5 Jähriger Hannoveraner mit Plattensarkoid am Hals - XXTerra Behandlung

Bitte Alter u. Rasse des Pferdes angeben. Krankengeschichte mit erstmaligen Auftreten, Haltung u. evt. erfolgte Behandlungen. Diagnosestellung des behandelnden Tierarztes.
Infos zum equinen Sarkoid http://www.equines-sarkoid.de/seite-2/seite-2a/
allgemeine Fragen zum equinen Sarkoid http://www.equines-sarkoid.de/seite-2/s ... seite-2aa/
Fachwissen rund ums equine Sarkoid http://www.equines-sarkoid.de/seite-2/s ... rtationen/
Forumsregeln
Bitte Alter u. Rasse des Pferdes angeben. Krankengeschichte mit erstmaligen Auftreten, Haltung u. evt. erfolgte Behandlungen. Diagnosestellung des behandelnden Tierarztes.
Infos zum equinen Sarkoid http://www.equines-sarkoid.de/seite-2/seite-2a/
allgemeine Fragen zum equinen Sarkoid http://www.equines-sarkoid.de/seite-2/s ... seite-2aa/
Fachwissen rund ums equine Sarkoid http://www.equines-sarkoid.de/seite-2/s ... rtationen/

Wir übernehmen keine Haftung für die Folgen von Selbstversuchen, garantieren nicht für die
Richtigkeit der Inhalte dieser Seite und geben keine Heilungsversprechen.
Sprecht bitte immer vorher mit eurem Tierarzt, wir sind hier lediglich ein Zusammenschluss von interessierten Usern, die sich das Thema Sarkoid zum Hobby gemacht haben und hier unentgeltlich ihre Freizeit einbringen.
Was bei dem einem Pferd hilft, muss bei einem anderen noch lange nicht wirken.

Wir freuen uns bereits auf Deine aktive Mitgliedschaft!

Bild...das Team vom Sarkoidforum
Mandys
Beiträge: 43
Registriert: Donnerstag 8. Juni 2023, 22:37

5 Jähriger Hannoveraner mit Plattensarkoid am Hals - XXTerra Behandlung

Beitrag von Mandys »

Hallo ihr Lieben,

mein jetzt 5 jähriger hat letztes Jahr im Sommer ein Plattensarkoid nach einem Stich gebildet.
Wir hatten vergangenes Jahr mit Tuja-Tinktur versucht, es los zu werden. Brachte aber keine Veränderung.
Also haben die Tierärzte und ich es erst nochmal in Ruhe gelassen.

Wir haben nun vor 3 Wochen angefangen, zu behandeln. ES hat sofort reagiert :lol: das einzige was mich gefreut hat, dass es direkt mopperig wurde. Die Kruste war schon an Tag 4 da, nach fast 3 Wochen ist die Kruste nun vollständig ab, hab brav nach Anweisung auch immer in die Zwischenräume geschmiert.

Ich bin sehr gespannt, wie lange es uns noch begleiten wird und hoffe das ich nicht zu sehr deprimiert bin, dass es wohl deutlich länger dauern wird als am Anfang gehofft.

Ich bin nur am überlegen, die "Ränder" mit Fell nun mit Vaseline einzuschmieren, weil die Haut da sehr stark mitreagiert & mit Fell bedeckt, bedeutet ja eigentlich Sarkoidfrei, oder?

(Da in dem Stall letztes Jahr eh nicht alles lief wie gewünscht, stehen wir seit August 2022 in einem Offenstall, wo er sich körperlich und mental auch absolut wohlfühlt.
Das einschmieren stört ihn bisher noch gar nicht, nur manchmal nach dem einschmieren, juckt ihn es permament am Hals, dass scheuern kann ich da aber leider nicht ganz verhindern...
Zum reiten decke ich mit omnifix ab.

Freue mich über Tipps und Tricks, von den Profis hier!

Und wünsche jedem gute Genesung vom Pferdi, dass es niemals wieder kommt!

Lieben Gruß
Dateianhänge
ohne Kruste am Freitag
ohne Kruste am Freitag
Vergleich vor der Behandlung und nach ca 1 1/2 Wochen
Vergleich vor der Behandlung und nach ca 1 1/2 Wochen
Andrea
Beiträge: 2850
Registriert: Sonntag 28. April 2019, 06:58

Re: 5 Jähriger Hannoveraner mit Plattensarkoid am Hals - XXTerra Behandlung

Beitrag von Andrea »

Hallo Mandy,

herzlich willkommen im Forum.

Wenn der Bursche sich nach dem Einschmieren juckt, schmier doch, bevor Du ihn putzt. Dann kannst Du gezielt daneben ein bisschen krabbeln und kraulen und es ist kontrolliert.

Ansonsten wirkt die CompX im Sommer besonders gut bei den Temperaturen und Du kannst auch mal etwas mehr verdünnen.

Wenn Du das Gefühl hast, dass es immer größer wird, liegt das oft daran, dass der Rand mitreagiert. Einfach ein klitzekleines bisschen Abstand halten zum Rand und nicht drüber rausschmieren.

Viel Erfolg weiterhin und melde Dich, wenn Du Fragen hast.

