9jährige Cheval de Selle Stute mit ES Nähe Euter
Forumsregeln
Erfolgreiche Behandlungstagebücher werden hierher verschoben. Schön wäre es, wenn ihr diese ab und an mit einem Erfolgsbild aktualisieren würdet um zu berichten, ob das Pferd sarkoidfrei geblieben ist.
Bitte denkt immer daran, dass es Ziel des Forums ist, möglichst viele positive Behandlungsberichte zu sammeln, um anderen Usern Mut zusprechen.
Wir möchten uns hier für die aktive Teilnahme am Forum bedanken!
...das Team vom Sarkoidforum
Erfolgreiche Behandlungstagebücher werden hierher verschoben. Schön wäre es, wenn ihr diese ab und an mit einem Erfolgsbild aktualisieren würdet um zu berichten, ob das Pferd sarkoidfrei geblieben ist.
Bitte denkt immer daran, dass es Ziel des Forums ist, möglichst viele positive Behandlungsberichte zu sammeln, um anderen Usern Mut zusprechen.
Wir möchten uns hier für die aktive Teilnahme am Forum bedanken!
...das Team vom Sarkoidforum
-
Paddington
- Beiträge: 23
- Registriert: Donnerstag 14. Februar 2019, 18:00
- Wohnort: RLP
Re: 9jährige Cheval de Selle Stute mit ES Nähe Euter
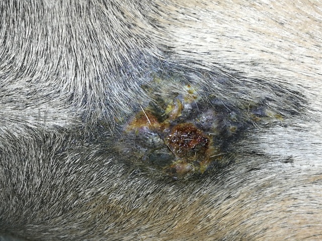
Es hat sich in den letzten Tagen einiges getan, hier sind nochmal aktuelle Bilder.
Da zwischenzeitlich mal Abwehrreaktionen kamen (Bein gehoben und mit dem Huf gedroht, allerdings ohne wirklich auszuschlagen), hatte ich zwischendurch auch mal 1:2 geschmiert, als die warmen Tage angefangen haben, war die die Haut um die Stelle auch mal etwas angeschwollen, da habe ich dann 3 Tage ausgesetzt. Ich habe, auch wenn ich nicht geschmiert habe, immer wieder versucht, die Haut um das Sarkoid zu berühren, damit sie merkt, das anfassen dort nicht schlimm ist. Wenn ich die Salbe leicht "klopfend" auftrage anstatt darüber zu streichen, scheint es ihr auch angenehmer zu sein.
Zwischenzeitlich hatte sich wieder eine schöne Kruste gebildet. Auch die Stelle, wo die Murmel war, war gut bedeckt.
Zuerst hat sich die Kruste in der Mitte gelöst: Darunter war eine fiese Stelle mit viel gelbem Schmier. Ich habe da weiter geschmiert, am nächsten Tag sah es dann so aus: In der Mitte ist noch der "Krater" zu sehen, die restliche Kruste hat sich auch gelöst.
Hier habe ich nun ganzflächig geschmiert.
Zwei Tage später sah das ganze dann so aus: Es ist echt erstaunlich, wie schnell sich das Sarkoid immer wieder verändert. Hier habe ich nochmal geschmiert, seitdem aber pausiert. Aktuelles Foto von heute: Die Kruste ist wieder gut ausgebildet, nun warte ich, bis wieder Teile anfangen abzufallen. Ich bin echt gespannt, wie es darunter aussieht, irgendwie fallen ja immer nur Teile ab, aber nie sehe ich, wie die komplette Stelle darunter aussieht. Man kann gerade auch nicht gut erkennen, wie es um die Murmel steht. Ich habe ja heute nicht geschmiert, aber mal über die ganze Stelle gefühlt, es ist an der Stelle nicht wirklich eine deutliche Erhebung zu fühlen. Vielleicht hat sie sich schon zurückgebildet? Richtig sehen werde ich das erst, wenn die Kruste mal wieder weg ist.
