, würde ich wahrscheinlich beim ersten mal nicht pur schmieren sonder auch da schon auf 1:1 verdünnen. Die langen Winterhaare rundum muss ich vorher noch abschneiden, das verklebt wahrscheinlich zu sehr.
Im Sommer steht die Stute in einer 4er Herde auf der Wiese, im Winter in der Box mit täglichen Paddockgang.
download/file.php?mode=view&id=129
mein Name ist Claudia. Bei meiner Stute wurde vom TA ES diagnostiziert. Die Stelle liegt unter dem Bauch in der Nähe des Euters (ca. eine Handbreit daneben). Die Tierärztin hat mir eine Behandlung mit Bloodrootsalbe empfohlen. Ich möchte es gerne mit CompX probieren. Blutbild ist erstellt, bis auf Selenmangel alles ok. Gegen den Selenmangel habe ich etwas zum zufüttern bekommen, möchte aber auch noch was zur Unterstützung des Immunsystems machen, da habe ich an Gladiator Plus gedacht.
Den Verlauf der Behandlung möchte ich gerne dokumentieren und hoffe natürlich, dass die Behandlung anschlägt.
Da die Stelle in der Nähe des Euters liegt, würde ich wahrscheinlich beim ersten mal nicht pur schmieren sonder auch da schon auf 1:1 verdünnen. Die langen Winterhaare rundum muss ich vorher noch abschneiden, das verklebt wahrscheinlich zu sehr.
Im Sommer steht die Stute in einer 4er Herde auf der Wiese, im Winter in der Box mit täglichen Paddockgang.
download/file.php?mode=view&id=129
Re: 9jährige Cheval de Selle Stute mit ES Nähe Euter
Hallo Claudia,
willkommen im (neuen) Forum.
Noch ist es hier etwas ruhig, aber ich schätze, das ändert sich bald wieder und dann wirst du auch mehr Tipps und Einschätzungen bekommen. Wenn du Fragen hast, sind hier immer alle sehr nett und hilfsbereit.
Das Immunsystem stärken ist sicher eine gute Idee. Da findest du bestimmt im Archiv (im alten Forum) auch Ideen.
Ich selbst glaube im Moment, dass auch Vitamin-C (Hagebutten) sich positiv auswirkt.
Die CompX würde ich an der Stelle auch auf jeden Fall verdünnt anwenden. 1:1 mindestens, vielleicht sogar 1:2.
Du bist auf die Kooperation von deinem Pferd angewiesen und die Stelle ist natürlich schwer zu erreichen, wenn sie die Mitarbeit verweigert. Solltest du bei 1:1 eine Abwehrreaktion bekommen, verdünne sofort mehr.
Auf dem Foto sieht es so aus, als ob euer ES dreigeteilt ist. Versuch auch etwas Salbe in die Zwischenräume zu bekommen.
Guten Schmierstart!
willkommen im (neuen) Forum.
Noch ist es hier etwas ruhig, aber ich schätze, das ändert sich bald wieder und dann wirst du auch mehr Tipps und Einschätzungen bekommen. Wenn du Fragen hast, sind hier immer alle sehr nett und hilfsbereit.
Das Immunsystem stärken ist sicher eine gute Idee. Da findest du bestimmt im Archiv (im alten Forum) auch Ideen.
Ich selbst glaube im Moment, dass auch Vitamin-C (Hagebutten) sich positiv auswirkt.
Die CompX würde ich an der Stelle auch auf jeden Fall verdünnt anwenden. 1:1 mindestens, vielleicht sogar 1:2.
Du bist auf die Kooperation von deinem Pferd angewiesen und die Stelle ist natürlich schwer zu erreichen, wenn sie die Mitarbeit verweigert. Solltest du bei 1:1 eine Abwehrreaktion bekommen, verdünne sofort mehr.
Auf dem Foto sieht es so aus, als ob euer ES dreigeteilt ist. Versuch auch etwas Salbe in die Zwischenräume zu bekommen.