Liebe Grüße, Andrea
Gast

Re: 5 Jähriger Hannoveraner mit Plattensarkoid am Hals - XXTerra Behandlung

Beitrag von Gast »

Hallo Andrea,

danke für die Tipps!
Wir benutzen aktuell xxterra, die soll man ja glaube ich in dem Stadium noch nicht verdünnen - oder?
Den Rand werde ich nun zukünftig aussparen!

Das Jucken hat sich die letzten Tage nicht mehr gezeigt, hoffe das es so bleibt aber ich halte es unter Aufsicht.

Zum Glück ist er bisher echt entspannt, was das schmieren angeht und macht auch keine Anstalten.

Hoffe ES werden wir wirklich vollständig los und noch mehr hoffe ich, dass da wirklich später mal Fell wächst 😄

Lieben Gruß!
Andrea
Beiträge: 2850
Registriert: Sonntag 28. April 2019, 06:58

Re: 5 Jähriger Hannoveraner mit Plattensarkoid am Hals - XXTerra Behandlung

Beitrag von Andrea »

Na klar, wer lesen kann, ist stark im Vorteil. Steht ja in der Überschrift. Sehr pfiffig von mir 🙈

Du schmierst in Zyklen, ja? 4 Tage schmieren, 4 Tage Pause.

LG, Andrea
Mandys
Beiträge: 43
Registriert: Donnerstag 8. Juni 2023, 22:37

Re: 5 Jähriger Hannoveraner mit Plattensarkoid am Hals - XXTerra Behandlung

Beitrag von Mandys »

Huhu Andrea, tatsächlich schmiere ich täglich 😄🫠

Ist das bei Xxterra falsch? 😩
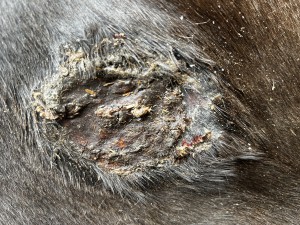
Hab mal ein Foto von heute hochgeladen.

Lieben Gruß
Mandy
Dateianhänge
IMG_1407.jpeg
Andrea
Beiträge: 2850
Registriert: Sonntag 28. April 2019, 06:58

Re: 5 Jähriger Hannoveraner mit Plattensarkoid am Hals - XXTerra Behandlung

Beitrag von Andrea »

Hallo Mandy,

Ja, tatsächlich ist das falsch. Die XXT wird in Zyklen geschmiert. Klassisch 4 Tage, dann 4 Tage Pause.
Sie ruft starke Entzündungsreaktionen hervor, daher wird es bei Dauerschmieren auch immer größer und schlimmer.

Vorschlag: mach mal 1 Woche Pause, dann machst Du ein Foto und dann beratschlagen wir wie es weitergeht.

Liebe Grüße
Andrea
Mandys
Beiträge: 43
Registriert: Donnerstag 8. Juni 2023, 22:37

Re: 5 Jähriger Hannoveraner mit Plattensarkoid am Hals - XXTerra Behandlung

Beitrag von Mandys »

Hey Andrea, danke für die schnelle Hilfe!
Dann lasse ich es jetzt ne Woche komplett in Ruhe und dann überlegen wir mal!

Hoffe habe es jetzt nicht völlig ruiniert 🫠
Andrea
Beiträge: 2850
Registriert: Sonntag 28. April 2019, 06:58

Re: 5 Jähriger Hannoveraner mit Plattensarkoid am Hals - XXTerra Behandlung

Beitrag von Andrea »

bestimmt nicht, so lange schmierst Du ja auch noch nicht.

Liebe Grüße
Mandys
Beiträge: 43
Registriert: Donnerstag 8. Juni 2023, 22:37

Re: 5 Jähriger Hannoveraner mit Plattensarkoid am Hals - XXTerra Behandlung

Beitrag von Mandys »

Danke für die Beruhigung 😄 Ränder in Ruhe lassen, hatte ja auch direkt gewirkt.
Hoffen wir kommende Woche sieht’s nochmal besser aus, zum Glück kamen die Krusten ja immer sehr schnell und hab dann hoffentlich wirklich nicht die Haut zu sehr geärgert 🫠

Hätte mich direkt am Anfang Vedder angemeldet 🥲
Naja, auch das bekommen wir wieder hin.

Tausend Dank nochmal :)
Lieben Gruß
Mandys
Beiträge: 43
Registriert: Donnerstag 8. Juni 2023, 22:37

Re: 5 Jähriger Hannoveraner mit Plattensarkoid am Hals - XXTerra Behandlung

Beitrag von Mandys »

Huhu Zusammen,

heute ist die Kruste auch großteils abgegangen.

Hab mich auch brav fern gehalten von der xxterra 😄
Dateianhänge
IMG_1590.jpeg
Andrea
Beiträge: 2850
Registriert: Sonntag 28. April 2019, 06:58

Re: 5 Jähriger Hannoveraner mit Plattensarkoid am Hals - XXTerra Behandlung

Beitrag von Andrea »

Sehr gut, würde ich persönlich auch noch weiterhin machen.
Wenn es fertig ist, wird das schnell besser.
Wenn nicht, werden wir das auch schnell erkennen.
Ich denke, Du kannst es riskieren.
Bist ja vermutlich täglich da, da wird Dir nichts durchrutschen. Und wenn Du unsicher bist, Foto her, wir gucken alle mit.
Antworten

Zurück zu „Vorstellung der Pferde mit Sarkoid“