Was ich, glaube ich, noch gar nicht erwähnt habe: seit ich mit dem Schmieren angefangen habe, füttere ich GladiatorPlus dazu, das werde ich auch noch eine Zeitlang beibehalten. Außerdem habe ich die 80 Tage Kur mit Zellmileu2 zwei Wochen später begonnen. Ob das nun wirkt und Einfluss hat oder nicht, kann man ja nicht wirklich feststellen, allerdings bin ich mit dem Ergebnis insgesamt glaube ich bisher ganz zufrieden. Klar wird es noch dauern, aber wir scheinen auf einem guten Weg zu sein.
Da zwischenzeitlich mal Abwehrreaktionen kamen (Bein gehoben und mit dem Huf gedroht, allerdings ohne wirklich auszuschlagen), hatte ich zwischendurch auch mal 1:2 geschmiert, als die warmen Tage angefangen haben, war die die Haut um die Stelle auch mal etwas angeschwollen, da habe ich dann 3 Tage ausgesetzt. Ich habe, auch wenn ich nicht geschmiert habe, immer wieder versucht, die Haut um das Sarkoid zu berühren, damit sie merkt, das anfassen dort nicht schlimm ist. Wenn ich die Salbe leicht "klopfend" auftrage anstatt darüber zu streichen, scheint es ihr auch angenehmer zu sein.
Zwischenzeitlich hatte sich wieder eine schöne Kruste gebildet. Auch die Stelle, wo die Murmel war, war gut bedeckt.
Zuerst hat sich die Kruste in der Mitte gelöst: Darunter war eine fiese Stelle mit viel gelbem Schmier. Ich habe da weiter geschmiert, am nächsten Tag sah es dann so aus: In der Mitte ist noch der "Krater" zu sehen, die restliche Kruste hat sich auch gelöst.
Hier habe ich nun ganzflächig geschmiert.
Zwei Tage später sah das ganze dann so aus: Es ist echt erstaunlich, wie schnell sich das Sarkoid immer wieder verändert. Hier habe ich nochmal geschmiert, seitdem aber pausiert. Aktuelles Foto von heute: Die Kruste ist wieder gut ausgebildet, nun warte ich, bis wieder Teile anfangen abzufallen. Ich bin echt gespannt, wie es darunter aussieht, irgendwie fallen ja immer nur Teile ab, aber nie sehe ich, wie die komplette Stelle darunter aussieht. Man kann gerade auch nicht gut erkennen, wie es um die Murmel steht. Ich habe ja heute nicht geschmiert, aber mal über die ganze Stelle gefühlt, es ist an der Stelle nicht wirklich eine deutliche Erhebung zu fühlen. Vielleicht hat sie sich schon zurückgebildet? Richtig sehen werde ich das erst, wenn die Kruste mal wieder weg ist.
Was ich, glaube ich, noch gar nicht erwähnt habe: seit ich mit dem Schmieren angefangen habe, füttere ich GladiatorPlus dazu, das werde ich auch noch eine Zeitlang beibehalten. Außerdem habe ich die 80 Tage Kur mit Zellmileu2 zwei Wochen später begonnen. Ob das nun wirkt und Einfluss hat oder nicht, kann man ja nicht wirklich feststellen, allerdings bin ich mit dem Ergebnis insgesamt glaube ich bisher ganz zufrieden. Klar wird es noch dauern, aber wir scheinen auf einem guten Weg zu sein.
-
Paddington
- Beiträge: 23
- Registriert: Donnerstag 14. Februar 2019, 18:00
- Wohnort: RLP
Re: 9jährige Cheval de Selle Stute mit ES Nähe Euter
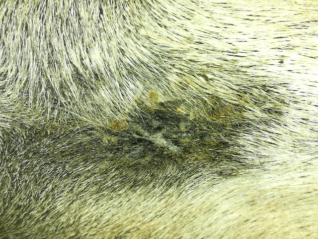
Im Moment verändert sich das Sarkoid täglich und insgesamt rasant, hier nochmal aktuelle Bilder:
Die Kruste löst sich langsam: Die Kruste ist abgefallen, nun sieht man erstmals die komplette Fläche ohne Kruste, bisher hatten sich immer nur kleine Teilbereiche gelöst: Wenn ich mir so die Fotos von vor drei Wochen ansehe, hat sich anscheinend der Großteil des Sarkoids verabschiedet, sogar die Murmel ist weg
Die dunkle Hautfläche um die Bereiche, wo sich gerade was abgelöst hat, sieht zunehmend wieder intakt aus, oder was meint Ihr? Ich möchte ja nicht zu optimistisch sein, aber im Moment bin ich mit dem Ergebnis echt zufrieden.
