12 jähriger Vollblutaraber, Sarkoid Achsel

Bereich für Mitglieder die Hilfe bei der Behandlung benötigen und diese von Anfang bis Ende inkl. Bildern für andere User dokumentieren möchten. Gute Qualität, Datumsangabe u. gleiche Perspektive der Bilder beachten.
Da unsere Moderatoren bemüht sind, hier Hilfe zu leisten, erwarten wir auch bei erfolgreicher Behandlung ein kurzes Abschlusspost mit Bild oder bei Beendigung einen kleinen Hinweis um das Tagebuch ins Archiv zu verschieben.
Im Titel bitte Usernamen, Behandlungsart, Tumorart und Tumorstelle angeben. Dies erleichtert die Suche!
Forumsregeln
Bereich für Mitglieder die Hilfe bei der Behandlung benötigen und diese von Anfang bis Ende inkl. Bildern für andere User dokumentieren möchten. Gute Qualität, Datumsangabe u. gleiche Perspektive der Bilder beachten.
Da unsere Moderatoren bemüht sind, hier Hilfe zu leisten, erwarten wir auch bei erfolgreicher Behandlung ein kurzes Abschlusspost mit Bild oder bei Beendigung einen kleinen Hinweis um das Tagebuch ins Archiv zu verschieben.
Im Titel bitte Usernamen, Behandlungsart, Tumorart und Tumorstelle angeben. Dies erleichtert die Suche!
Die von uns und anderen Usern gegebenen Tipps ersetzen keinen Tierarzt.
Wir übernehmen keine Haftung für die Folgen von Selbstversuchen, garantieren nicht für die
Richtigkeit der Inhalte dieser Seite und geben keine Heilungsversprechen.
Sprecht bitte immer vorher mit eurem Tierarzt.
Was bei dem einem Pferd hilft, muss bei einem anderen noch lange nicht wirken.

Wir freuen uns bereits auf Deine aktive Mitgliedschaft!

Bild...das Team vom Sarkoidforum
Arabär
Beiträge: 65
Registriert: Mittwoch 21. Mai 2025, 13:54

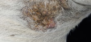
12 jähriger Vollblutaraber, Sarkoid Achsel

Beitrag von Arabär »

Hallo zusammen,

wir sind die nächsten, welche gegen ein Sarkoid ankämpfen. Gerne stelle ich mein Pferd vor:

12 jähriger ägyptischer Vollblutaraber, Offenstall, Sarkoid an der Achsel vorne links. Ist mir nach dem Fellwechsel erstmalig aufgefallen, die Tierärztin hat ein ES diagnostiziert. Ich habe ihn seitdem er 6 Wochen alt ist.

Begonnen haben wir mit Thujatinktur 5 Tage (Sarkoid hat nach 1 Tag bereits darauf reagiert).
Danach 7 Tage unverdünnt, dann 1:1, zwischendurch Pausen wegen starker Schwellung.

Danach ca 1:4 wieder, vorausgesetzt die Schwellung ist wieder weg. Gestern gab es nur Bepanthen.

Ich würde mich darüber freuen, wenn ihr uns ab und an bei der Behandlung unterstützen würdet, damit ich nicht falsch abbiege (übertreibe). :roll:

Bisherige Bilder füge ich einmal bei.

Wir unterstützen parallel mit Gladiator, Mineralfutter Dr Weyrauch Nr 4 sowie Kristallkraft Nr. 1

Mit 2 Jahren hatte er eine 2 cm grosse schwarze Platte im Genick, ging mit Thujatinktur weg. Kam nun zeitgleich mit dem ES wieder, ist mit der gleichen 10 Jahre alten Tinktur jetzt fast wieder weg.

Viele Grüße
Silke
Dateianhänge
20250520_150508.jpg
20250519_172907.jpg
20250518_123018.jpg
20250517_142647.jpg
20250513_162305.jpg
20250513_143055.jpg
20250512_161304.jpg
20250511_165647_resized.jpg
20250510_170412.jpg
20250510_154857.jpg
20250510_154851.jpg
20250507_191609.jpg
20250507_191604.jpg
20250506_170123.jpg
20250506_170105.jpg
20250506_151540.jpg
20250428_165404.jpg
20250427_121048.jpg
20250419_115656.jpg
Arabär
Beiträge: 65
Registriert: Mittwoch 21. Mai 2025, 13:54