Guten Schmierstart!
~~~~~~~~~~~~
Viele Grüße, RJ
Viele Grüße, RJ
Re: 9jährige Cheval de Selle Stute mit ES Nähe Euter
Hallo,
Wie rj-hü bereits schreibt. Immer mindestens 1:1 verdünnen, wenn nicht an dieser Stelle sogar mehr!
Wie rj-hü bereits schreibt. Immer mindestens 1:1 verdünnen, wenn nicht an dieser Stelle sogar mehr!
.....nur eine langweilige Frau hat einen perfekten Haushalt .....
Gruß Irene/ Eline
__________________________________________________________________________
Die von mir und anderen Usern eingestellten Erfahrungen u. Berichte ersetzen keinen Tierarzt.
Ich übernehme keine Haftung für die Folgen von Selbstversuchen, garantiere nicht für die
Richtigkeit der Inhalte dieser Seite und gebe keine Heilungsversprechen.
Sprecht bitte immer vorher mit eurem Tierarzt.
Was bei dem einem Pferd hilft, muß einem anderen noch lange nicht wirken.
Gruß Irene/ Eline
__________________________________________________________________________
Die von mir und anderen Usern eingestellten Erfahrungen u. Berichte ersetzen keinen Tierarzt.
Ich übernehme keine Haftung für die Folgen von Selbstversuchen, garantiere nicht für die
Richtigkeit der Inhalte dieser Seite und gebe keine Heilungsversprechen.
Sprecht bitte immer vorher mit eurem Tierarzt.
Was bei dem einem Pferd hilft, muß einem anderen noch lange nicht wirken.
-
Paddington
- Beiträge: 23
- Registriert: Donnerstag 14. Februar 2019, 18:00
- Wohnort: RLP
Re: 9jährige Cheval de Selle Stute mit ES Nähe Euter
Ich schmiere nun seit 14 Tagen, anfangs 1:1,5, da sich dann aber nicht viel getan hat, habe ich nach ca. einer Woche mit 1:1 weitergemacht.
Hier hat sich an einer Stelle gelbe Schmiere gebildet.
Nach ca 10 Tage ist der mittlere Teil des Sarkoids abgefallen, ringsum ist noch der Kranz mit den weiteren Sarkoidteilen vorhanden. Dort liegt die Kruste noch lose auf. Ich habe weitergeschmiert, die restliche Kruste ist abgefallen und mittlerweile hat sich über den ganzen Bereich eine neue, feste Kruste gebildet. Daher pausiere ich seit gestern und warte, das die Kruste sich löst. So wie es aktuell aussieht, bin ich ganz zufrieden. Ich bin gespannt, wie die restlichen Teile des Sarkoids reagieren.
Nach ca 10 Tage ist der mittlere Teil des Sarkoids abgefallen, ringsum ist noch der Kranz mit den weiteren Sarkoidteilen vorhanden. Dort liegt die Kruste noch lose auf. Ich habe weitergeschmiert, die restliche Kruste ist abgefallen und mittlerweile hat sich über den ganzen Bereich eine neue, feste Kruste gebildet. Daher pausiere ich seit gestern und warte, das die Kruste sich löst. So wie es aktuell aussieht, bin ich ganz zufrieden. Ich bin gespannt, wie die restlichen Teile des Sarkoids reagieren.
-
Paddington
- Beiträge: 23
- Registriert: Donnerstag 14. Februar 2019, 18:00
- Wohnort: RLP
-
Paddington
- Beiträge: 23
- Registriert: Donnerstag 14. Februar 2019, 18:00
- Wohnort: RLP
Re: 9jährige Cheval de Selle Stute mit ES Nähe Euter
Hier das abgefallene Sarkoidteil.
Mir gehen nach Anzeige der Vorschau immer die Dateien verloren, es bleibt nur eine erhalten, daher musste ich die Bilder nochmal einzeln einstellen. Vielleicht kann einer der Administratoren sie in den ursprünglichen Beitrag einfügen?