Auf den hellen Stellen habe ich wieder geschmiert, Verdünnung weiterhin 1:1. Weiter verdünnen scheint mir noch keinen Sinn zu machen, da es immer noch gut krustet.
Die Kruste löst sich langsam: Die Kruste ist abgefallen, nun sieht man erstmals die komplette Fläche ohne Kruste, bisher hatten sich immer nur kleine Teilbereiche gelöst: Wenn ich mir so die Fotos von vor drei Wochen ansehe, hat sich anscheinend der Großteil des Sarkoids verabschiedet, sogar die Murmel ist weg
Die dunkle Hautfläche um die Bereiche, wo sich gerade was abgelöst hat, sieht zunehmend wieder intakt aus, oder was meint Ihr? Ich möchte ja nicht zu optimistisch sein, aber im Moment bin ich mit dem Ergebnis echt zufrieden.
Auf den hellen Stellen habe ich wieder geschmiert, Verdünnung weiterhin 1:1. Weiter verdünnen scheint mir noch keinen Sinn zu machen, da es immer noch gut krustet.
Re: 9jährige Cheval de Selle Stute mit ES Nähe Euter
Mensch toll....Das sieht aber schon gut aus! Solange wie es gut läuft würde ich auch bei der bislang bewährten Methode bleiben. Weiter so ich drücke dir die Daumen das es dann recht schnell Geschichte ist!
Ich verschiebe dich mal zu den Tagebüchern. .....
Ich verschiebe dich mal zu den Tagebüchern. .....
-
Paddington
- Beiträge: 23
- Registriert: Donnerstag 14. Februar 2019, 18:00
- Wohnort: RLP
Re: 9jährige Cheval de Selle Stute mit ES Nähe Euter
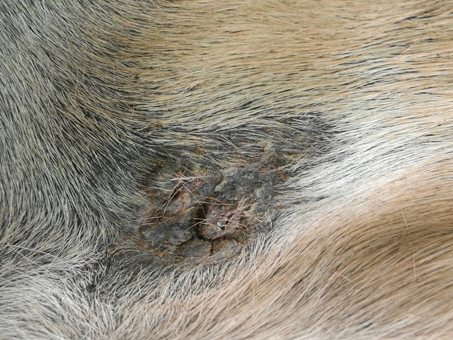
Nochmal aktuelle Fotos. Es hat sich wieder eine neue Kruste gebildet, schön ganzflächig, ich habe dann 4 Tage nicht geschmiert, dann fiel sie ab. Das sah dann so aus:
Ein paar kleine Stellen waren noch da, also habe ich weiter dort geschmiert, wobei es ziemlich schwierig war, das nur auf diese kleinen Stellen zu beschränken. Aktuelles Foto heute:
Ich hoffe sehr, das dies bald alles Geschichte ist. Und ich hätte nie gedacht, das dieses Teil so schnelll reagiert, ich hatte deutlich mehr Zeit "eingeplant". Vor allem diese Murmel, die erst ein richtiger harter Zellberg war, und nach dem nächsten Krustenabgang so gut wie weg war. Ich vermute fast, das das Ergebnis insgesamt nicht nur von der Salbe kommt, aber letztendlich ist ja das Ergebnis das zählt. Ich werde euch auf dem laufenden halten
.
Re: 9jährige Cheval de Selle Stute mit ES Nähe Euter
Das sieht auf jeden Fall schon super aus!
Aber auf jeden Fall bis zum Ende durchhalten...!
Was meinst du, woher das Ergebnis noch kommt?
Vom Ausgleich des Selenmangels oder Gladiator Plus?
Oder hast du noch was anderes gemacht/gegeben?
Aber auf jeden Fall bis zum Ende durchhalten...!