Re: 12 jähriger Vollblutaraber, Sarkoid Achsel

Beitrag von Arabär »

Beginn erstes Sarkoidbild: 19.4 25, letzter Stand 20.5.25
Arabär
Beiträge: 65
Registriert: Mittwoch 21. Mai 2025, 13:54

Re: 12 jähriger Vollblutaraber, Sarkoid Achsel

Beitrag von Arabär »

Stand heute 21.5.25, geschmiert nur den Knubbel 1:1 Compx/Vaseline, den Rest dick mit Vaseline eingepackt.
Dateianhänge
21.5 25
21.5 25
Arabär
Beiträge: 65
Registriert: Mittwoch 21. Mai 2025, 13:54

Re: 12 jähriger Vollblutaraber, Sarkoid Achsel

Beitrag von Arabär »

Aktuell geben wir der einen hellen Fläche 1:1, aussenrum dick Vaseline. Es wird jeden Tag besser!
Dateianhänge
23.5 25
23.5 25
Arabär
Beiträge: 65
Registriert: Mittwoch 21. Mai 2025, 13:54

Re: 12 jähriger Vollblutaraber, Sarkoid Achsel

Beitrag von Arabär »

Wenn es blutet wird geschmiert, wieder 1:1.

Am nächsten Tag kam wieder eine Kruste und nun pausieren wir wieder.

Bin mir ganz nicht so sicher, ob da überhaupt noch Sarkoidgewebe vorhanden ist
Dateianhänge
30.5.25
30.5.25
25.5 25
25.5 25
Andrea
Beiträge: 2857
Registriert: Sonntag 28. April 2019, 06:58

Re: 12 jähriger Vollblutaraber, Sarkoid Achsel

Beitrag von Andrea »

Hallöchen,

Du stellst die richtige Frage: wieviel Sarkoid ist da noch?
Lass uns das mal gemeinsam rausfinden. Du gehst auf 1:5 (5 Teile Vaseline) und schmierst nur jeden 2. Tag.
Das machst Du jetzt mal für mindestens eine Woche und zeigst dann Bilder her.

Liebe Grüße
Andrea
Arabär
Beiträge: 65
Registriert: Mittwoch 21. Mai 2025, 13:54

Re: 12 jähriger Vollblutaraber, Sarkoid Achsel

Beitrag von Arabär »

Hi Andrea,

da es in den letzten Tagen sehr stark geschwollen war, habe ich nur eine Heilsalbe draufgemacht.

Die Schwellung geht nur sehr langsam zurück, sieh mal die nachfolgenden Bilder...

Also warten wir wohl erst noch einmal ab, oder?

Viele Grüße
Silke
Dateianhänge
30.5.25
30.5.25
01.06.25
01.06.25
02.06.25
02.06.25
02.06 25
02.06 25
04.06.25
04.06.25
Andrea
Beiträge: 2857
Registriert: Sonntag 28. April 2019, 06:58

Re: 12 jähriger Vollblutaraber, Sarkoid Achsel

Beitrag von Andrea »

Ja, warte mal noch. Der Rand scheint hellrosa. Das wäre super. Mach erst mal so weiter, gerne regelmäßig melden.
Arabär
Beiträge: 65
Registriert: Mittwoch 21. Mai 2025, 13:54

Re: 12 jähriger Vollblutaraber, Sarkoid Achsel

Beitrag von Arabär »

Hallo zusammen,

anbei ein paar Bilder vom gestrigen Tag...

Ich halte die Schmierfinger ruhig und mache nur die Heilsalbe drauf, sieht bisher ganz gut aus, die Schwellung geht langsam zurück..

VG
Dateianhänge
05.06.25
05.06.25
05.06.25
05.06.25
05.05 25
05.05 25
Arabär
Beiträge: 65
Registriert: Mittwoch 21. Mai 2025, 13:54

Re: 12 jähriger Vollblutaraber, Sarkoid Achsel

Beitrag von Arabär »

Und heute morgen...
Dateianhänge
06.06 25
06.06 25
06.06.25
06.06.25
Andrea
Beiträge: 2857
Registriert: Sonntag 28. April 2019, 06:58

Re: 12 jähriger Vollblutaraber, Sarkoid Achsel

Beitrag von Andrea »

halt mal weiter ruhig
Antworten

Zurück zu „Behandlungstagebuch CompX/xxTerra/Dermequin“