Mir gehen nach Anzeige der Vorschau immer die Dateien verloren, es bleibt nur eine erhalten, daher musste ich die Bilder nochmal einzeln einstellen. Vielleicht kann einer der Administratoren sie in den ursprünglichen Beitrag einfügen?
-
Paddington
- Beiträge: 23
- Registriert: Donnerstag 14. Februar 2019, 18:00
- Wohnort: RLP
Re: 9jährige Cheval de Selle Stute mit ES Nähe Euter
Ja, das stimmt 
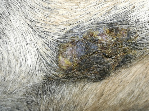
Aktuelles Bild von heute, links ist etwas von der Kruste abgegangen, dort habe ich nochmal dünn geschmiert.
Am rechten Rand ist die Kruste vollständig, hat dort aber eine "scharfe" Kante, wenn man mit dem Finger langgeht fühlt man das, die Krust löst sich aber nicht. Es fühlt sich ungefähr so an, als wenn ein Deckel übersteht. Da war ich mir nicht sicher, ob ich da auch schmieren soll, denn da würde ich unweigerlich auch auf die umgebende Haut schmieren. Was meint ihr?
Aktuelles Bild von heute, links ist etwas von der Kruste abgegangen, dort habe ich nochmal dünn geschmiert.
Am rechten Rand ist die Kruste vollständig, hat dort aber eine "scharfe" Kante, wenn man mit dem Finger langgeht fühlt man das, die Krust löst sich aber nicht. Es fühlt sich ungefähr so an, als wenn ein Deckel übersteht. Da war ich mir nicht sicher, ob ich da auch schmieren soll, denn da würde ich unweigerlich auch auf die umgebende Haut schmieren. Was meint ihr?
Re: 9jährige Cheval de Selle Stute mit ES Nähe Euter
Ich würde da nicht schmieren. Die Kruste ist toll und gerade unter der Kruste soll sich am meisten tun 
-
Paddington
- Beiträge: 23
- Registriert: Donnerstag 14. Februar 2019, 18:00
- Wohnort: RLP
Re: 9jährige Cheval de Selle Stute mit ES Nähe Euter
Nochmal aktuelle Bilder. Die Kruste in der Mitte löst sich jetzt langsam. Am Rand sind schon kleinere Teile abgefallen, dort habe ich immer geschmiert. So sah es gestern aus:
Aktuelles Foto von heute, in der Mitte geht die Kruste hoch, ist aus dieser Perspektive nicht ganz so gut zu sehen.
Re: 9jährige Cheval de Selle Stute mit ES Nähe Euter
du musst gleich auf anzeigen gehen, dass mit der Vorschau ist doof, da verliert er alle. Oder den direkten Upload nehmen, der geht besser.
.....nur eine langweilige Frau hat einen perfekten Haushalt .....
Gruß Irene/ Eline
__________________________________________________________________________
Die von mir und anderen Usern eingestellten Erfahrungen u. Berichte ersetzen keinen Tierarzt.
Ich übernehme keine Haftung für die Folgen von Selbstversuchen, garantiere nicht für die
Richtigkeit der Inhalte dieser Seite und gebe keine Heilungsversprechen.
Sprecht bitte immer vorher mit eurem Tierarzt.
Was bei dem einem Pferd hilft, muß einem anderen noch lange nicht wirken.
Gruß Irene/ Eline
__________________________________________________________________________
Die von mir und anderen Usern eingestellten Erfahrungen u. Berichte ersetzen keinen Tierarzt.
Ich übernehme keine Haftung für die Folgen von Selbstversuchen, garantiere nicht für die
Richtigkeit der Inhalte dieser Seite und gebe keine Heilungsversprechen.
Sprecht bitte immer vorher mit eurem Tierarzt.
Was bei dem einem Pferd hilft, muß einem anderen noch lange nicht wirken.