Was meinst du, woher das Ergebnis noch kommt?
Vom Ausgleich des Selenmangels oder Gladiator Plus?
Oder hast du noch was anderes gemacht/gegeben?
~~~~~~~~~~~~
Viele Grüße, RJ
Viele Grüße, RJ
-
Paddington
- Beiträge: 23
- Registriert: Donnerstag 14. Februar 2019, 18:00
- Wohnort: RLP
Re: 9jährige Cheval de Selle Stute mit ES Nähe Euter
Hallo, nein, ausser GladiatorPlus und Zellmillieu2 habe ich nichts besonderes gemacht. Vom Tierarzt hatte ich gegen den Selenmangel ein Präparat zum füttern erhalten, nachdem das aufgebraucht war habe ich mit einem normalen Mineralfutter weitergemacht. Sowas hatte sie bevor ich sie gekauft habe nicht bekommen.
Ich denke schon das die Unterstützung des Immunsystems mitgeholfen hat, das es so schnell ging. Die Stelle, wo die Murmel war, hat sich anscheinend auch selber zurückgebildet. Nachdem dieser Knubbel gut sichtbar geworden ist, hatte ich dort weitergeschmiert, aber es ist an der Stelle nichts "abgefallen", und nachdem das nächste Mal die Kruste ab war, war schon so gut wie nichts mehr zu sehen oder fühlen. Es ist nichts abgefallen wie in der Mitte nach den ersten Tagen.
Ich habe nochmal ein paar Bilder: Es ist so gut wie nichts mehr zu sehen. Auf dem heutigen Bild sieht man nur noch die Hautabschilferungen. Da ich bei den kleinen Stellen zwangsweise auch immer normale Haut treffe, lösen sich dort kleine Schüppchen. Ich habe in den letzten Tagen nur noch alle 2-3 Tage geschmiert und bin auf 1:2 zurückgegangen. Ich denke, ich werde jetzt einfach mal ein paar Tage abwarten, bis die Haut dort wieder glatt ist und die Schuppen weg, dann ist es hoffentlich besser einzuschätzen. Ich werde danach aber auf jeden Fall noch ein paar mal nachschmieren um wirklich sicherzugehen, das nichts mehr da ist . Dazu habe ich mir noch eine Verdünnung 1:3 angerührt.
Ich denke schon das die Unterstützung des Immunsystems mitgeholfen hat, das es so schnell ging. Die Stelle, wo die Murmel war, hat sich anscheinend auch selber zurückgebildet. Nachdem dieser Knubbel gut sichtbar geworden ist, hatte ich dort weitergeschmiert, aber es ist an der Stelle nichts "abgefallen", und nachdem das nächste Mal die Kruste ab war, war schon so gut wie nichts mehr zu sehen oder fühlen. Es ist nichts abgefallen wie in der Mitte nach den ersten Tagen.
Ich habe nochmal ein paar Bilder: Es ist so gut wie nichts mehr zu sehen. Auf dem heutigen Bild sieht man nur noch die Hautabschilferungen. Da ich bei den kleinen Stellen zwangsweise auch immer normale Haut treffe, lösen sich dort kleine Schüppchen. Ich habe in den letzten Tagen nur noch alle 2-3 Tage geschmiert und bin auf 1:2 zurückgegangen. Ich denke, ich werde jetzt einfach mal ein paar Tage abwarten, bis die Haut dort wieder glatt ist und die Schuppen weg, dann ist es hoffentlich besser einzuschätzen. Ich werde danach aber auf jeden Fall noch ein paar mal nachschmieren um wirklich sicherzugehen, das nichts mehr da ist . Dazu habe ich mir noch eine Verdünnung 1:3 angerührt.
Re: 9jährige Cheval de Selle Stute mit ES Nähe Euter
Wow das ist ja ein toller Verlauf. Glückwunsch schon mal bis hierher!
-
Paddington
- Beiträge: 23
- Registriert: Donnerstag 14. Februar 2019, 18:00
- Wohnort: RLP
Re: 9jährige Cheval de Selle Stute mit ES Nähe Euter
Danke. Ich bin so dankbar das es bis hierhin so gut funktioniert hat. Und hoffe, das es bald Geschichte ist, und keine Rückfälle gibt.
Re: 9jährige Cheval de Selle Stute mit ES Nähe Euter
Genau....und ich freue mich das ich dich bald zu den Erfolgen schieben kann 
-
Paddington
- Beiträge: 23
- Registriert: Donnerstag 14. Februar 2019, 18:00
- Wohnort: RLP
Re: 9jährige Cheval de Selle Stute mit ES Nähe Euter
Hallo, hm, das wird sich wohl noch was verzögern mit dem verschieben....
Ich hatte eigentlich den Eindruck, es wäre so gut wie alles weg, habe dann nur noch alle paar Tage geschmiert, und dann hat es wieder angefangen sich zu verändern. Es hat sich eine kleine "Furche" gebildet, die nach ein paar Tagen auseinander klaffte, wie ein Riß quasi. Ich habe also wieder regelmäßig geschmiert, und dann kam da noch einiges raus. Hier sieht man wie der Spalt sich langsam bildet: Es kam dann noch an anderen Stellen wieder was zum Vorschein. Nach ein paar Tagen krustet es wieder schön: Es hat sich wieder einiges gelöst und es bleiben kleine Krüstchen, nicht mehr durchgängig Ich bin jetzt etwas ratlos. Das ganze hat zwar wieder gut reagiert, nun ist es ja auch mal etwas wärmer, aber jetzt habe ich echt Angst etwa (wieder?) zu früh aufzuhören mit dem Schmieren. Das wird wahrscheinlich wohl noch ein paar Tage dauern bis sich die Frage stellt, aber wie geht man da denn am besten vor? In größeren Abständen mit höherer Konzentration, oder lieber öfter aber verdünnter? Ich will nun gerne beim nächsten mal alle Zellen erwischen. Wie habt Ihr das gemacht?
Ich hatte eigentlich den Eindruck, es wäre so gut wie alles weg, habe dann nur noch alle paar Tage geschmiert, und dann hat es wieder angefangen sich zu verändern. Es hat sich eine kleine "Furche" gebildet, die nach ein paar Tagen auseinander klaffte, wie ein Riß quasi. Ich habe also wieder regelmäßig geschmiert, und dann kam da noch einiges raus. Hier sieht man wie der Spalt sich langsam bildet: Es kam dann noch an anderen Stellen wieder was zum Vorschein. Nach ein paar Tagen krustet es wieder schön: Es hat sich wieder einiges gelöst und es bleiben kleine Krüstchen, nicht mehr durchgängig Ich bin jetzt etwas ratlos. Das ganze hat zwar wieder gut reagiert, nun ist es ja auch mal etwas wärmer, aber jetzt habe ich echt Angst etwa (wieder?) zu früh aufzuhören mit dem Schmieren. Das wird wahrscheinlich wohl noch ein paar Tage dauern bis sich die Frage stellt, aber wie geht man da denn am besten vor? In größeren Abständen mit höherer Konzentration, oder lieber öfter aber verdünnter? Ich will nun gerne beim nächsten mal alle Zellen erwischen. Wie habt Ihr das gemacht?
-
Paddington
- Beiträge: 23
- Registriert: Donnerstag 14. Februar 2019, 18:00
- Wohnort: RLP
Re: 9jährige Cheval de Selle Stute mit ES Nähe Euter
Hallo, hier nochmal ein aktuelles Foto von heute. Ich schmiere wieder täglich, soweit es geht 1:1, durch die Wärme hatte ich heute den Eindruck, dass die Stelle leicht geschwollen war, dann schmiere ich in größerer Verdünnung.
Die Kruste in der Mitte baut sich gerade deutlich auf. Ich habe allerdings auch den Eindruck, das das Sarkoid großflächiger geworden ist. Ich werde erstmal weiter täglich schmieren, bis das ganze wieder deutlich besser aussieht. Wie seid ihr anschließend vorgegangen, nachdem offensichtlich alle Reste "erledigt" waren, erst mal weiter täglich in großer Verdünnung schmieren? Bin dankbar für alle Erfahrungswerte.